|
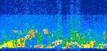
Displayed on this page are scaled, color-modulated, altitude-time images of CALIPSO attenuated backscatter (/km/sr) including:
- 532 nm total (parallel + perpendicular) attenuated backscatter
- 532 nm perpendicular attenuated backscatter
- 1064 nm total attenuated backscatter
The orbit track locations for the entire Level 1 .hdf file are in black and the orbit track locations corresponding to this page are color coded.
For the full scale images:
- the color bars for attenuated backscatter show the colors assigned to ranges of attenuated backscatter, /km/sr
- the horizontal axes are annotated with latitude (deg) and longitude (deg)
- the vertical axes are annotated to indicate altitude in kilometers
- the date and time of the measurements are listed as UTC time
- the names of the CALIPSO data products for the Lidar Level 1 attenuated backscatter granules are included
The scaled images on this page are organized by CALIPSO data product day and night orbit granules.
The maps with a shaded background indicate nightime measurements.
There are a maximum of 4 scaled images per granule.
The orbit tracks plotted on the maps show the measurement locations for each granule.
For each granule, the scaled images are ordered from left to right and their locations along the orbit tracks are color coded as: image one, image two, image three, image four.
Begin |
End | Number Profiles |
|---|---|---|
| 2008/04/05 00:03:55.1370 UTC | 2008/04/05 00:56:21.2183 UTC | 63435 |
|
|
|
|
|
Begin |
End | Number Profiles |
|---|---|---|
| 2008/04/05 00:56:21.2680 UTC | 2008/04/05 01:42:49.5124 UTC | 56220 |
|
|
|
|
|
Begin |
End | Number Profiles |
|---|---|---|
| 2008/04/05 01:42:49.5620 UTC | 2008/04/05 02:35:15.6424 UTC | 63435 |
|
|
|
|
|
Begin |
End | Number Profiles |
|---|---|---|
| 2008/04/05 02:35:15.6920 UTC | 2008/04/05 03:21:42.4474 UTC | 56190 |
|
|
|
|
|
Begin |
End | Number Profiles |
|---|---|---|
| 2008/04/05 03:21:42.4970 UTC | 2008/04/05 04:14:08.5774 UTC | 63435 |
|
|
|
|
|
Begin |
End | Number Profiles |
|---|---|---|
| 2008/04/05 04:14:08.6269 UTC | 2008/04/05 05:00:35.3814 UTC | 56190 |
|
|
|
|
|
Begin |
End | Number Profiles |
|---|---|---|
| 2008/04/05 05:00:35.4310 UTC | 2008/04/05 05:53:02.2554 UTC | 63450 |
|
|
|
|
|
Begin |
End | Number Profiles |
|---|---|---|
| 2008/04/05 05:53:02.3050 UTC | 2008/04/05 06:39:29.0584 UTC | 56190 |
|
|
|
|
|
Begin |
End | Number Profiles |
|---|---|---|
| 2008/04/05 06:39:29.1080 UTC | 2008/04/05 07:31:56.6753 UTC | 63465 |
|
|
|
|
|
Begin |
End | Number Profiles |
|---|---|---|
| 2008/04/05 07:31:56.7250 UTC | 2008/04/05 08:18:23.4784 UTC | 56190 |
|
|
|
|
|
Begin |
End | Number Profiles |
|---|---|---|
| 2008/04/05 08:18:23.5280 UTC | 2008/04/05 09:10:49.6083 UTC | 63435 |
|
|
|
|
|
Begin |
End | Number Profiles |
|---|---|---|
| 2008/04/05 09:10:49.6580 UTC | 2008/04/05 09:57:17.1544 UTC | 56205 |
|
|
|
|
|
Begin |
End | Number Profiles |
|---|---|---|
| 2008/04/05 09:57:17.2040 UTC | 2008/04/05 10:49:43.2844 UTC | 63435 |
|
|
|
|
|
Begin |
End | Number Profiles |
|---|---|---|
| 2008/04/05 10:49:43.3340 UTC | 2008/04/05 11:36:10.0864 UTC | 56190 |
|
|
|
|
|
Begin |
End | Number Profiles |
|---|---|---|
| 2008/04/05 11:36:10.1359 UTC | 2008/04/05 12:28:36.2164 UTC | 63435 |
|
|
|
|
|
Begin |
End | Number Profiles |
|---|---|---|
| 2008/04/05 12:28:36.2649 UTC | 2008/04/05 13:15:04.5084 UTC | 56220 |
|
|
|
|
|
Begin |
End | Number Profiles |
|---|---|---|
| 2008/04/05 13:15:04.5580 UTC | 2008/04/05 14:07:30.6394 UTC | 63435 |
|
|
|
|
|
Begin |
End | Number Profiles |
|---|---|---|
| 2008/04/05 14:07:30.6890 UTC | 2008/04/05 14:53:57.4424 UTC | 56190 |
|
|
|
|
|
Begin |
End | Number Profiles |
|---|---|---|
| 2008/04/05 14:53:57.4920 UTC | 2008/04/05 15:46:24.3164 UTC | 63450 |
|
|
|
|
|
Begin |
End | Number Profiles |
|---|---|---|
| 2008/04/05 15:46:24.3660 UTC | 2008/04/05 16:32:51.1204 UTC | 56190 |
|
|
|
|
|
Begin |
End | Number Profiles |
|---|---|---|
| 2008/04/05 16:32:51.1700 UTC | 2008/04/05 17:25:17.2494 UTC | 63435 |
|
|
|
|
|
Begin |
End | Number Profiles |
|---|---|---|
| 2008/04/05 17:25:17.2990 UTC | 2008/04/05 18:11:44.0503 UTC | 56190 |
|
|
|
|
|
Begin |
End | Number Profiles |
|---|---|---|
| 2008/04/05 18:11:44.1000 UTC | 2008/04/05 19:04:11.6694 UTC | 63465 |
|
|
|
|
|
Begin |
End | Number Profiles |
|---|---|---|
| 2008/04/05 19:04:11.7189 UTC | 2008/04/05 19:50:38.4714 UTC | 56190 |
|
|
|
|
|
Begin |
End | Number Profiles |
|---|---|---|
| 2008/04/05 19:50:38.5210 UTC | 2008/04/05 20:43:04.6024 UTC | 63435 |
|
|
|
|
|
Begin |
End | Number Profiles |
|---|---|---|
| 2008/04/05 20:43:04.6519 UTC | 2008/04/05 21:29:32.1494 UTC | 56205 |
|
|
|
|
|
Begin |
End | Number Profiles |
|---|---|---|
| 2008/04/05 21:29:32.1990 UTC | 2008/04/05 22:21:58.2793 UTC | 63435 |
|
|
|
|
|
Begin |
End | Number Profiles |
|---|---|---|
| 2008/04/05 22:21:58.3289 UTC | 2008/04/05 23:08:25.0854 UTC | 56190 |
|
|
|
|
|
Begin |
End | Number Profiles |
|---|---|---|
| 2008/04/05 23:08:25.1350 UTC | 2008/04/06 00:00:52.7064 UTC | 63465 |
|
|
|
|
|
























































































































