|
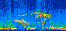
Displayed on this page are scaled, color-modulated, altitude-time images of CALIPSO attenuated backscatter (/km/sr) including:
- 532 nm total (parallel + perpendicular) attenuated backscatter
- 532 nm perpendicular attenuated backscatter
- 1064 nm total attenuated backscatter
The orbit track locations for the entire Level 1 .hdf file are in black and the orbit track locations corresponding to this page are color coded.
For the full scale images:
- the color bars for attenuated backscatter show the colors assigned to ranges of attenuated backscatter, /km/sr
- the horizontal axes are annotated with latitude (deg) and longitude (deg)
- the vertical axes are annotated to indicate altitude in kilometers
- the date and time of the measurements are listed as UTC time
- the names of the CALIPSO data products for the Lidar Level 1 attenuated backscatter granules are included
The scaled images on this page are organized by CALIPSO data product day and night orbit granules.
The maps with a shaded background indicate nightime measurements.
There are a maximum of 4 scaled images per granule.
The orbit tracks plotted on the maps show the measurement locations for each granule.
For each granule, the scaled images are ordered from left to right and their locations along the orbit tracks are color coded as: image one, image two, image three, image four.
Begin |
End | Number Profiles |
|---|---|---|
| 2008/05/10 00:38:40.3030 UTC | 2008/05/10 01:31:04.1424 UTC | 63390 |
|
|
|
|
|
Begin |
End | Number Profiles |
|---|---|---|
| 2008/05/10 01:31:04.1920 UTC | 2008/05/10 02:17:34.6684 UTC | 56265 |
|
|
|
|
|
Begin |
End | Number Profiles |
|---|---|---|
| 2008/05/10 02:17:34.7180 UTC | 2008/05/10 03:09:57.0683 UTC | 63360 |
|
|
|
|
|
Begin |
End | Number Profiles |
|---|---|---|
| 2008/05/10 03:09:57.1179 UTC | 2008/05/10 03:56:27.5934 UTC | 56265 |
|
|
|
|
|
Begin |
End | Number Profiles |
|---|---|---|
| 2008/05/10 03:56:27.6430 UTC | 2008/05/10 04:48:49.9944 UTC | 63360 |
|
|
|
|
|
Begin |
End | Number Profiles |
|---|---|---|
| 2008/05/10 04:48:50.0440 UTC | 2008/05/10 05:35:20.5174 UTC | 56265 |
|
|
|
|
|
Begin |
End | Number Profiles |
|---|---|---|
| 2008/05/10 05:35:20.5670 UTC | 2008/05/10 06:27:44.4054 UTC | 63390 |
|
|
|
|
|
Begin |
End | Number Profiles |
|---|---|---|
| 2008/05/10 06:27:44.4550 UTC | 2008/05/10 07:14:14.1853 UTC | 56250 |
|
|
|
|
|
Begin |
End | Number Profiles |
|---|---|---|
| 2008/05/10 07:14:14.2349 UTC | 2008/05/10 08:06:37.3294 UTC | 63375 |
|
|
|
|
|
Begin |
End | Number Profiles |
|---|---|---|
| 2008/05/10 08:06:37.3790 UTC | 2008/05/10 08:53:07.1084 UTC | 56250 |
|
|
|
|
|
Begin |
End | Number Profiles |
|---|---|---|
| 2008/05/10 08:53:07.1580 UTC | 2008/05/10 09:45:30.9963 UTC | 63390 |
|
|
|
|
|
Begin |
End | Number Profiles |
|---|---|---|
| 2008/05/10 09:45:31.0450 UTC | 2008/05/10 10:32:01.5173 UTC | 56265 |
|
|
|
|
|
Begin |
End | Number Profiles |
|---|---|---|
| 2008/05/10 10:32:01.5660 UTC | 2008/05/10 11:24:24.6594 UTC | 63375 |
|
|
|
|
|
Begin |
End | Number Profiles |
|---|---|---|
| 2008/05/10 11:24:24.7089 UTC | 2008/05/10 12:10:54.4374 UTC | 56250 |
|
|
|
|
|
Begin |
End | Number Profiles |
|---|---|---|
| 2008/05/10 12:10:54.4859 UTC | 2008/05/10 13:03:17.5794 UTC | 63375 |
|
|
|
|
|
Begin |
End | Number Profiles |
|---|---|---|
| 2008/05/10 13:03:17.6290 UTC | 2008/05/10 13:49:47.3574 UTC | 56250 |
|
|
|
|
|
Begin |
End | Number Profiles |
|---|---|---|
| 2008/05/10 13:49:47.4060 UTC | 2008/05/10 14:42:11.2444 UTC | 63390 |
|
|
|
|
|
Begin |
End | Number Profiles |
|---|---|---|
| 2008/05/10 14:42:11.2940 UTC | 2008/05/10 15:28:41.0194 UTC | 56250 |
|
|
|
|
|
Begin |
End | Number Profiles |
|---|---|---|
| 2008/05/10 15:28:41.0690 UTC | 2008/05/10 16:21:04.1624 UTC | 63375 |
|
|
|
|
|
Begin |
End | Number Profiles |
|---|---|---|
| 2008/05/10 16:21:04.2120 UTC | 2008/05/10 17:07:34.6804 UTC | 56265 |
|
|
|
|
|
Begin |
End | Number Profiles |
|---|---|---|
| 2008/05/10 17:07:34.7300 UTC | 2008/05/10 17:59:57.0794 UTC | 63360 |
|
|
|
|
|
Begin |
End | Number Profiles |
|---|---|---|
| 2008/05/10 18:00:03.8240 UTC | 2008/05/10 18:46:27.5974 UTC | 56130 |
|
|
|
|
|
Begin |
End | Number Profiles |
|---|---|---|
| 2008/05/10 18:46:27.6470 UTC | 2008/05/10 19:38:51.4844 UTC | 63390 |
|
|
|
|
|
Begin |
End | Number Profiles |
|---|---|---|
| 2008/05/10 19:38:51.5340 UTC | 2008/05/10 20:25:21.2604 UTC | 56250 |
|
|
|
|
|
Begin |
End | Number Profiles |
|---|---|---|
| 2008/05/10 20:25:21.3100 UTC | 2008/05/10 21:17:44.4034 UTC | 63375 |
|
|
|
|
|
Begin |
End | Number Profiles |
|---|---|---|
| 2008/05/10 21:17:44.4530 UTC | 2008/05/10 22:04:14.1824 UTC | 56250 |
|
|
|
|
|
Begin |
End | Number Profiles |
|---|---|---|
| 2008/05/10 22:04:14.2320 UTC | 2008/05/10 22:56:38.0704 UTC | 63390 |
|
|
|
|
|
Begin |
End | Number Profiles |
|---|---|---|
| 2008/05/10 22:56:38.1200 UTC | 2008/05/10 23:43:08.5934 UTC | 56265 |
|
|
|
|
|
Begin |
End | Number Profiles |
|---|---|---|
| 2008/05/10 23:43:08.6429 UTC | 2008/05/11 00:35:30.9934 UTC | 63360 |
|
|
|
|
|
























































































































