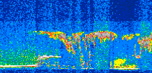
|
Displayed on this page are scaled, color-modulated, altitude-time images of CALIPSO attenuated backscatter (/km/sr) including:
- 532 nm total (parallel + perpendicular) attenuated backscatter
- 532 nm perpendicular attenuated backscatter
- 1064 nm total attenuated backscatter
The orbit track locations for the entire Level 1 .hdf file are in black and the orbit track locations corresponding to this page are color coded.
For the full scale images:
- the color bars for attenuated backscatter show the colors assigned to ranges of attenuated backscatter, /km/sr
- the horizontal axes are annotated with latitude (deg) and longitude (deg)
- the vertical axes are annotated to indicate altitude in kilometers
- the date and time of the measurements are listed as UTC time
- the names of the CALIPSO data products for the Lidar Level 1 attenuated backscatter granules are included
The scaled images on this page are organized by CALIPSO data product day and night orbit granules.
The maps with a shaded background indicate nightime measurements.
There are a maximum of 4 scaled images per granule.
The orbit tracks plotted on the maps show the measurement locations for each granule.
For each granule, the scaled images are ordered from left to right and their locations along the orbit tracks are color coded as: image one, image two, image three, image four.
Begin |
End | Number Profiles |
|---|---|---|
| 2008/07/13 00:40:25.0340 UTC | 2008/07/13 01:32:44.3884 UTC | 63300 |
|
|
|
|
|
Begin |
End | Number Profiles |
|---|---|---|
| 2008/07/13 01:32:44.4380 UTC | 2008/07/13 02:19:18.6274 UTC | 56340 |
|
|
|
|
|
Begin |
End | Number Profiles |
|---|---|---|
| 2008/07/13 02:19:18.6770 UTC | 2008/07/13 03:11:37.2884 UTC | 63285 |
|
|
|
|
|
Begin |
End | Number Profiles |
|---|---|---|
| 2008/07/13 03:11:37.3380 UTC | 2008/07/13 03:58:11.5264 UTC | 56340 |
|
|
|
|
|
Begin |
End | Number Profiles |
|---|---|---|
| 2008/07/13 03:58:11.5760 UTC | 2008/07/13 04:50:30.1874 UTC | 63285 |
|
|
|
|
|
Begin |
End | Number Profiles |
|---|---|---|
| 2008/07/13 04:50:30.2370 UTC | 2008/07/13 05:37:04.4254 UTC | 56340 |
|
|
|
|
|
Begin |
End | Number Profiles |
|---|---|---|
| 2008/07/13 05:37:04.4750 UTC | 2008/07/13 06:29:23.0864 UTC | 63285 |
|
|
|
|
|
Begin |
End | Number Profiles |
|---|---|---|
| 2008/07/13 06:29:23.1360 UTC | 2008/07/13 07:15:57.3243 UTC | 56340 |
|
|
|
|
|
Begin |
End | Number Profiles |
|---|---|---|
| 2008/07/13 07:15:57.3739 UTC | 2008/07/13 08:08:15.9854 UTC | 63285 |
|
|
|
|
|
Begin |
End | Number Profiles |
|---|---|---|
| 2008/07/13 08:08:16.0350 UTC | 2008/07/13 08:54:50.2234 UTC | 56340 |
|
|
|
|
|
Begin |
End | Number Profiles |
|---|---|---|
| 2008/07/13 08:54:50.2730 UTC | 2008/07/13 09:47:09.6283 UTC | 63300 |
|
|
|
|
|
Begin |
End | Number Profiles |
|---|---|---|
| 2008/07/13 09:47:09.6780 UTC | 2008/07/13 10:33:43.1234 UTC | 56325 |
|
|
|
|
|
Begin |
End | Number Profiles |
|---|---|---|
| 2008/07/13 10:33:43.1730 UTC | 2008/07/13 11:26:02.5283 UTC | 63300 |
|
|
|
|
|
Begin |
End | Number Profiles |
|---|---|---|
| 2008/07/13 11:26:02.5779 UTC | 2008/07/13 12:12:36.0244 UTC | 56325 |
|
|
|
|
|
Begin |
End | Number Profiles |
|---|---|---|
| 2008/07/13 12:12:36.0739 UTC | 2008/07/13 13:04:55.4313 UTC | 63300 |
|
|
|
|
|
Begin |
End | Number Profiles |
|---|---|---|
| 2008/07/13 13:04:55.4810 UTC | 2008/07/13 13:51:29.6713 UTC | 56340 |
|
|
|
|
|
Begin |
End | Number Profiles |
|---|---|---|
| 2008/07/13 13:51:29.7210 UTC | 2008/07/13 14:43:48.3334 UTC | 63285 |
|
|
|
|
|
Begin |
End | Number Profiles |
|---|---|---|
| 2008/07/13 14:43:48.3830 UTC | 2008/07/13 15:30:22.5744 UTC | 56340 |
|
|
|
|
|
Begin |
End | Number Profiles |
|---|---|---|
| 2008/07/13 15:30:22.6240 UTC | 2008/07/13 16:22:41.2354 UTC | 63285 |
|
|
|
|
|
Begin |
End | Number Profiles |
|---|---|---|
| 2008/07/13 16:22:41.2850 UTC | 2008/07/13 17:09:13.9834 UTC | 56310 |
|
|
|
|
|
Begin |
End | Number Profiles |
|---|---|---|
| 2008/07/13 17:09:14.0330 UTC | 2008/07/13 18:01:34.1314 UTC | 63315 |
|
|
|
|
|
Begin |
End | Number Profiles |
|---|---|---|
| 2008/07/13 18:01:34.1809 UTC | 2008/07/13 18:48:07.6234 UTC | 56325 |
|
|
|
|
|
Begin |
End | Number Profiles |
|---|---|---|
| 2008/07/13 18:48:07.6730 UTC | 2008/07/13 19:40:27.0274 UTC | 63300 |
|
|
|
|
|
Begin |
End | Number Profiles |
|---|---|---|
| 2008/07/13 19:40:27.0770 UTC | 2008/07/13 20:27:00.5194 UTC | 56325 |
|
|
|
|
|
Begin |
End | Number Profiles |
|---|---|---|
| 2008/07/13 20:27:00.5689 UTC | 2008/07/13 21:19:20.6664 UTC | 63315 |
|
|
|
|
|
Begin |
End | Number Profiles |
|---|---|---|
| 2008/07/13 21:19:20.7160 UTC | 2008/07/13 22:05:53.4164 UTC | 56310 |
|
|
|
|
|
Begin |
End | Number Profiles |
|---|---|---|
| 2008/07/13 22:05:53.4660 UTC | 2008/07/13 22:58:13.5634 UTC | 63315 |
|
|
|
|
|
Begin |
End | Number Profiles |
|---|---|---|
| 2008/07/13 22:58:13.6130 UTC | 2008/07/13 23:44:46.3143 UTC | 56310 |
|
|
|
|
|
Begin |
End | Number Profiles |
|---|---|---|
| 2008/07/13 23:44:46.3640 UTC | 2008/07/14 00:37:06.4634 UTC | 63315 |
|
|
|
|
|
























































































































