|
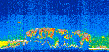
Displayed on this page are scaled, color-modulated, altitude-time images of CALIPSO attenuated backscatter (/km/sr) including:
- 532 nm total (parallel + perpendicular) attenuated backscatter
- 532 nm perpendicular attenuated backscatter
- 1064 nm total attenuated backscatter
The orbit track locations for the entire Level 1 .hdf file are in black and the orbit track locations corresponding to this page are color coded.
For the full scale images:
- the color bars for attenuated backscatter show the colors assigned to ranges of attenuated backscatter, /km/sr
- the horizontal axes are annotated with latitude (deg) and longitude (deg)
- the vertical axes are annotated to indicate altitude in kilometers
- the date and time of the measurements are listed as UTC time
- the names of the CALIPSO data products for the Lidar Level 1 attenuated backscatter granules are included
The scaled images on this page are organized by CALIPSO data product day and night orbit granules.
The maps with a shaded background indicate nightime measurements.
There are a maximum of 4 scaled images per granule.
The orbit tracks plotted on the maps show the measurement locations for each granule.
For each granule, the scaled images are ordered from left to right and their locations along the orbit tracks are color coded as: image one, image two, image three, image four.
Begin |
End | Number Profiles |
|---|---|---|
| 2008/04/16 00:39:12.5160 UTC | 2008/04/16 01:25:40.0184 UTC | 56205 |
|
|
|
|
|
Begin |
End | Number Profiles |
|---|---|---|
| 2008/04/16 01:25:40.0680 UTC | 2008/04/16 02:18:06.1474 UTC | 63435 |
|
|
|
|
|
Begin |
End | Number Profiles |
|---|---|---|
| 2008/04/16 02:18:06.1960 UTC | 2008/04/16 03:04:33.6974 UTC | 56205 |
|
|
|
|
|
Begin |
End | Number Profiles |
|---|---|---|
| 2008/04/16 03:04:33.7470 UTC | 2008/04/16 03:56:59.0813 UTC | 63420 |
|
|
|
|
|
Begin |
End | Number Profiles |
|---|---|---|
| 2008/04/16 03:56:59.1310 UTC | 2008/04/16 04:43:27.3744 UTC | 56220 |
|
|
|
|
|
Begin |
End | Number Profiles |
|---|---|---|
| 2008/04/16 04:43:27.4240 UTC | 2008/04/16 05:35:53.5034 UTC | 63435 |
|
|
|
|
|
Begin |
End | Number Profiles |
|---|---|---|
| 2008/04/16 05:35:53.5530 UTC | 2008/04/16 06:22:20.3094 UTC | 56190 |
|
|
|
|
|
Begin |
End | Number Profiles |
|---|---|---|
| 2008/04/16 06:22:20.3590 UTC | 2008/04/16 07:14:46.4374 UTC | 63435 |
|
|
|
|
|
Begin |
End | Number Profiles |
|---|---|---|
| 2008/04/16 07:14:46.4870 UTC | 2008/04/16 08:01:13.9874 UTC | 56205 |
|
|
|
|
|
Begin |
End | Number Profiles |
|---|---|---|
| 2008/04/16 08:01:14.0370 UTC | 2008/04/16 08:53:40.1144 UTC | 63435 |
|
|
|
|
|
Begin |
End | Number Profiles |
|---|---|---|
| 2008/04/16 08:53:40.1639 UTC | 2008/04/16 09:40:08.4074 UTC | 56220 |
|
|
|
|
|
Begin |
End | Number Profiles |
|---|---|---|
| 2008/04/16 09:40:08.4559 UTC | 2008/04/16 10:32:33.0474 UTC | 63405 |
|
|
|
|
|
Begin |
End | Number Profiles |
|---|---|---|
| 2008/04/16 10:32:33.0970 UTC | 2008/04/16 11:19:01.3394 UTC | 56220 |
|
|
|
|
|
Begin |
End | Number Profiles |
|---|---|---|
| 2008/04/16 11:19:01.3880 UTC | 2008/04/16 12:11:27.4674 UTC | 63435 |
|
|
|
|
|
Begin |
End | Number Profiles |
|---|---|---|
| 2008/04/16 12:11:27.5170 UTC | 2008/04/16 12:57:55.0144 UTC | 56205 |
|
|
|
|
|
Begin |
End | Number Profiles |
|---|---|---|
| 2008/04/16 12:57:55.0640 UTC | 2008/04/16 13:50:20.3984 UTC | 63420 |
|
|
|
|
|
Begin |
End | Number Profiles |
|---|---|---|
| 2008/04/16 13:50:20.4480 UTC | 2008/04/16 14:36:48.6904 UTC | 56220 |
|
|
|
|
|
Begin |
End | Number Profiles |
|---|---|---|
| 2008/04/16 14:36:48.7399 UTC | 2008/04/16 15:29:14.0744 UTC | 63420 |
|
|
|
|
|
Begin |
End | Number Profiles |
|---|---|---|
| 2008/04/16 15:29:14.1240 UTC | 2008/04/16 16:15:42.3644 UTC | 56220 |
|
|
|
|
|
Begin |
End | Number Profiles |
|---|---|---|
| 2008/04/16 16:15:42.4140 UTC | 2008/04/16 17:08:07.0034 UTC | 63405 |
|
|
|
|
|
Begin |
End | Number Profiles |
|---|---|---|
| 2008/04/16 17:08:07.0530 UTC | 2008/04/16 17:54:35.2934 UTC | 56220 |
|
|
|
|
|
Begin |
End | Number Profiles |
|---|---|---|
| 2008/04/16 17:54:35.3430 UTC | 2008/04/16 18:47:01.4204 UTC | 63435 |
|
|
|
|
|
Begin |
End | Number Profiles |
|---|---|---|
| 2008/04/16 18:47:01.4700 UTC | 2008/04/16 19:33:28.9644 UTC | 56205 |
|
|
|
|
|
Begin |
End | Number Profiles |
|---|---|---|
| 2008/04/16 19:33:29.0140 UTC | 2008/04/16 20:25:54.3464 UTC | 63420 |
|
|
|
|
|
Begin |
End | Number Profiles |
|---|---|---|
| 2008/04/16 20:25:54.3960 UTC | 2008/04/16 21:12:22.6354 UTC | 56220 |
|
|
|
|
|
Begin |
End | Number Profiles |
|---|---|---|
| 2008/04/16 21:12:22.6850 UTC | 2008/04/16 22:04:48.0173 UTC | 63420 |
|
|
|
|
|
Begin |
End | Number Profiles |
|---|---|---|
| 2008/04/16 22:04:48.0670 UTC | 2008/04/16 22:51:16.3084 UTC | 56220 |
|
|
|
|
|
Begin |
End | Number Profiles |
|---|---|---|
| 2008/04/16 22:51:16.3580 UTC | 2008/04/16 23:43:42.4353 UTC | 63435 |
|
|
|
|
|
Begin |
End | Number Profiles |
|---|---|---|
| 2008/04/16 23:43:42.4850 UTC | 2008/04/17 00:30:09.2423 UTC | 56190 |
|
|
|
|
|
























































































































