|
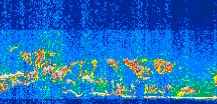
Displayed on this page are scaled, color-modulated, altitude-time images of CALIPSO attenuated backscatter (/km/sr) including:
- 532 nm total (parallel + perpendicular) attenuated backscatter
- 532 nm perpendicular attenuated backscatter
- 1064 nm total attenuated backscatter
The orbit track locations for the entire Level 1 .hdf file are in black and the orbit track locations corresponding to this page are color coded.
For the full scale images:
- the color bars for attenuated backscatter show the colors assigned to ranges of attenuated backscatter, /km/sr
- the horizontal axes are annotated with latitude (deg) and longitude (deg)
- the vertical axes are annotated to indicate altitude in kilometers
- the date and time of the measurements are listed as UTC time
- the names of the CALIPSO data products for the Lidar Level 1 attenuated backscatter granules are included
The scaled images on this page are organized by CALIPSO data product day and night orbit granules.
The maps with a shaded background indicate nightime measurements.
There are a maximum of 4 scaled images per granule.
The orbit tracks plotted on the maps show the measurement locations for each granule.
For each granule, the scaled images are ordered from left to right and their locations along the orbit tracks are color coded as: image one, image two, image three, image four.
Begin |
End | Number Profiles |
|---|---|---|
| 2008/07/30 00:36:28.0490 UTC | 2008/07/30 01:23:01.5014 UTC | 56325 |
|
|
|
|
|
Begin |
End | Number Profiles |
|---|---|---|
| 2008/07/30 01:23:01.5510 UTC | 2008/07/30 02:15:21.6594 UTC | 63315 |
|
|
|
|
|
Begin |
End | Number Profiles |
|---|---|---|
| 2008/07/30 02:15:21.7080 UTC | 2008/07/30 03:01:54.4164 UTC | 56310 |
|
|
|
|
|
Begin |
End | Number Profiles |
|---|---|---|
| 2008/07/30 03:01:54.4660 UTC | 2008/07/30 03:54:14.5754 UTC | 63315 |
|
|
|
|
|
Begin |
End | Number Profiles |
|---|---|---|
| 2008/07/30 03:54:14.6240 UTC | 2008/07/30 04:40:46.5874 UTC | 56295 |
|
|
|
|
|
Begin |
End | Number Profiles |
|---|---|---|
| 2008/07/30 04:40:46.6370 UTC | 2008/07/30 05:33:07.4894 UTC | 63330 |
|
|
|
|
|
Begin |
End | Number Profiles |
|---|---|---|
| 2008/07/30 05:33:07.5390 UTC | 2008/07/30 06:19:39.5024 UTC | 56295 |
|
|
|
|
|
Begin |
End | Number Profiles |
|---|---|---|
| 2008/07/30 06:19:39.5520 UTC | 2008/07/30 07:12:00.4044 UTC | 63330 |
|
|
|
|
|
Begin |
End | Number Profiles |
|---|---|---|
| 2008/07/30 07:12:00.4540 UTC | 2008/07/30 07:58:32.4174 UTC | 56295 |
|
|
|
|
|
Begin |
End | Number Profiles |
|---|---|---|
| 2008/07/30 07:58:32.4670 UTC | 2008/07/30 08:50:53.3204 UTC | 63330 |
|
|
|
|
|
Begin |
End | Number Profiles |
|---|---|---|
| 2008/07/30 08:50:53.3690 UTC | 2008/07/30 09:37:25.3354 UTC | 56295 |
|
|
|
|
|
Begin |
End | Number Profiles |
|---|---|---|
| 2008/07/30 09:37:25.3850 UTC | 2008/07/30 10:29:46.2383 UTC | 63330 |
|
|
|
|
|
Begin |
End | Number Profiles |
|---|---|---|
| 2008/07/30 10:29:46.2870 UTC | 2008/07/30 11:16:18.2523 UTC | 56295 |
|
|
|
|
|
Begin |
End | Number Profiles |
|---|---|---|
| 2008/07/30 11:16:18.3020 UTC | 2008/07/30 12:08:38.4124 UTC | 63315 |
|
|
|
|
|
Begin |
End | Number Profiles |
|---|---|---|
| 2008/07/30 12:08:38.4620 UTC | 2008/07/30 12:55:11.1724 UTC | 56310 |
|
|
|
|
|
Begin |
End | Number Profiles |
|---|---|---|
| 2008/07/30 12:55:11.2220 UTC | 2008/07/30 13:47:31.3324 UTC | 63315 |
|
|
|
|
|
Begin |
End | Number Profiles |
|---|---|---|
| 2008/07/30 13:47:31.3820 UTC | 2008/07/30 14:34:04.0924 UTC | 56310 |
|
|
|
|
|
Begin |
End | Number Profiles |
|---|---|---|
| 2008/07/30 14:34:04.1420 UTC | 2008/07/30 15:26:24.2523 UTC | 63315 |
|
|
|
|
|
Begin |
End | Number Profiles |
|---|---|---|
| 2008/07/30 15:26:24.3020 UTC | 2008/07/30 16:12:56.2674 UTC | 56295 |
|
|
|
|
|
Begin |
End | Number Profiles |
|---|---|---|
| 2008/07/30 16:12:56.3170 UTC | 2008/07/30 17:05:17.1694 UTC | 63330 |
|
|
|
|
|
Begin |
End | Number Profiles |
|---|---|---|
| 2008/07/30 17:05:17.2190 UTC | 2008/07/30 17:51:49.1814 UTC | 56295 |
|
|
|
|
|
Begin |
End | Number Profiles |
|---|---|---|
| 2008/07/30 17:51:49.2310 UTC | 2008/07/30 18:44:10.0814 UTC | 63330 |
|
|
|
|
|
Begin |
End | Number Profiles |
|---|---|---|
| 2008/07/30 18:44:10.1310 UTC | 2008/07/30 19:30:42.0913 UTC | 56295 |
|
|
|
|
|
Begin |
End | Number Profiles |
|---|---|---|
| 2008/07/30 19:30:42.1410 UTC | 2008/07/30 20:23:02.2484 UTC | 63315 |
|
|
|
|
|
Begin |
End | Number Profiles |
|---|---|---|
| 2008/07/30 20:23:02.2980 UTC | 2008/07/30 21:09:35.0023 UTC | 56310 |
|
|
|
|
|
Begin |
End | Number Profiles |
|---|---|---|
| 2008/07/30 21:09:35.0520 UTC | 2008/07/30 22:01:55.1594 UTC | 63315 |
|
|
|
|
|
Begin |
End | Number Profiles |
|---|---|---|
| 2008/07/30 22:01:55.2090 UTC | 2008/07/30 22:48:28.6614 UTC | 56325 |
|
|
|
|
|
Begin |
End | Number Profiles |
|---|---|---|
| 2008/07/30 22:48:28.7110 UTC | 2008/07/30 23:40:48.0754 UTC | 63300 |
|
|
|
|
|
Begin |
End | Number Profiles |
|---|---|---|
| 2008/07/30 23:40:48.1250 UTC | 2008/07/31 00:27:21.5804 UTC | 56325 |
|
|
|
|
|
























































































































