|
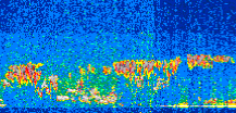
Displayed on this page are scaled, color-modulated, altitude-time images of CALIPSO attenuated backscatter (/km/sr) including:
- 532 nm total (parallel + perpendicular) attenuated backscatter
- 532 nm perpendicular attenuated backscatter
- 1064 nm total attenuated backscatter
The orbit track locations for the entire Level 1 .hdf file are in black and the orbit track locations corresponding to this page are color coded.
For the full scale images:
- the color bars for attenuated backscatter show the colors assigned to ranges of attenuated backscatter, /km/sr
- the horizontal axes are annotated with latitude (deg) and longitude (deg)
- the vertical axes are annotated to indicate altitude in kilometers
- the date and time of the measurements are listed as UTC time
- the names of the CALIPSO data products for the Lidar Level 1 attenuated backscatter granules are included
The scaled images on this page are organized by CALIPSO data product day and night orbit granules.
The maps with a shaded background indicate nightime measurements.
There are a maximum of 4 scaled images per granule.
The orbit tracks plotted on the maps show the measurement locations for each granule.
For each granule, the scaled images are ordered from left to right and their locations along the orbit tracks are color coded as: image one, image two, image three, image four.
Begin |
End | Number Profiles |
|---|---|---|
| 2009/01/17 00:08:45.7240 UTC | 2009/01/17 00:55:08.0714 UTC | 56100 |
|
|
|
|
|
Begin |
End | Number Profiles |
|---|---|---|
| 2009/01/17 00:55:08.1210 UTC | 2009/01/17 01:47:39.4674 UTC | 63540 |
|
|
|
|
|
Begin |
End | Number Profiles |
|---|---|---|
| 2009/01/17 01:47:39.5170 UTC | 2009/01/17 02:34:01.1164 UTC | 56085 |
|
|
|
|
|
Begin |
End | Number Profiles |
|---|---|---|
| 2009/01/17 02:34:01.1660 UTC | 2009/01/17 03:26:32.5124 UTC | 63540 |
|
|
|
|
|
Begin |
End | Number Profiles |
|---|---|---|
| 2009/01/17 03:26:32.5620 UTC | 2009/01/17 04:12:54.1604 UTC | 56085 |
|
|
|
|
|
Begin |
End | Number Profiles |
|---|---|---|
| 2009/01/17 04:12:54.2100 UTC | 2009/01/17 05:05:25.5564 UTC | 63540 |
|
|
|
|
|
Begin |
End | Number Profiles |
|---|---|---|
| 2009/01/17 05:05:25.6060 UTC | 2009/01/17 05:51:48.6924 UTC | 56115 |
|
|
|
|
|
Begin |
End | Number Profiles |
|---|---|---|
| 2009/01/17 05:51:48.7420 UTC | 2009/01/17 06:44:19.3444 UTC | 63525 |
|
|
|
|
|
Begin |
End | Number Profiles |
|---|---|---|
| 2009/01/17 06:44:19.3940 UTC | 2009/01/17 07:30:40.9914 UTC | 56085 |
|
|
|
|
|
Begin |
End | Number Profiles |
|---|---|---|
| 2009/01/17 07:30:41.0410 UTC | 2009/01/17 08:23:12.3854 UTC | 63540 |
|
|
|
|
|
Begin |
End | Number Profiles |
|---|---|---|
| 2009/01/17 08:23:12.4350 UTC | 2009/01/17 09:09:35.5174 UTC | 56115 |
|
|
|
|
|
Begin |
End | Number Profiles |
|---|---|---|
| 2009/01/17 09:09:35.5670 UTC | 2009/01/17 10:02:06.1674 UTC | 63525 |
|
|
|
|
|
Begin |
End | Number Profiles |
|---|---|---|
| 2009/01/17 10:02:06.2170 UTC | 2009/01/17 10:48:28.5554 UTC | 56100 |
|
|
|
|
|
Begin |
End | Number Profiles |
|---|---|---|
| 2009/01/17 10:48:28.6049 UTC | 2009/01/17 11:40:59.2053 UTC | 63525 |
|
|
|
|
|
Begin |
End | Number Profiles |
|---|---|---|
| 2009/01/17 11:40:59.2550 UTC | 2009/01/17 12:27:22.3374 UTC | 56115 |
|
|
|
|
|
Begin |
End | Number Profiles |
|---|---|---|
| 2009/01/17 12:27:22.3870 UTC | 2009/01/17 13:19:52.9893 UTC | 63525 |
|
|
|
|
|
Begin |
End | Number Profiles |
|---|---|---|
| 2009/01/17 13:19:53.0390 UTC | 2009/01/17 14:06:15.3794 UTC | 56100 |
|
|
|
|
|
Begin |
End | Number Profiles |
|---|---|---|
| 2009/01/17 14:06:15.4289 UTC | 2009/01/17 14:58:46.0314 UTC | 63525 |
|
|
|
|
|
Begin |
End | Number Profiles |
|---|---|---|
| 2009/01/17 14:58:46.0810 UTC | 2009/01/17 15:45:08.4214 UTC | 56100 |
|
|
|
|
|
Begin |
End | Number Profiles |
|---|---|---|
| 2009/01/17 15:45:08.4710 UTC | 2009/01/17 16:37:39.0734 UTC | 63525 |
|
|
|
|
|
Begin |
End | Number Profiles |
|---|---|---|
| 2009/01/17 16:37:39.1230 UTC | 2009/01/17 17:24:02.2063 UTC | 56115 |
|
|
|
|
|
Begin |
End | Number Profiles |
|---|---|---|
| 2009/01/17 17:24:02.2559 UTC | 2009/01/17 18:16:33.6004 UTC | 63540 |
|
|
|
|
|
Begin |
End | Number Profiles |
|---|---|---|
| 2009/01/17 18:16:33.6500 UTC | 2009/01/17 19:02:55.2444 UTC | 56085 |
|
|
|
|
|
Begin |
End | Number Profiles |
|---|---|---|
| 2009/01/17 19:02:55.2940 UTC | 2009/01/17 19:55:26.6384 UTC | 63540 |
|
|
|
|
|
Begin |
End | Number Profiles |
|---|---|---|
| 2009/01/17 19:55:26.6880 UTC | 2009/01/17 20:41:49.0274 UTC | 56100 |
|
|
|
|
|
Begin |
End | Number Profiles |
|---|---|---|
| 2009/01/17 20:41:49.0770 UTC | 2009/01/17 21:34:20.4224 UTC | 63540 |
|
|
|
|
|
Begin |
End | Number Profiles |
|---|---|---|
| 2009/01/17 21:34:20.4720 UTC | 2009/01/17 22:20:42.0724 UTC | 56085 |
|
|
|
|
|
Begin |
End | Number Profiles |
|---|---|---|
| 2009/01/17 22:20:42.1220 UTC | 2009/01/17 23:13:13.4684 UTC | 63540 |
|
|
|
|
|
Begin |
End | Number Profiles |
|---|---|---|
| 2009/01/17 23:13:13.5180 UTC | 2009/01/17 23:59:36.6024 UTC | 56115 |
|
|
|
|
|
Begin |
End | Number Profiles |
|---|---|---|
| 2009/01/17 23:59:36.6520 UTC | 2009/01/18 00:52:06.5104 UTC | 63510 |
|
|
|
|
|




























































































































