|
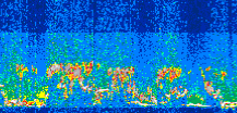
Displayed on this page are scaled, color-modulated, altitude-time images of CALIPSO attenuated backscatter (/km/sr) including:
- 532 nm total (parallel + perpendicular) attenuated backscatter
- 532 nm perpendicular attenuated backscatter
- 1064 nm total attenuated backscatter
The orbit track locations for the entire Level 1 .hdf file are in black and the orbit track locations corresponding to this page are color coded.
For the full scale images:
- the color bars for attenuated backscatter show the colors assigned to ranges of attenuated backscatter, /km/sr
- the horizontal axes are annotated with latitude (deg) and longitude (deg)
- the vertical axes are annotated to indicate altitude in kilometers
- the date and time of the measurements are listed as UTC time
- the names of the CALIPSO data products for the Lidar Level 1 attenuated backscatter granules are included
The scaled images on this page are organized by CALIPSO data product day and night orbit granules.
The maps with a shaded background indicate nightime measurements.
There are a maximum of 4 scaled images per granule.
The orbit tracks plotted on the maps show the measurement locations for each granule.
For each granule, the scaled images are ordered from left to right and their locations along the orbit tracks are color coded as: image one, image two, image three, image four.
Begin |
End | Number Profiles |
|---|---|---|
| 2008/06/21 00:31:01.0590 UTC | 2008/06/21 01:17:35.2464 UTC | 56340 |
|
|
|
|
|
Begin |
End | Number Profiles |
|---|---|---|
| 2008/06/21 01:17:35.2960 UTC | 2008/06/21 02:09:54.6544 UTC | 63300 |
|
|
|
|
|
Begin |
End | Number Profiles |
|---|---|---|
| 2008/06/21 02:09:54.7040 UTC | 2008/06/21 02:56:28.1464 UTC | 56325 |
|
|
|
|
|
Begin |
End | Number Profiles |
|---|---|---|
| 2008/06/21 02:56:28.1960 UTC | 2008/06/21 03:48:47.5534 UTC | 63300 |
|
|
|
|
|
Begin |
End | Number Profiles |
|---|---|---|
| 2008/06/21 03:48:47.6030 UTC | 2008/06/21 04:35:21.0454 UTC | 56325 |
|
|
|
|
|
Begin |
End | Number Profiles |
|---|---|---|
| 2008/06/21 04:35:21.0949 UTC | 2008/06/21 05:27:40.4524 UTC | 63300 |
|
|
|
|
|
Begin |
End | Number Profiles |
|---|---|---|
| 2008/06/21 05:27:40.5020 UTC | 2008/06/21 06:14:14.6874 UTC | 56340 |
|
|
|
|
|
Begin |
End | Number Profiles |
|---|---|---|
| 2008/06/21 06:14:14.7370 UTC | 2008/06/21 07:06:33.3504 UTC | 63285 |
|
|
|
|
|
Begin |
End | Number Profiles |
|---|---|---|
| 2008/06/21 07:06:33.4000 UTC | 2008/06/21 07:53:07.5874 UTC | 56340 |
|
|
|
|
|
Begin |
End | Number Profiles |
|---|---|---|
| 2008/06/21 07:53:07.6370 UTC | 2008/06/21 08:45:26.9933 UTC | 63300 |
|
|
|
|
|
Begin |
End | Number Profiles |
|---|---|---|
| 2008/06/21 08:45:27.0420 UTC | 2008/06/21 09:32:00.4843 UTC | 56325 |
|
|
|
|
|
Begin |
End | Number Profiles |
|---|---|---|
| 2008/06/21 09:32:00.5340 UTC | 2008/06/21 10:24:20.6344 UTC | 63315 |
|
|
|
|
|
Begin |
End | Number Profiles |
|---|---|---|
| 2008/06/21 10:24:20.6839 UTC | 2008/06/21 11:10:53.3834 UTC | 56310 |
|
|
|
|
|
Begin |
End | Number Profiles |
|---|---|---|
| 2008/06/21 11:10:53.4330 UTC | 2008/06/21 12:03:13.5354 UTC | 63315 |
|
|
|
|
|
Begin |
End | Number Profiles |
|---|---|---|
| 2008/06/21 12:03:13.5850 UTC | 2008/06/21 12:49:47.0283 UTC | 56325 |
|
|
|
|
|
Begin |
End | Number Profiles |
|---|---|---|
| 2008/06/21 12:49:47.0780 UTC | 2008/06/21 13:42:06.4364 UTC | 63300 |
|
|
|
|
|
Begin |
End | Number Profiles |
|---|---|---|
| 2008/06/21 13:42:06.4860 UTC | 2008/06/21 14:28:40.6734 UTC | 56340 |
|
|
|
|
|
Begin |
End | Number Profiles |
|---|---|---|
| 2008/06/21 14:28:40.7230 UTC | 2008/06/21 15:20:59.3364 UTC | 63285 |
|
|
|
|
|
Begin |
End | Number Profiles |
|---|---|---|
| 2008/06/21 15:20:59.3860 UTC | 2008/06/21 16:07:33.5704 UTC | 56340 |
|
|
|
|
|
Begin |
End | Number Profiles |
|---|---|---|
| 2008/06/21 16:07:33.6200 UTC | 2008/06/21 16:59:52.2304 UTC | 63285 |
|
|
|
|
|
Begin |
End | Number Profiles |
|---|---|---|
| 2008/06/21 16:59:52.2800 UTC | 2008/06/21 17:46:26.4634 UTC | 56340 |
|
|
|
|
|
Begin |
End | Number Profiles |
|---|---|---|
| 2008/06/21 17:46:26.5130 UTC | 2008/06/21 18:38:45.1224 UTC | 63285 |
|
|
|
|
|
Begin |
End | Number Profiles |
|---|---|---|
| 2008/06/21 18:38:45.1720 UTC | 2008/06/21 19:25:19.3544 UTC | 56340 |
|
|
|
|
|
Begin |
End | Number Profiles |
|---|---|---|
| 2008/06/21 19:25:19.4040 UTC | 2008/06/21 20:17:38.0144 UTC | 63285 |
|
|
|
|
|
Begin |
End | Number Profiles |
|---|---|---|
| 2008/06/21 20:17:38.0640 UTC | 2008/06/21 21:04:12.2454 UTC | 56340 |
|
|
|
|
|
Begin |
End | Number Profiles |
|---|---|---|
| 2008/06/21 21:04:12.2950 UTC | 2008/06/21 21:56:32.3924 UTC | 63315 |
|
|
|
|
|
Begin |
End | Number Profiles |
|---|---|---|
| 2008/06/21 21:56:32.4420 UTC | 2008/06/21 22:43:05.1394 UTC | 56310 |
|
|
|
|
|
Begin |
End | Number Profiles |
|---|---|---|
| 2008/06/21 22:43:05.1889 UTC | 2008/06/21 23:35:25.2873 UTC | 63315 |
|
|
|
|
|
Begin |
End | Number Profiles |
|---|---|---|
| 2008/06/21 23:35:25.3370 UTC | 2008/06/22 00:21:58.0354 UTC | 56310 |
|
|
|
|
|
























































































































