|
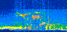
Displayed on this page are scaled, color-modulated, altitude-time images of CALIPSO attenuated backscatter (/km/sr) including:
- 532 nm total (parallel + perpendicular) attenuated backscatter
- 532 nm perpendicular attenuated backscatter
- 1064 nm total attenuated backscatter
The orbit track locations for the entire Level 1 .hdf file are in black and the orbit track locations corresponding to this page are color coded.
For the full scale images:
- the color bars for attenuated backscatter show the colors assigned to ranges of attenuated backscatter, /km/sr
- the horizontal axes are annotated with latitude (deg) and longitude (deg)
- the vertical axes are annotated to indicate altitude in kilometers
- the date and time of the measurements are listed as UTC time
- the names of the CALIPSO data products for the Lidar Level 1 attenuated backscatter granules are included
The scaled images on this page are organized by CALIPSO data product day and night orbit granules.
The maps with a shaded background indicate nightime measurements.
There are a maximum of 4 scaled images per granule.
The orbit tracks plotted on the maps show the measurement locations for each granule.
For each granule, the scaled images are ordered from left to right and their locations along the orbit tracks are color coded as: image one, image two, image three, image four.
Begin |
End | Number Profiles |
|---|---|---|
| 2008/06/23 00:18:41.7430 UTC | 2008/06/23 01:05:15.1874 UTC | 56325 |
|
|
|
|
|
Begin |
End | Number Profiles |
|---|---|---|
| 2008/06/23 01:05:15.2360 UTC | 2008/06/23 01:57:34.5924 UTC | 63300 |
|
|
|
|
|
Begin |
End | Number Profiles |
|---|---|---|
| 2008/06/23 01:57:34.6420 UTC | 2008/06/23 02:44:08.0854 UTC | 56325 |
|
|
|
|
|
Begin |
End | Number Profiles |
|---|---|---|
| 2008/06/23 02:44:08.1340 UTC | 2008/06/23 03:36:27.4894 UTC | 63300 |
|
|
|
|
|
Begin |
End | Number Profiles |
|---|---|---|
| 2008/06/23 03:36:27.5390 UTC | 2008/06/23 04:23:00.9804 UTC | 56325 |
|
|
|
|
|
Begin |
End | Number Profiles |
|---|---|---|
| 2008/06/23 04:23:01.0290 UTC | 2008/06/23 05:15:20.3844 UTC | 63300 |
|
|
|
|
|
Begin |
End | Number Profiles |
|---|---|---|
| 2008/06/23 05:15:20.4340 UTC | 2008/06/23 06:01:54.6193 UTC | 56340 |
|
|
|
|
|
Begin |
End | Number Profiles |
|---|---|---|
| 2008/06/23 06:01:54.6690 UTC | 2008/06/23 06:54:14.0254 UTC | 63300 |
|
|
|
|
|
Begin |
End | Number Profiles |
|---|---|---|
| 2008/06/23 06:54:14.0750 UTC | 2008/06/23 07:40:47.5154 UTC | 56325 |
|
|
|
|
|
Begin |
End | Number Profiles |
|---|---|---|
| 2008/06/23 07:40:47.5650 UTC | 2008/06/23 08:33:07.6643 UTC | 63315 |
|
|
|
|
|
Begin |
End | Number Profiles |
|---|---|---|
| 2008/06/23 08:33:07.7140 UTC | 2008/06/23 09:19:41.1544 UTC | 56325 |
|
|
|
|
|
Begin |
End | Number Profiles |
|---|---|---|
| 2008/06/23 09:19:41.2040 UTC | 2008/06/23 10:12:00.5604 UTC | 63300 |
|
|
|
|
|
Begin |
End | Number Profiles |
|---|---|---|
| 2008/06/23 10:12:00.6100 UTC | 2008/06/23 10:58:34.0514 UTC | 56325 |
|
|
|
|
|
Begin |
End | Number Profiles |
|---|---|---|
| 2008/06/23 10:58:34.1010 UTC | 2008/06/23 11:50:53.4574 UTC | 63300 |
|
|
|
|
|
Begin |
End | Number Profiles |
|---|---|---|
| 2008/06/23 11:50:53.5070 UTC | 2008/06/23 12:37:27.6934 UTC | 56340 |
|
|
|
|
|
Begin |
End | Number Profiles |
|---|---|---|
| 2008/06/23 12:37:27.7429 UTC | 2008/06/23 13:29:46.3574 UTC | 63285 |
|
|
|
|
|
Begin |
End | Number Profiles |
|---|---|---|
| 2008/06/23 13:29:46.4070 UTC | 2008/06/23 14:16:20.5934 UTC | 56340 |
|
|
|
|
|
Begin |
End | Number Profiles |
|---|---|---|
| 2008/06/23 14:16:20.6430 UTC | 2008/06/23 15:08:39.2544 UTC | 63285 |
|
|
|
|
|
Begin |
End | Number Profiles |
|---|---|---|
| 2008/06/23 15:08:39.3040 UTC | 2008/06/23 15:55:13.4874 UTC | 56340 |
|
|
|
|
|
Begin |
End | Number Profiles |
|---|---|---|
| 2008/06/23 15:55:13.5370 UTC | 2008/06/23 16:47:32.1474 UTC | 63285 |
|
|
|
|
|
Begin |
End | Number Profiles |
|---|---|---|
| 2008/06/23 16:47:32.1970 UTC | 2008/06/23 17:34:06.3784 UTC | 56340 |
|
|
|
|
|
Begin |
End | Number Profiles |
|---|---|---|
| 2008/06/23 17:34:06.4280 UTC | 2008/06/23 18:26:25.0373 UTC | 63285 |
|
|
|
|
|
Begin |
End | Number Profiles |
|---|---|---|
| 2008/06/23 18:26:25.0870 UTC | 2008/06/23 19:12:59.2674 UTC | 56340 |
|
|
|
|
|
Begin |
End | Number Profiles |
|---|---|---|
| 2008/06/23 19:12:59.3170 UTC | 2008/06/23 20:05:18.6694 UTC | 63300 |
|
|
|
|
|
Begin |
End | Number Profiles |
|---|---|---|
| 2008/06/23 20:05:18.7190 UTC | 2008/06/23 20:51:52.1554 UTC | 56325 |
|
|
|
|
|
Begin |
End | Number Profiles |
|---|---|---|
| 2008/06/23 20:51:52.2049 UTC | 2008/06/23 21:44:12.3024 UTC | 63315 |
|
|
|
|
|
Begin |
End | Number Profiles |
|---|---|---|
| 2008/06/23 21:44:12.3510 UTC | 2008/06/23 22:30:45.0454 UTC | 56310 |
|
|
|
|
|
Begin |
End | Number Profiles |
|---|---|---|
| 2008/06/23 22:30:45.0950 UTC | 2008/06/23 23:23:05.1934 UTC | 63315 |
|
|
|
|
|
Begin |
End | Number Profiles |
|---|---|---|
| 2008/06/23 23:23:05.2419 UTC | 2008/06/24 00:09:38.6824 UTC | 56325 |
|
|
|
|
|
























































































































