|
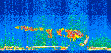
Displayed on this page are scaled, color-modulated, altitude-time images of CALIPSO attenuated backscatter (/km/sr) including:
- 532 nm total (parallel + perpendicular) attenuated backscatter
- 532 nm perpendicular attenuated backscatter
- 1064 nm total attenuated backscatter
The orbit track locations for the entire Level 1 .hdf file are in black and the orbit track locations corresponding to this page are color coded.
For the full scale images:
- the color bars for attenuated backscatter show the colors assigned to ranges of attenuated backscatter, /km/sr
- the horizontal axes are annotated with latitude (deg) and longitude (deg)
- the vertical axes are annotated to indicate altitude in kilometers
- the date and time of the measurements are listed as UTC time
- the names of the CALIPSO data products for the Lidar Level 1 attenuated backscatter granules are included
The scaled images on this page are organized by CALIPSO data product day and night orbit granules.
The maps with a shaded background indicate nightime measurements.
There are a maximum of 4 scaled images per granule.
The orbit tracks plotted on the maps show the measurement locations for each granule.
For each granule, the scaled images are ordered from left to right and their locations along the orbit tracks are color coded as: image one, image two, image three, image four.
Begin |
End | Number Profiles |
|---|---|---|
| 2007/03/28 00:40:24.6870 UTC | 2007/03/28 01:32:50.6994 UTC | 63435 |
|
|
|
|
|
Begin |
End | Number Profiles |
|---|---|---|
| 2007/03/28 01:32:50.7490 UTC | 2007/03/28 02:19:17.4444 UTC | 56190 |
|
|
|
|
|
Begin |
End | Number Profiles |
|---|---|---|
| 2007/03/28 02:19:17.4930 UTC | 2007/03/28 03:11:44.2494 UTC | 63450 |
|
|
|
|
|
Begin |
End | Number Profiles |
|---|---|---|
| 2007/03/28 03:11:44.2990 UTC | 2007/03/28 03:58:10.9944 UTC | 56190 |
|
|
|
|
|
Begin |
End | Number Profiles |
|---|---|---|
| 2007/03/28 03:58:11.0439 UTC | 2007/03/28 04:50:37.0564 UTC | 63435 |
|
|
|
|
|
Begin |
End | Number Profiles |
|---|---|---|
| 2007/03/28 04:50:37.1060 UTC | 2007/03/28 05:37:04.5454 UTC | 56205 |
|
|
|
|
|
Begin |
End | Number Profiles |
|---|---|---|
| 2007/03/28 05:37:04.5950 UTC | 2007/03/28 06:29:31.3514 UTC | 63450 |
|
|
|
|
|
Begin |
End | Number Profiles |
|---|---|---|
| 2007/03/28 06:29:31.4010 UTC | 2007/03/28 07:15:58.0964 UTC | 56190 |
|
|
|
|
|
Begin |
End | Number Profiles |
|---|---|---|
| 2007/03/28 07:15:58.1460 UTC | 2007/03/28 08:08:25.6454 UTC | 63465 |
|
|
|
|
|
Begin |
End | Number Profiles |
|---|---|---|
| 2007/03/28 08:08:25.6950 UTC | 2007/03/28 08:54:51.6463 UTC | 56175 |
|
|
|
|
|
Begin |
End | Number Profiles |
|---|---|---|
| 2007/03/28 08:54:51.6960 UTC | 2007/03/28 09:47:18.4524 UTC | 63450 |
|
|
|
|
|
Begin |
End | Number Profiles |
|---|---|---|
| 2007/03/28 09:47:18.5020 UTC | 2007/03/28 10:33:45.1974 UTC | 56190 |
|
|
|
|
|
Begin |
End | Number Profiles |
|---|---|---|
| 2007/03/28 10:33:45.2470 UTC | 2007/03/28 11:26:12.0034 UTC | 63450 |
|
|
|
|
|
Begin |
End | Number Profiles |
|---|---|---|
| 2007/03/28 11:26:12.0520 UTC | 2007/03/28 12:12:39.4924 UTC | 56205 |
|
|
|
|
|
Begin |
End | Number Profiles |
|---|---|---|
| 2007/03/28 12:12:39.5420 UTC | 2007/03/28 13:05:05.5534 UTC | 63435 |
|
|
|
|
|
Begin |
End | Number Profiles |
|---|---|---|
| 2007/03/28 13:05:05.6030 UTC | 2007/03/28 13:51:32.2994 UTC | 56190 |
|
|
|
|
|
Begin |
End | Number Profiles |
|---|---|---|
| 2007/03/28 13:51:32.3490 UTC | 2007/03/28 14:43:59.1034 UTC | 63450 |
|
|
|
|
|
Begin |
End | Number Profiles |
|---|---|---|
| 2007/03/28 14:43:59.1530 UTC | 2007/03/28 15:30:26.5934 UTC | 56205 |
|
|
|
|
|
Begin |
End | Number Profiles |
|---|---|---|
| 2007/03/28 15:30:26.6430 UTC | 2007/03/28 16:22:52.6544 UTC | 63435 |
|
|
|
|
|
Begin |
End | Number Profiles |
|---|---|---|
| 2007/03/28 16:22:52.7040 UTC | 2007/03/28 17:09:19.4004 UTC | 56190 |
|
|
|
|
|
Begin |
End | Number Profiles |
|---|---|---|
| 2007/03/28 17:09:19.4500 UTC | 2007/03/28 18:01:46.2054 UTC | 63450 |
|
|
|
|
|
Begin |
End | Number Profiles |
|---|---|---|
| 2007/03/28 18:01:46.2550 UTC | 2007/03/28 18:48:13.6954 UTC | 56205 |
|
|
|
|
|
Begin |
End | Number Profiles |
|---|---|---|
| 2007/03/28 18:48:13.7440 UTC | 2007/03/28 19:40:39.0124 UTC | 63420 |
|
|
|
|
|
Begin |
End | Number Profiles |
|---|---|---|
| 2007/03/28 19:40:39.0620 UTC | 2007/03/28 20:27:06.5014 UTC | 56205 |
|
|
|
|
|
Begin |
End | Number Profiles |
|---|---|---|
| 2007/03/28 20:27:06.5510 UTC | 2007/03/28 21:19:33.3064 UTC | 63450 |
|
|
|
|
|
Begin |
End | Number Profiles |
|---|---|---|
| 2007/03/28 21:19:33.3560 UTC | 2007/03/28 22:06:00.0513 UTC | 56190 |
|
|
|
|
|
Begin |
End | Number Profiles |
|---|---|---|
| 2007/03/28 22:06:00.1010 UTC | 2007/03/28 22:58:26.1134 UTC | 63435 |
|
|
|
|
|
Begin |
End | Number Profiles |
|---|---|---|
| 2007/03/28 22:58:26.1630 UTC | 2007/03/28 23:44:54.3464 UTC | 56220 |
|
|
|
|
|
Begin |
End | Number Profiles |
|---|---|---|
| 2007/03/28 23:44:54.3960 UTC | 2007/03/29 00:37:20.4084 UTC | 63435 |
|
|
|
|
|
























































































































