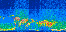
|
Displayed on this page are scaled, color-modulated, altitude-time images of CALIPSO attenuated backscatter (/km/sr) including:
- 532 nm total (parallel + perpendicular) attenuated backscatter
- 532 nm perpendicular attenuated backscatter
- 1064 nm total attenuated backscatter
The orbit track locations for the entire Level 1 .hdf file are in black and the orbit track locations corresponding to this page are color coded.
For the full scale images:
- the color bars for attenuated backscatter show the colors assigned to ranges of attenuated backscatter, /km/sr
- the horizontal axes are annotated with latitude (deg) and longitude (deg)
- the vertical axes are annotated to indicate altitude in kilometers
- the date and time of the measurements are listed as UTC time
- the names of the CALIPSO data products for the Lidar Level 1 attenuated backscatter granules are included
The scaled images on this page are organized by CALIPSO data product day and night orbit granules.
The maps with a shaded background indicate nightime measurements.
There are a maximum of 4 scaled images per granule.
The orbit tracks plotted on the maps show the measurement locations for each granule.
For each granule, the scaled images are ordered from left to right and their locations along the orbit tracks are color coded as: image one, image two, image three, image four.
Begin |
End | Number Profiles |
|---|---|---|
| 2008/05/31 00:11:55.2070 UTC | 2008/05/31 00:58:27.1664 UTC | 56295 |
|
|
|
|
|
Begin |
End | Number Profiles |
|---|---|---|
| 2008/05/31 00:58:27.2160 UTC | 2008/05/31 01:50:48.0694 UTC | 63330 |
|
|
|
|
|
Begin |
End | Number Profiles |
|---|---|---|
| 2008/05/31 01:50:48.1190 UTC | 2008/05/31 02:37:20.0764 UTC | 56295 |
|
|
|
|
|
Begin |
End | Number Profiles |
|---|---|---|
| 2008/05/31 02:37:20.1260 UTC | 2008/05/31 03:29:40.9783 UTC | 63330 |
|
|
|
|
|
Begin |
End | Number Profiles |
|---|---|---|
| 2008/05/31 03:29:41.0280 UTC | 2008/05/31 04:16:12.9864 UTC | 56295 |
|
|
|
|
|
Begin |
End | Number Profiles |
|---|---|---|
| 2008/05/31 04:16:13.0360 UTC | 2008/05/31 05:08:34.6324 UTC | 63345 |
|
|
|
|
|
Begin |
End | Number Profiles |
|---|---|---|
| 2008/05/31 05:08:34.6820 UTC | 2008/05/31 05:55:06.6384 UTC | 56295 |
|
|
|
|
|
Begin |
End | Number Profiles |
|---|---|---|
| 2008/05/31 05:55:06.6880 UTC | 2008/05/31 06:47:28.2844 UTC | 63345 |
|
|
|
|
|
Begin |
End | Number Profiles |
|---|---|---|
| 2008/05/31 06:47:28.3340 UTC | 2008/05/31 07:34:00.2914 UTC | 56295 |
|
|
|
|
|
Begin |
End | Number Profiles |
|---|---|---|
| 2008/05/31 07:34:00.3410 UTC | 2008/05/31 08:26:21.1934 UTC | 63330 |
|
|
|
|
|
Begin |
End | Number Profiles |
|---|---|---|
| 2008/05/31 08:26:21.2429 UTC | 2008/05/31 09:12:53.2004 UTC | 56295 |
|
|
|
|
|
Begin |
End | Number Profiles |
|---|---|---|
| 2008/05/31 09:12:53.2500 UTC | 2008/05/31 10:05:14.1034 UTC | 63330 |
|
|
|
|
|
Begin |
End | Number Profiles |
|---|---|---|
| 2008/05/31 10:05:14.1530 UTC | 2008/05/31 10:51:46.1103 UTC | 56295 |
|
|
|
|
|
Begin |
End | Number Profiles |
|---|---|---|
| 2008/05/31 10:51:46.1599 UTC | 2008/05/31 11:44:07.0134 UTC | 63330 |
|
|
|
|
|
Begin |
End | Number Profiles |
|---|---|---|
| 2008/05/31 11:44:07.0630 UTC | 2008/05/31 12:30:39.0214 UTC | 56295 |
|
|
|
|
|
Begin |
End | Number Profiles |
|---|---|---|
| 2008/05/31 12:30:39.0709 UTC | 2008/05/31 13:23:01.4124 UTC | 63360 |
|
|
|
|
|
Begin |
End | Number Profiles |
|---|---|---|
| 2008/05/31 13:23:01.4620 UTC | 2008/05/31 14:09:33.4203 UTC | 56295 |
|
|
|
|
|
Begin |
End | Number Profiles |
|---|---|---|
| 2008/05/31 14:09:33.4700 UTC | 2008/05/31 15:01:54.3234 UTC | 63330 |
|
|
|
|
|
Begin |
End | Number Profiles |
|---|---|---|
| 2008/05/31 15:01:54.3730 UTC | 2008/05/31 15:48:26.3304 UTC | 56295 |
|
|
|
|
|
Begin |
End | Number Profiles |
|---|---|---|
| 2008/05/31 15:48:26.3800 UTC | 2008/05/31 16:40:47.2324 UTC | 63330 |
|
|
|
|
|
Begin |
End | Number Profiles |
|---|---|---|
| 2008/05/31 16:40:47.2820 UTC | 2008/05/31 17:27:19.2374 UTC | 56295 |
|
|
|
|
|
Begin |
End | Number Profiles |
|---|---|---|
| 2008/05/31 17:27:19.2870 UTC | 2008/05/31 18:19:40.1374 UTC | 63330 |
|
|
|
|
|
Begin |
End | Number Profiles |
|---|---|---|
| 2008/05/31 18:19:40.1870 UTC | 2008/05/31 19:06:12.1414 UTC | 56295 |
|
|
|
|
|
Begin |
End | Number Profiles |
|---|---|---|
| 2008/05/31 19:06:12.1910 UTC | 2008/05/31 19:58:33.0423 UTC | 63330 |
|
|
|
|
|
Begin |
End | Number Profiles |
|---|---|---|
| 2008/05/31 19:58:33.0920 UTC | 2008/05/31 20:45:05.0474 UTC | 56295 |
|
|
|
|
|
Begin |
End | Number Profiles |
|---|---|---|
| 2008/05/31 20:45:05.0970 UTC | 2008/05/31 21:37:26.6914 UTC | 63345 |
|
|
|
|
|
Begin |
End | Number Profiles |
|---|---|---|
| 2008/05/31 21:37:26.7410 UTC | 2008/05/31 22:23:59.4413 UTC | 56310 |
|
|
|
|
|
Begin |
End | Number Profiles |
|---|---|---|
| 2008/05/31 22:23:59.4909 UTC | 2008/05/31 23:16:20.3434 UTC | 63330 |
|
|
|
|
|
Begin |
End | Number Profiles |
|---|---|---|
| 2008/05/31 23:16:20.3930 UTC | 2008/06/01 00:02:52.3504 UTC | 56295 |
|
|
|
|
|
























































































































