|
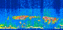
Displayed on this page are scaled, color-modulated, altitude-time images of CALIPSO attenuated backscatter (/km/sr) including:
- 532 nm total (parallel + perpendicular) attenuated backscatter
- 532 nm perpendicular attenuated backscatter
- 1064 nm total attenuated backscatter
The orbit track locations for the entire Level 1 .hdf file are in black and the orbit track locations corresponding to this page are color coded.
For the full scale images:
- the color bars for attenuated backscatter show the colors assigned to ranges of attenuated backscatter, /km/sr
- the horizontal axes are annotated with latitude (deg) and longitude (deg)
- the vertical axes are annotated to indicate altitude in kilometers
- the date and time of the measurements are listed as UTC time
- the names of the CALIPSO data products for the Lidar Level 1 attenuated backscatter granules are included
The scaled images on this page are organized by CALIPSO data product day and night orbit granules.
The maps with a shaded background indicate nightime measurements.
There are a maximum of 4 scaled images per granule.
The orbit tracks plotted on the maps show the measurement locations for each granule.
For each granule, the scaled images are ordered from left to right and their locations along the orbit tracks are color coded as: image one, image two, image three, image four.
Begin |
End | Number Profiles |
|---|---|---|
| 2006/07/19 00:19:34.4310 UTC | 2006/07/19 01:11:53.0044 UTC | 63285 |
|
|
|
|
|
Begin |
End | Number Profiles |
|---|---|---|
| 2006/07/19 01:11:53.0540 UTC | 2006/07/19 01:58:27.1894 UTC | 56340 |
|
|
|
|
|
Begin |
End | Number Profiles |
|---|---|---|
| 2006/07/19 01:58:27.2380 UTC | 2006/07/19 02:50:46.5554 UTC | 63300 |
|
|
|
|
|
Begin |
End | Number Profiles |
|---|---|---|
| 2006/07/19 02:50:46.6050 UTC | 2006/07/19 03:37:19.9964 UTC | 56325 |
|
|
|
|
|
Begin |
End | Number Profiles |
|---|---|---|
| 2006/07/19 03:37:20.0450 UTC | 2006/07/19 04:29:39.3614 UTC | 63300 |
|
|
|
|
|
Begin |
End | Number Profiles |
|---|---|---|
| 2006/07/19 04:29:39.4110 UTC | 2006/07/19 05:16:13.5454 UTC | 56340 |
|
|
|
|
|
Begin |
End | Number Profiles |
|---|---|---|
| 2006/07/19 05:16:13.5950 UTC | 2006/07/19 06:08:32.1684 UTC | 63120 |
|
|
|
|
|
Begin |
End | Number Profiles |
|---|---|---|
| 2006/07/19 06:08:32.2180 UTC | 2006/07/19 06:55:06.3524 UTC | 56340 |
|
|
|
|
|
Begin |
End | Number Profiles |
|---|---|---|
| 2006/07/19 06:55:06.4020 UTC | 2006/07/19 07:47:24.9754 UTC | 63285 |
|
|
|
|
|
Begin |
End | Number Profiles |
|---|---|---|
| 2006/07/19 07:47:25.0250 UTC | 2006/07/19 08:33:59.1594 UTC | 56340 |
|
|
|
|
|
Begin |
End | Number Profiles |
|---|---|---|
| 2006/07/19 08:33:59.2090 UTC | 2006/07/19 09:26:18.5254 UTC | 63300 |
|
|
|
|
|
Begin |
End | Number Profiles |
|---|---|---|
| 2006/07/19 09:26:18.5750 UTC | 2006/07/19 10:12:51.9654 UTC | 56325 |
|
|
|
|
|
Begin |
End | Number Profiles |
|---|---|---|
| 2006/07/19 10:12:52.0150 UTC | 2006/07/19 11:05:11.3324 UTC | 63300 |
|
|
|
|
|
Begin |
End | Number Profiles |
|---|---|---|
| 2006/07/19 11:05:11.3820 UTC | 2006/07/19 11:51:45.5164 UTC | 56340 |
|
|
|
|
|
Begin |
End | Number Profiles |
|---|---|---|
| 2006/07/19 11:51:45.5660 UTC | 2006/07/19 12:44:03.3954 UTC | 63270 |
|
|
|
|
|
Begin |
End | Number Profiles |
|---|---|---|
| 2006/07/19 12:44:03.4450 UTC | 2006/07/19 13:30:37.5794 UTC | 56340 |
|
|
|
|
|
Begin |
End | Number Profiles |
|---|---|---|
| 2006/07/19 13:30:37.6290 UTC | 2006/07/19 14:22:56.2024 UTC | 63285 |
|
|
|
|
|
Begin |
End | Number Profiles |
|---|---|---|
| 2006/07/19 14:22:56.2520 UTC | 2006/07/19 15:09:30.3864 UTC | 56340 |
|
|
|
|
|
Begin |
End | Number Profiles |
|---|---|---|
| 2006/07/19 15:09:30.4360 UTC | 2006/07/19 16:01:49.0084 UTC | 63285 |
|
|
|
|
|
Begin |
End | Number Profiles |
|---|---|---|
| 2006/07/19 16:01:49.0580 UTC | 2006/07/19 16:48:23.1924 UTC | 56340 |
|
|
|
|
|
Begin |
End | Number Profiles |
|---|---|---|
| 2006/07/19 16:48:23.2420 UTC | 2006/07/19 17:40:42.5594 UTC | 63300 |
|
|
|
|
|
Begin |
End | Number Profiles |
|---|---|---|
| 2006/07/19 17:40:42.6090 UTC | 2006/07/19 18:27:15.9994 UTC | 56325 |
|
|
|
|
|
Begin |
End | Number Profiles |
|---|---|---|
| 2006/07/19 18:27:16.0490 UTC | 2006/07/19 19:19:35.3664 UTC | 63300 |
|
|
|
|
|
Begin |
End | Number Profiles |
|---|---|---|
| 2006/07/19 19:19:35.4160 UTC | 2006/07/19 20:06:09.5504 UTC | 56175 |
|
|
|
|
|
Begin |
End | Number Profiles |
|---|---|---|
| 2006/07/19 20:06:09.6000 UTC | 2006/07/19 20:58:28.1724 UTC | 63285 |
|
|
|
|
|
Begin |
End | Number Profiles |
|---|---|---|
| 2006/07/19 20:58:28.2220 UTC | 2006/07/19 21:45:02.3574 UTC | 56340 |
|
|
|
|
|
Begin |
End | Number Profiles |
|---|---|---|
| 2006/07/19 21:45:02.4070 UTC | 2006/07/19 22:37:20.9794 UTC | 63285 |
|
|
|
|
|
Begin |
End | Number Profiles |
|---|---|---|
| 2006/07/19 22:37:21.0290 UTC | 2006/07/19 23:23:55.1634 UTC | 56340 |
|
|
|
|
|
Begin |
End | Number Profiles |
|---|---|---|
| 2006/07/19 23:23:55.2130 UTC | 2006/07/20 00:16:14.5304 UTC | 63300 |
|
|
|
|
|
























































































































