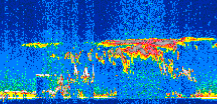
|
Displayed on this page are scaled, color-modulated, altitude-time images of CALIPSO attenuated backscatter (/km/sr) including:
- 532 nm total (parallel + perpendicular) attenuated backscatter
- 532 nm perpendicular attenuated backscatter
- 1064 nm total attenuated backscatter
The orbit track locations for the entire Level 1 .hdf file are in black and the orbit track locations corresponding to this page are color coded.
For the full scale images:
- the color bars for attenuated backscatter show the colors assigned to ranges of attenuated backscatter, /km/sr
- the horizontal axes are annotated with latitude (deg) and longitude (deg)
- the vertical axes are annotated to indicate altitude in kilometers
- the date and time of the measurements are listed as UTC time
- the names of the CALIPSO data products for the Lidar Level 1 attenuated backscatter granules are included
The scaled images on this page are organized by CALIPSO data product day and night orbit granules.
The maps with a shaded background indicate nightime measurements.
There are a maximum of 4 scaled images per granule.
The orbit tracks plotted on the maps show the measurement locations for each granule.
For each granule, the scaled images are ordered from left to right and their locations along the orbit tracks are color coded as: image one, image two, image three, image four.
Begin |
End | Number Profiles |
|---|---|---|
| 2007/07/11 00:39:22.2170 UTC | 2007/07/11 01:31:41.5364 UTC | 63300 |
|
|
|
|
|
Begin |
End | Number Profiles |
|---|---|---|
| 2007/07/11 01:31:41.5860 UTC | 2007/07/11 02:18:14.9774 UTC | 56325 |
|
|
|
|
|
Begin |
End | Number Profiles |
|---|---|---|
| 2007/07/11 02:18:15.0270 UTC | 2007/07/11 03:10:33.6024 UTC | 63285 |
|
|
|
|
|
Begin |
End | Number Profiles |
|---|---|---|
| 2007/07/11 03:10:33.6520 UTC | 2007/07/11 03:57:07.0434 UTC | 56325 |
|
|
|
|
|
Begin |
End | Number Profiles |
|---|---|---|
| 2007/07/11 03:57:07.0930 UTC | 2007/07/11 04:49:26.4114 UTC | 63300 |
|
|
|
|
|
Begin |
End | Number Profiles |
|---|---|---|
| 2007/07/11 04:49:26.4610 UTC | 2007/07/11 05:36:00.5964 UTC | 56340 |
|
|
|
|
|
Begin |
End | Number Profiles |
|---|---|---|
| 2007/07/11 05:36:00.6460 UTC | 2007/07/11 06:28:19.2194 UTC | 63285 |
|
|
|
|
|
Begin |
End | Number Profiles |
|---|---|---|
| 2007/07/11 06:28:19.2690 UTC | 2007/07/11 07:14:53.4043 UTC | 56340 |
|
|
|
|
|
Begin |
End | Number Profiles |
|---|---|---|
| 2007/07/11 07:14:53.4540 UTC | 2007/07/11 08:07:12.0274 UTC | 63285 |
|
|
|
|
|
Begin |
End | Number Profiles |
|---|---|---|
| 2007/07/11 08:07:12.0770 UTC | 2007/07/11 08:53:46.2124 UTC | 56340 |
|
|
|
|
|
Begin |
End | Number Profiles |
|---|---|---|
| 2007/07/11 08:53:46.2620 UTC | 2007/07/11 09:46:05.5784 UTC | 63300 |
|
|
|
|
|
Begin |
End | Number Profiles |
|---|---|---|
| 2007/07/11 09:46:05.6280 UTC | 2007/07/11 10:32:39.0194 UTC | 56325 |
|
|
|
|
|
Begin |
End | Number Profiles |
|---|---|---|
| 2007/07/11 10:32:39.0690 UTC | 2007/07/11 11:24:58.3874 UTC | 63300 |
|
|
|
|
|
Begin |
End | Number Profiles |
|---|---|---|
| 2007/07/11 11:24:58.4370 UTC | 2007/07/11 12:11:32.5724 UTC | 56340 |
|
|
|
|
|
Begin |
End | Number Profiles |
|---|---|---|
| 2007/07/11 12:11:32.6220 UTC | 2007/07/11 13:03:50.4524 UTC | 63270 |
|
|
|
|
|
Begin |
End | Number Profiles |
|---|---|---|
| 2007/07/11 13:03:50.5020 UTC | 2007/07/11 13:50:24.6374 UTC | 56340 |
|
|
|
|
|
Begin |
End | Number Profiles |
|---|---|---|
| 2007/07/11 13:50:24.6870 UTC | 2007/07/11 14:42:43.2624 UTC | 63285 |
|
|
|
|
|
Begin |
End | Number Profiles |
|---|---|---|
| 2007/07/11 14:42:43.3120 UTC | 2007/07/11 15:29:17.4474 UTC | 56340 |
|
|
|
|
|
Begin |
End | Number Profiles |
|---|---|---|
| 2007/07/11 15:29:17.4970 UTC | 2007/07/11 16:21:36.0704 UTC | 63285 |
|
|
|
|
|
Begin |
End | Number Profiles |
|---|---|---|
| 2007/07/11 16:21:36.1199 UTC | 2007/07/11 17:08:10.2554 UTC | 56340 |
|
|
|
|
|
Begin |
End | Number Profiles |
|---|---|---|
| 2007/07/11 17:08:10.3050 UTC | 2007/07/11 18:00:29.6213 UTC | 63300 |
|
|
|
|
|
Begin |
End | Number Profiles |
|---|---|---|
| 2007/07/11 18:00:29.6710 UTC | 2007/07/11 18:47:03.0624 UTC | 56325 |
|
|
|
|
|
Begin |
End | Number Profiles |
|---|---|---|
| 2007/07/11 18:47:03.1119 UTC | 2007/07/11 19:39:21.6844 UTC | 63285 |
|
|
|
|
|
Begin |
End | Number Profiles |
|---|---|---|
| 2007/07/11 19:39:21.7340 UTC | 2007/07/11 20:25:56.6134 UTC | 56355 |
|
|
|
|
|
Begin |
End | Number Profiles |
|---|---|---|
| 2007/07/11 20:25:56.6630 UTC | 2007/07/11 21:18:14.4904 UTC | 63270 |
|
|
|
|
|
Begin |
End | Number Profiles |
|---|---|---|
| 2007/07/11 21:18:14.5400 UTC | 2007/07/11 22:04:49.4194 UTC | 56355 |
|
|
|
|
|
Begin |
End | Number Profiles |
|---|---|---|
| 2007/07/11 22:04:49.4690 UTC | 2007/07/11 22:57:07.2984 UTC | 63270 |
|
|
|
|
|
















































































































