|
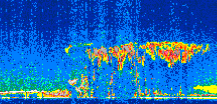
Displayed on this page are scaled, color-modulated, altitude-time images of CALIPSO attenuated backscatter (/km/sr) including:
- 532 nm total (parallel + perpendicular) attenuated backscatter
- 532 nm perpendicular attenuated backscatter
- 1064 nm total attenuated backscatter
The orbit track locations for the entire Level 1 .hdf file are in black and the orbit track locations corresponding to this page are color coded.
For the full scale images:
- the color bars for attenuated backscatter show the colors assigned to ranges of attenuated backscatter, /km/sr
- the horizontal axes are annotated with latitude (deg) and longitude (deg)
- the vertical axes are annotated to indicate altitude in kilometers
- the date and time of the measurements are listed as UTC time
- the names of the CALIPSO data products for the Lidar Level 1 attenuated backscatter granules are included
The scaled images on this page are organized by CALIPSO data product day and night orbit granules.
The maps with a shaded background indicate nightime measurements.
There are a maximum of 4 scaled images per granule.
The orbit tracks plotted on the maps show the measurement locations for each granule.
For each granule, the scaled images are ordered from left to right and their locations along the orbit tracks are color coded as: image one, image two, image three, image four.
Begin |
End | Number Profiles |
|---|---|---|
| 2008/04/17 00:30:09.2920 UTC | 2008/04/17 01:22:35.3704 UTC | 63435 |
|
|
|
|
|
Begin |
End | Number Profiles |
|---|---|---|
| 2008/04/17 01:22:35.4190 UTC | 2008/04/17 02:09:03.6634 UTC | 56220 |
|
|
|
|
|
Begin |
End | Number Profiles |
|---|---|---|
| 2008/04/17 02:09:03.7130 UTC | 2008/04/17 03:01:29.0474 UTC | 63420 |
|
|
|
|
|
Begin |
End | Number Profiles |
|---|---|---|
| 2008/04/17 03:01:29.0970 UTC | 2008/04/17 03:47:56.5984 UTC | 56205 |
|
|
|
|
|
Begin |
End | Number Profiles |
|---|---|---|
| 2008/04/17 03:47:56.6480 UTC | 2008/04/17 04:40:21.9824 UTC | 63420 |
|
|
|
|
|
Begin |
End | Number Profiles |
|---|---|---|
| 2008/04/17 04:40:22.0320 UTC | 2008/04/17 05:26:50.2774 UTC | 56220 |
|
|
|
|
|
Begin |
End | Number Profiles |
|---|---|---|
| 2008/04/17 05:26:50.3270 UTC | 2008/04/17 06:19:16.4054 UTC | 63435 |
|
|
|
|
|
Begin |
End | Number Profiles |
|---|---|---|
| 2008/04/17 06:19:16.4550 UTC | 2008/04/17 07:05:43.2124 UTC | 56190 |
|
|
|
|
|
Begin |
End | Number Profiles |
|---|---|---|
| 2008/04/17 07:05:43.2620 UTC | 2008/04/17 07:58:09.3403 UTC | 63435 |
|
|
|
|
|
Begin |
End | Number Profiles |
|---|---|---|
| 2008/04/17 07:58:09.3900 UTC | 2008/04/17 08:44:37.6334 UTC | 56220 |
|
|
|
|
|
Begin |
End | Number Profiles |
|---|---|---|
| 2008/04/17 08:44:37.6820 UTC | 2008/04/17 09:37:03.0164 UTC | 63420 |
|
|
|
|
|
Begin |
End | Number Profiles |
|---|---|---|
| 2008/04/17 09:37:03.0660 UTC | 2008/04/17 10:23:31.3084 UTC | 56220 |
|
|
|
|
|
Begin |
End | Number Profiles |
|---|---|---|
| 2008/04/17 10:23:31.3580 UTC | 2008/04/17 11:15:56.6924 UTC | 63420 |
|
|
|
|
|
Begin |
End | Number Profiles |
|---|---|---|
| 2008/04/17 11:15:56.7420 UTC | 2008/04/17 12:02:24.2404 UTC | 56205 |
|
|
|
|
|
Begin |
End | Number Profiles |
|---|---|---|
| 2008/04/17 12:02:24.2900 UTC | 2008/04/17 12:54:50.3684 UTC | 63435 |
|
|
|
|
|
Begin |
End | Number Profiles |
|---|---|---|
| 2008/04/17 12:54:50.4180 UTC | 2008/04/17 13:41:18.6604 UTC | 56220 |
|
|
|
|
|
Begin |
End | Number Profiles |
|---|---|---|
| 2008/04/17 13:41:18.7100 UTC | 2008/04/17 14:33:43.2994 UTC | 63405 |
|
|
|
|
|
Begin |
End | Number Profiles |
|---|---|---|
| 2008/04/17 14:33:43.3490 UTC | 2008/04/17 15:20:11.5903 UTC | 56220 |
|
|
|
|
|
Begin |
End | Number Profiles |
|---|---|---|
| 2008/04/17 15:20:11.6400 UTC | 2008/04/17 16:12:36.9734 UTC | 63420 |
|
|
|
|
|
Begin |
End | Number Profiles |
|---|---|---|
| 2008/04/17 16:12:37.0230 UTC | 2008/04/17 16:59:05.2624 UTC | 56220 |
|
|
|
|
|
Begin |
End | Number Profiles |
|---|---|---|
| 2008/04/17 16:59:05.3120 UTC | 2008/04/17 17:51:30.6444 UTC | 63420 |
|
|
|
|
|
Begin |
End | Number Profiles |
|---|---|---|
| 2008/04/17 17:51:30.6940 UTC | 2008/04/17 18:37:58.1884 UTC | 56205 |
|
|
|
|
|
Begin |
End | Number Profiles |
|---|---|---|
| 2008/04/17 18:37:58.2380 UTC | 2008/04/17 19:30:24.3153 UTC | 63435 |
|
|
|
|
|
Begin |
End | Number Profiles |
|---|---|---|
| 2008/04/17 19:30:24.3650 UTC | 2008/04/17 20:16:52.6054 UTC | 56220 |
|
|
|
|
|
Begin |
End | Number Profiles |
|---|---|---|
| 2008/04/17 20:16:52.6550 UTC | 2008/04/17 21:09:17.2434 UTC | 63405 |
|
|
|
|
|
Begin |
End | Number Profiles |
|---|---|---|
| 2008/04/17 21:09:17.2930 UTC | 2008/04/17 21:55:45.5344 UTC | 56220 |
|
|
|
|
|
Begin |
End | Number Profiles |
|---|---|---|
| 2008/04/17 21:55:45.5840 UTC | 2008/04/17 22:48:11.6604 UTC | 63435 |
|
|
|
|
|
Begin |
End | Number Profiles |
|---|---|---|
| 2008/04/17 22:48:11.7100 UTC | 2008/04/17 23:34:39.2074 UTC | 56205 |
|
|
|
|
|
Begin |
End | Number Profiles |
|---|---|---|
| 2008/04/17 23:34:39.2570 UTC | 2008/04/18 00:27:05.3344 UTC | 63435 |
|
|
|
|
|
























































































































