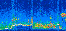
|
Displayed on this page are scaled, color-modulated, altitude-time images of CALIPSO attenuated backscatter (/km/sr) including:
- 532 nm total (parallel + perpendicular) attenuated backscatter
- 532 nm perpendicular attenuated backscatter
- 1064 nm total attenuated backscatter
The orbit track locations for the entire Level 1 .hdf file are in black and the orbit track locations corresponding to this page are color coded.
For the full scale images:
- the color bars for attenuated backscatter show the colors assigned to ranges of attenuated backscatter, /km/sr
- the horizontal axes are annotated with latitude (deg) and longitude (deg)
- the vertical axes are annotated to indicate altitude in kilometers
- the date and time of the measurements are listed as UTC time
- the names of the CALIPSO data products for the Lidar Level 1 attenuated backscatter granules are included
The scaled images on this page are organized by CALIPSO data product day and night orbit granules.
The maps with a shaded background indicate nightime measurements.
There are a maximum of 4 scaled images per granule.
The orbit tracks plotted on the maps show the measurement locations for each granule.
For each granule, the scaled images are ordered from left to right and their locations along the orbit tracks are color coded as: image one, image two, image three, image four.
Begin |
End | Number Profiles |
|---|---|---|
| 2008/09/12 00:05:17.5759 UTC | 2008/09/12 00:57:47.3974 UTC | 63510 |
|
|
|
|
|
Begin |
End | Number Profiles |
|---|---|---|
| 2008/09/12 00:57:47.4470 UTC | 2008/09/12 01:44:10.5094 UTC | 56115 |
|
|
|
|
|
Begin |
End | Number Profiles |
|---|---|---|
| 2008/09/12 01:44:10.5590 UTC | 2008/09/12 02:36:39.6374 UTC | 63495 |
|
|
|
|
|
Begin |
End | Number Profiles |
|---|---|---|
| 2008/09/12 02:36:39.6870 UTC | 2008/09/12 03:23:02.0054 UTC | 56100 |
|
|
|
|
|
Begin |
End | Number Profiles |
|---|---|---|
| 2008/09/12 03:23:02.0550 UTC | 2008/09/12 04:15:32.6214 UTC | 63525 |
|
|
|
|
|
Begin |
End | Number Profiles |
|---|---|---|
| 2008/09/12 04:15:32.6710 UTC | 2008/09/12 05:01:54.9874 UTC | 56100 |
|
|
|
|
|
Begin |
End | Number Profiles |
|---|---|---|
| 2008/09/12 05:01:55.0370 UTC | 2008/09/12 05:54:24.1154 UTC | 63495 |
|
|
|
|
|
Begin |
End | Number Profiles |
|---|---|---|
| 2008/09/12 05:54:24.1650 UTC | 2008/09/12 06:40:47.2254 UTC | 56115 |
|
|
|
|
|
Begin |
End | Number Profiles |
|---|---|---|
| 2008/09/12 06:40:47.2750 UTC | 2008/09/12 07:33:17.0964 UTC | 63510 |
|
|
|
|
|
Begin |
End | Number Profiles |
|---|---|---|
| 2008/09/12 07:33:17.1460 UTC | 2008/09/12 08:19:40.2064 UTC | 56115 |
|
|
|
|
|
Begin |
End | Number Profiles |
|---|---|---|
| 2008/09/12 08:19:40.2560 UTC | 2008/09/12 09:12:10.0773 UTC | 63510 |
|
|
|
|
|
Begin |
End | Number Profiles |
|---|---|---|
| 2008/09/12 09:12:10.1270 UTC | 2008/09/12 09:58:33.1904 UTC | 56115 |
|
|
|
|
|
Begin |
End | Number Profiles |
|---|---|---|
| 2008/09/12 09:58:33.2400 UTC | 2008/09/12 10:51:03.0623 UTC | 63510 |
|
|
|
|
|
Begin |
End | Number Profiles |
|---|---|---|
| 2008/09/12 10:51:03.1119 UTC | 2008/09/12 11:37:26.1754 UTC | 56115 |
|
|
|
|
|
Begin |
End | Number Profiles |
|---|---|---|
| 2008/09/12 11:37:26.2250 UTC | 2008/09/12 12:29:55.3064 UTC | 63495 |
|
|
|
|
|
Begin |
End | Number Profiles |
|---|---|---|
| 2008/09/12 12:29:55.3559 UTC | 2008/09/12 13:16:18.4214 UTC | 56115 |
|
|
|
|
|
Begin |
End | Number Profiles |
|---|---|---|
| 2008/09/12 13:16:18.4709 UTC | 2008/09/12 14:08:48.2984 UTC | 63510 |
|
|
|
|
|
Begin |
End | Number Profiles |
|---|---|---|
| 2008/09/12 14:08:48.3480 UTC | 2008/09/12 14:55:11.4144 UTC | 56115 |
|
|
|
|
|
Begin |
End | Number Profiles |
|---|---|---|
| 2008/09/12 14:55:11.4640 UTC | 2008/09/12 15:47:40.5454 UTC | 63495 |
|
|
|
|
|
Begin |
End | Number Profiles |
|---|---|---|
| 2008/09/12 15:47:40.5950 UTC | 2008/09/12 16:34:03.6584 UTC | 56115 |
|
|
|
|
|
Begin |
End | Number Profiles |
|---|---|---|
| 2008/09/12 16:34:03.7080 UTC | 2008/09/12 17:26:33.5314 UTC | 63510 |
|
|
|
|
|
Begin |
End | Number Profiles |
|---|---|---|
| 2008/09/12 17:26:33.5810 UTC | 2008/09/12 18:12:56.6414 UTC | 56115 |
|
|
|
|
|
Begin |
End | Number Profiles |
|---|---|---|
| 2008/09/12 18:12:56.6909 UTC | 2008/09/12 19:05:26.5134 UTC | 63510 |
|
|
|
|
|
Begin |
End | Number Profiles |
|---|---|---|
| 2008/09/12 19:05:26.5630 UTC | 2008/09/12 19:51:48.1344 UTC | 56085 |
|
|
|
|
|
Begin |
End | Number Profiles |
|---|---|---|
| 2008/09/12 19:51:48.1829 UTC | 2008/09/12 20:44:18.0063 UTC | 63510 |
|
|
|
|
|
Begin |
End | Number Profiles |
|---|---|---|
| 2008/09/12 20:44:18.0560 UTC | 2008/09/12 21:30:41.1204 UTC | 56115 |
|
|
|
|
|
Begin |
End | Number Profiles |
|---|---|---|
| 2008/09/12 21:30:41.1690 UTC | 2008/09/12 22:23:10.9924 UTC | 63510 |
|
|
|
|
|
Begin |
End | Number Profiles |
|---|---|---|
| 2008/09/12 22:23:11.0420 UTC | 2008/09/12 23:09:34.1044 UTC | 56115 |
|
|
|
|
|
Begin |
End | Number Profiles |
|---|---|---|
| 2008/09/12 23:09:34.1530 UTC | 2008/09/13 00:02:03.9774 UTC | 63510 |
|
|
|
|
|
























































































































