|
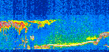
Displayed on this page are scaled, color-modulated, altitude-time images of CALIPSO attenuated backscatter (/km/sr) including:
- 532 nm total (parallel + perpendicular) attenuated backscatter
- 532 nm perpendicular attenuated backscatter
- 1064 nm total attenuated backscatter
The orbit track locations for the entire Level 1 .hdf file are in black and the orbit track locations corresponding to this page are color coded.
For the full scale images:
- the color bars for attenuated backscatter show the colors assigned to ranges of attenuated backscatter, /km/sr
- the horizontal axes are annotated with latitude (deg) and longitude (deg)
- the vertical axes are annotated to indicate altitude in kilometers
- the date and time of the measurements are listed as UTC time
- the names of the CALIPSO data products for the Lidar Level 1 attenuated backscatter granules are included
The scaled images on this page are organized by CALIPSO data product day and night orbit granules.
The maps with a shaded background indicate nightime measurements.
There are a maximum of 4 scaled images per granule.
The orbit tracks plotted on the maps show the measurement locations for each granule.
For each granule, the scaled images are ordered from left to right and their locations along the orbit tracks are color coded as: image one, image two, image three, image four.
Begin |
End | Number Profiles |
|---|---|---|
| 2008/02/09 00:00:19.3960 UTC | 2008/02/09 00:46:44.6374 UTC | 56160 |
|
|
|
|
|
Begin |
End | Number Profiles |
|---|---|---|
| 2008/02/09 00:46:44.6870 UTC | 2008/02/09 01:39:12.2794 UTC | 63465 |
|
|
|
|
|
Begin |
End | Number Profiles |
|---|---|---|
| 2008/02/09 01:39:12.3290 UTC | 2008/02/09 02:25:38.3144 UTC | 56175 |
|
|
|
|
|
Begin |
End | Number Profiles |
|---|---|---|
| 2008/02/09 02:25:38.3640 UTC | 2008/02/09 03:18:05.2134 UTC | 63450 |
|
|
|
|
|
Begin |
End | Number Profiles |
|---|---|---|
| 2008/02/09 03:18:05.2630 UTC | 2008/02/09 04:04:31.2484 UTC | 56175 |
|
|
|
|
|
Begin |
End | Number Profiles |
|---|---|---|
| 2008/02/09 04:04:31.2980 UTC | 2008/02/09 04:56:59.6354 UTC | 63480 |
|
|
|
|
|
Begin |
End | Number Profiles |
|---|---|---|
| 2008/02/09 04:56:59.6850 UTC | 2008/02/09 05:43:25.6723 UTC | 56175 |
|
|
|
|
|
Begin |
End | Number Profiles |
|---|---|---|
| 2008/02/09 05:43:25.7210 UTC | 2008/02/09 06:35:52.5723 UTC | 63450 |
|
|
|
|
|
Begin |
End | Number Profiles |
|---|---|---|
| 2008/02/09 06:35:52.6219 UTC | 2008/02/09 07:22:18.6104 UTC | 56175 |
|
|
|
|
|
Begin |
End | Number Profiles |
|---|---|---|
| 2008/02/09 07:22:18.6590 UTC | 2008/02/09 08:14:46.2554 UTC | 63465 |
|
|
|
|
|
Begin |
End | Number Profiles |
|---|---|---|
| 2008/02/09 08:14:46.3050 UTC | 2008/02/09 09:01:12.2934 UTC | 56175 |
|
|
|
|
|
Begin |
End | Number Profiles |
|---|---|---|
| 2008/02/09 09:01:12.3430 UTC | 2008/02/09 09:53:39.1954 UTC | 63450 |
|
|
|
|
|
Begin |
End | Number Profiles |
|---|---|---|
| 2008/02/09 09:53:39.2450 UTC | 2008/02/09 10:40:05.2324 UTC | 56175 |
|
|
|
|
|
Begin |
End | Number Profiles |
|---|---|---|
| 2008/02/09 10:40:05.2820 UTC | 2008/02/09 11:32:33.6223 UTC | 63480 |
|
|
|
|
|
Begin |
End | Number Profiles |
|---|---|---|
| 2008/02/09 11:32:33.6720 UTC | 2008/02/09 12:18:59.6604 UTC | 56175 |
|
|
|
|
|
Begin |
End | Number Profiles |
|---|---|---|
| 2008/02/09 12:18:59.7100 UTC | 2008/02/09 13:11:26.5624 UTC | 63450 |
|
|
|
|
|
Begin |
End | Number Profiles |
|---|---|---|
| 2008/02/09 13:11:26.6120 UTC | 2008/02/09 13:57:52.5994 UTC | 56175 |
|
|
|
|
|
Begin |
End | Number Profiles |
|---|---|---|
| 2008/02/09 13:57:52.6490 UTC | 2008/02/09 14:50:20.2454 UTC | 63465 |
|
|
|
|
|
Begin |
End | Number Profiles |
|---|---|---|
| 2008/02/09 14:50:20.2950 UTC | 2008/02/09 15:36:45.5374 UTC | 56160 |
|
|
|
|
|
Begin |
End | Number Profiles |
|---|---|---|
| 2008/02/09 15:36:45.5870 UTC | 2008/02/09 16:29:13.1804 UTC | 63465 |
|
|
|
|
|
Begin |
End | Number Profiles |
|---|---|---|
| 2008/02/09 16:29:13.2300 UTC | 2008/02/09 17:15:39.2144 UTC | 56175 |
|
|
|
|
|
Begin |
End | Number Profiles |
|---|---|---|
| 2008/02/09 17:15:39.2639 UTC | 2008/02/09 18:08:06.1124 UTC | 63450 |
|
|
|
|
|
Begin |
End | Number Profiles |
|---|---|---|
| 2008/02/09 18:08:06.1620 UTC | 2008/02/09 18:54:32.1454 UTC | 56175 |
|
|
|
|
|
Begin |
End | Number Profiles |
|---|---|---|
| 2008/02/09 18:54:32.1950 UTC | 2008/02/09 19:47:00.5314 UTC | 63480 |
|
|
|
|
|
Begin |
End | Number Profiles |
|---|---|---|
| 2008/02/09 19:47:00.5810 UTC | 2008/02/09 20:33:26.5644 UTC | 56175 |
|
|
|
|
|
Begin |
End | Number Profiles |
|---|---|---|
| 2008/02/09 20:33:26.6140 UTC | 2008/02/09 21:25:53.4614 UTC | 63450 |
|
|
|
|
|
Begin |
End | Number Profiles |
|---|---|---|
| 2008/02/09 21:25:53.5110 UTC | 2008/02/09 22:12:19.4954 UTC | 56175 |
|
|
|
|
|
Begin |
End | Number Profiles |
|---|---|---|
| 2008/02/09 22:12:19.5450 UTC | 2008/02/09 23:04:47.1374 UTC | 63465 |
|
|
|
|
|
Begin |
End | Number Profiles |
|---|---|---|
| 2008/02/09 23:04:47.1870 UTC | 2008/02/09 23:51:13.1714 UTC | 56175 |
|
|
|
|
|
Begin |
End | Number Profiles |
|---|---|---|
| 2008/02/09 23:51:13.2210 UTC | 2008/02/10 00:43:40.0684 UTC | 63450 |
|
|
|
|
|




























































































































