|
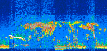
Displayed on this page are scaled, color-modulated, altitude-time images of CALIPSO attenuated backscatter (/km/sr) including:
- 532 nm total (parallel + perpendicular) attenuated backscatter
- 532 nm perpendicular attenuated backscatter
- 1064 nm total attenuated backscatter
The orbit track locations for the entire Level 1 .hdf file are in black and the orbit track locations corresponding to this page are color coded.
For the full scale images:
- the color bars for attenuated backscatter show the colors assigned to ranges of attenuated backscatter, /km/sr
- the horizontal axes are annotated with latitude (deg) and longitude (deg)
- the vertical axes are annotated to indicate altitude in kilometers
- the date and time of the measurements are listed as UTC time
- the names of the CALIPSO data products for the Lidar Level 1 attenuated backscatter granules are included
The scaled images on this page are organized by CALIPSO data product day and night orbit granules.
The maps with a shaded background indicate nightime measurements.
There are a maximum of 4 scaled images per granule.
The orbit tracks plotted on the maps show the measurement locations for each granule.
For each granule, the scaled images are ordered from left to right and their locations along the orbit tracks are color coded as: image one, image two, image three, image four.
Begin |
End | Number Profiles |
|---|---|---|
| 2006/08/07 00:03:06.3070 UTC | 2006/08/07 00:49:39.6974 UTC | 56325 |
|
|
|
|
|
Begin |
End | Number Profiles |
|---|---|---|
| 2006/08/07 00:49:39.7470 UTC | 2006/08/07 01:41:59.0634 UTC | 63300 |
|
|
|
|
|
Begin |
End | Number Profiles |
|---|---|---|
| 2006/08/07 01:41:59.1130 UTC | 2006/08/07 02:28:31.0164 UTC | 56295 |
|
|
|
|
|
Begin |
End | Number Profiles |
|---|---|---|
| 2006/08/07 02:28:31.0660 UTC | 2006/08/07 03:20:52.6144 UTC | 63345 |
|
|
|
|
|
Begin |
End | Number Profiles |
|---|---|---|
| 2006/08/07 03:20:52.6640 UTC | 2006/08/07 04:07:24.5664 UTC | 56295 |
|
|
|
|
|
Begin |
End | Number Profiles |
|---|---|---|
| 2006/08/07 04:07:24.6160 UTC | 2006/08/07 04:59:45.4214 UTC | 63330 |
|
|
|
|
|
Begin |
End | Number Profiles |
|---|---|---|
| 2006/08/07 04:59:45.4710 UTC | 2006/08/07 05:46:17.3734 UTC | 56295 |
|
|
|
|
|
Begin |
End | Number Profiles |
|---|---|---|
| 2006/08/07 05:46:17.4230 UTC | 2006/08/07 06:38:38.2284 UTC | 63330 |
|
|
|
|
|
Begin |
End | Number Profiles |
|---|---|---|
| 2006/08/07 06:38:38.2780 UTC | 2006/08/07 07:25:10.1804 UTC | 56295 |
|
|
|
|
|
Begin |
End | Number Profiles |
|---|---|---|
| 2006/08/07 07:25:10.2300 UTC | 2006/08/07 08:17:31.0344 UTC | 63330 |
|
|
|
|
|
Begin |
End | Number Profiles |
|---|---|---|
| 2006/08/07 08:17:31.0840 UTC | 2006/08/07 09:04:02.9864 UTC | 56295 |
|
|
|
|
|
Begin |
End | Number Profiles |
|---|---|---|
| 2006/08/07 09:04:03.0360 UTC | 2006/08/07 09:56:23.0974 UTC | 63315 |
|
|
|
|
|
Begin |
End | Number Profiles |
|---|---|---|
| 2006/08/07 09:56:23.1470 UTC | 2006/08/07 10:42:55.0504 UTC | 56295 |
|
|
|
|
|
Begin |
End | Number Profiles |
|---|---|---|
| 2006/08/07 10:42:55.0990 UTC | 2006/08/07 11:35:16.6484 UTC | 63345 |
|
|
|
|
|
Begin |
End | Number Profiles |
|---|---|---|
| 2006/08/07 11:35:16.6980 UTC | 2006/08/07 12:21:48.6004 UTC | 56295 |
|
|
|
|
|
Begin |
End | Number Profiles |
|---|---|---|
| 2006/08/07 12:21:48.6500 UTC | 2006/08/07 13:14:09.4544 UTC | 63330 |
|
|
|
|
|
Begin |
End | Number Profiles |
|---|---|---|
| 2006/08/07 13:14:09.5040 UTC | 2006/08/07 14:00:41.4074 UTC | 56130 |
|
|
|
|
|
Begin |
End | Number Profiles |
|---|---|---|
| 2006/08/07 14:00:41.4570 UTC | 2006/08/07 14:53:02.2614 UTC | 63330 |
|
|
|
|
|
Begin |
End | Number Profiles |
|---|---|---|
| 2006/08/07 14:53:02.3110 UTC | 2006/08/07 15:39:34.2134 UTC | 56295 |
|
|
|
|
|
Begin |
End | Number Profiles |
|---|---|---|
| 2006/08/07 15:39:34.2630 UTC | 2006/08/07 16:31:55.0684 UTC | 63330 |
|
|
|
|
|
Begin |
End | Number Profiles |
|---|---|---|
| 2006/08/07 16:31:55.1180 UTC | 2006/08/07 17:18:26.2774 UTC | 56280 |
|
|
|
|
|
Begin |
End | Number Profiles |
|---|---|---|
| 2006/08/07 17:18:26.3260 UTC | 2006/08/07 18:10:47.1314 UTC | 63330 |
|
|
|
|
|
Begin |
End | Number Profiles |
|---|---|---|
| 2006/08/07 18:10:47.1810 UTC | 2006/08/07 18:57:19.0844 UTC | 56295 |
|
|
|
|
|
Begin |
End | Number Profiles |
|---|---|---|
| 2006/08/07 18:57:19.1330 UTC | 2006/08/07 19:49:40.6814 UTC | 63345 |
|
|
|
|
|
Begin |
End | Number Profiles |
|---|---|---|
| 2006/08/07 19:49:40.7310 UTC | 2006/08/07 20:36:12.6334 UTC | 56295 |
|
|
|
|
|
Begin |
End | Number Profiles |
|---|---|---|
| 2006/08/07 20:36:12.6830 UTC | 2006/08/07 21:28:33.4884 UTC | 63330 |
|
|
|
|
|
Begin |
End | Number Profiles |
|---|---|---|
| 2006/08/07 21:28:33.5380 UTC | 2006/08/07 22:15:05.4404 UTC | 56295 |
|
|
|
|
|
Begin |
End | Number Profiles |
|---|---|---|
| 2006/08/07 22:15:05.4900 UTC | 2006/08/07 23:07:26.2954 UTC | 63330 |
|
|
|
|
|
Begin |
End | Number Profiles |
|---|---|---|
| 2006/08/07 23:07:26.3450 UTC | 2006/08/07 23:53:58.2474 UTC | 56295 |
|
|
|
|
|
Begin |
End | Number Profiles |
|---|---|---|
| 2006/08/07 23:53:58.2970 UTC | 2006/08/08 00:46:19.1014 UTC | 63330 |
|
|
|
|
|




























































































































