|
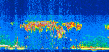
Displayed on this page are scaled, color-modulated, altitude-time images of CALIPSO attenuated backscatter (/km/sr) including:
- 532 nm total (parallel + perpendicular) attenuated backscatter
- 532 nm perpendicular attenuated backscatter
- 1064 nm total attenuated backscatter
The orbit track locations for the entire Level 1 .hdf file are in black and the orbit track locations corresponding to this page are color coded.
For the full scale images:
- the color bars for attenuated backscatter show the colors assigned to ranges of attenuated backscatter, /km/sr
- the horizontal axes are annotated with latitude (deg) and longitude (deg)
- the vertical axes are annotated to indicate altitude in kilometers
- the date and time of the measurements are listed as UTC time
- the names of the CALIPSO data products for the Lidar Level 1 attenuated backscatter granules are included
The scaled images on this page are organized by CALIPSO data product day and night orbit granules.
The maps with a shaded background indicate nightime measurements.
There are a maximum of 4 scaled images per granule.
The orbit tracks plotted on the maps show the measurement locations for each granule.
For each granule, the scaled images are ordered from left to right and their locations along the orbit tracks are color coded as: image one, image two, image three, image four.
Begin |
End | Number Profiles |
|---|---|---|
| 2006/07/03 00:19:58.2470 UTC | 2006/07/03 01:12:16.0754 UTC | 63270 |
|
|
|
|
|
Begin |
End | Number Profiles |
|---|---|---|
| 2006/07/03 01:12:16.1250 UTC | 2006/07/03 01:58:51.0044 UTC | 56355 |
|
|
|
|
|
Begin |
End | Number Profiles |
|---|---|---|
| 2006/07/03 01:58:51.0540 UTC | 2006/07/03 02:51:09.6264 UTC | 63285 |
|
|
|
|
|
Begin |
End | Number Profiles |
|---|---|---|
| 2006/07/03 02:51:09.6760 UTC | 2006/07/03 03:37:44.5554 UTC | 56355 |
|
|
|
|
|
Begin |
End | Number Profiles |
|---|---|---|
| 2006/07/03 03:37:44.6050 UTC | 2006/07/03 04:29:59.4574 UTC | 63210 |
|
|
|
|
|
Begin |
End | Number Profiles |
|---|---|---|
| 2006/07/03 04:30:07.6900 UTC | 2006/07/03 05:16:36.6174 UTC | 56235 |
|
|
|
|
|
Begin |
End | Number Profiles |
|---|---|---|
| 2006/07/03 05:16:36.6670 UTC | 2006/07/03 06:08:55.2394 UTC | 63285 |
|
|
|
|
|
Begin |
End | Number Profiles |
|---|---|---|
| 2006/07/03 06:08:55.2890 UTC | 2006/07/03 06:55:29.4244 UTC | 56340 |
|
|
|
|
|
Begin |
End | Number Profiles |
|---|---|---|
| 2006/07/03 06:55:29.4740 UTC | 2006/07/03 07:47:48.0464 UTC | 63285 |
|
|
|
|
|
Begin |
End | Number Profiles |
|---|---|---|
| 2006/07/03 07:47:48.0960 UTC | 2006/07/03 08:34:22.2314 UTC | 56340 |
|
|
|
|
|
Begin |
End | Number Profiles |
|---|---|---|
| 2006/07/03 08:34:22.2810 UTC | 2006/07/03 09:26:41.5974 UTC | 63300 |
|
|
|
|
|
Begin |
End | Number Profiles |
|---|---|---|
| 2006/07/03 09:26:41.6470 UTC | 2006/07/03 10:13:15.0384 UTC | 56325 |
|
|
|
|
|
Begin |
End | Number Profiles |
|---|---|---|
| 2006/07/03 10:13:15.0880 UTC | 2006/07/03 11:05:34.4034 UTC | 63300 |
|
|
|
|
|
Begin |
End | Number Profiles |
|---|---|---|
| 2006/07/03 11:05:34.4530 UTC | 2006/07/03 11:52:08.5884 UTC | 56340 |
|
|
|
|
|
Begin |
End | Number Profiles |
|---|---|---|
| 2006/07/03 11:52:08.6380 UTC | 2006/07/03 12:44:27.2104 UTC | 63285 |
|
|
|
|
|
Begin |
End | Number Profiles |
|---|---|---|
| 2006/07/03 12:44:27.2600 UTC | 2006/07/03 13:31:01.3954 UTC | 56340 |
|
|
|
|
|
Begin |
End | Number Profiles |
|---|---|---|
| 2006/07/03 13:31:01.4450 UTC | 2006/07/03 14:23:20.0174 UTC | 63285 |
|
|
|
|
|
Begin |
End | Number Profiles |
|---|---|---|
| 2006/07/03 14:23:20.0670 UTC | 2006/07/03 15:09:54.2024 UTC | 56340 |
|
|
|
|
|
Begin |
End | Number Profiles |
|---|---|---|
| 2006/07/03 15:09:54.2520 UTC | 2006/07/03 16:02:13.5684 UTC | 63300 |
|
|
|
|
|
Begin |
End | Number Profiles |
|---|---|---|
| 2006/07/03 16:02:13.6180 UTC | 2006/07/03 16:48:47.0084 UTC | 56325 |
|
|
|
|
|
Begin |
End | Number Profiles |
|---|---|---|
| 2006/07/03 16:48:47.0580 UTC | 2006/07/03 17:41:06.3744 UTC | 63300 |
|
|
|
|
|
Begin |
End | Number Profiles |
|---|---|---|
| 2006/07/03 17:41:06.4240 UTC | 2006/07/03 18:27:40.5594 UTC | 56175 |
|
|
|
|
|
Begin |
End | Number Profiles |
|---|---|---|
| 2006/07/03 18:27:40.6080 UTC | 2006/07/03 19:19:59.1814 UTC | 63285 |
|
|
|
|
|
Begin |
End | Number Profiles |
|---|---|---|
| 2006/07/03 19:19:59.2310 UTC | 2006/07/03 20:06:33.3664 UTC | 56340 |
|
|
|
|
|
Begin |
End | Number Profiles |
|---|---|---|
| 2006/07/03 20:06:33.4150 UTC | 2006/07/03 20:58:51.9884 UTC | 63285 |
|
|
|
|
|
Begin |
End | Number Profiles |
|---|---|---|
| 2006/07/03 20:58:52.0380 UTC | 2006/07/03 21:45:26.1734 UTC | 56340 |
|
|
|
|
|
Begin |
End | Number Profiles |
|---|---|---|
| 2006/07/03 21:45:26.2220 UTC | 2006/07/03 22:37:45.5384 UTC | 63300 |
|
|
|
|
|
Begin |
End | Number Profiles |
|---|---|---|
| 2006/07/03 22:37:45.5880 UTC | 2006/07/03 23:24:18.9794 UTC | 56325 |
|
|
|
|
|
Begin |
End | Number Profiles |
|---|---|---|
| 2006/07/03 23:24:19.0290 UTC | 2006/07/04 00:16:38.3454 UTC | 63300 |
|
|
|
|
|
























































































































