|
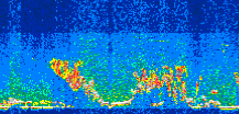
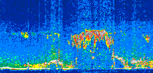
Displayed on this page are scaled, color-modulated, altitude-time images of CALIPSO attenuated backscatter (/km/sr) including:
- 532 nm total (parallel + perpendicular) attenuated backscatter
- 532 nm perpendicular attenuated backscatter
- 1064 nm total attenuated backscatter
The orbit track locations for the entire Level 1 .hdf file are in black and the orbit track locations corresponding to this page are color coded.
For the full scale images:
- the color bars for attenuated backscatter show the colors assigned to ranges of attenuated backscatter, /km/sr
- the horizontal axes are annotated with latitude (deg) and longitude (deg)
- the vertical axes are annotated to indicate altitude in kilometers
- the date and time of the measurements are listed as UTC time
- the names of the CALIPSO data products for the Lidar Level 1 attenuated backscatter granules are included
The scaled images on this page are organized by CALIPSO data product day and night orbit granules.
The maps with a shaded background indicate nightime measurements.
There are a maximum of 4 scaled images per granule.
The orbit tracks plotted on the maps show the measurement locations for each granule.
For each granule, the scaled images are ordered from left to right and their locations along the orbit tracks are color coded as: image one, image two, image three, image four.
Begin |
End | Number Profiles |
|---|---|---|
| 2009/07/11 00:25:18.0890 UTC | 2009/07/11 01:17:37.4704 UTC | 63300 |
|
|
|
|
|
Begin |
End | Number Profiles |
|---|---|---|
| 2009/07/11 01:17:37.5200 UTC | 2009/07/11 02:04:10.2444 UTC | 56310 |
|
|
|
|
|
Begin |
End | Number Profiles |
|---|---|---|
| 2009/07/11 02:04:10.2930 UTC | 2009/07/11 02:56:30.4183 UTC | 63315 |
|
|
|
|
|
Begin |
End | Number Profiles |
|---|---|---|
| 2009/07/11 02:56:30.4680 UTC | 2009/07/11 03:43:03.1934 UTC | 56310 |
|
|
|
|
|
Begin |
End | Number Profiles |
|---|---|---|
| 2009/07/11 03:43:03.2419 UTC | 2009/07/11 04:35:23.3664 UTC | 63315 |
|
|
|
|
|
Begin |
End | Number Profiles |
|---|---|---|
| 2009/07/11 04:35:23.4160 UTC | 2009/07/11 05:21:56.1393 UTC | 56310 |
|
|
|
|
|
Begin |
End | Number Profiles |
|---|---|---|
| 2009/07/11 05:21:56.1880 UTC | 2009/07/11 06:14:16.3134 UTC | 63315 |
|
|
|
|
|
Begin |
End | Number Profiles |
|---|---|---|
| 2009/07/11 06:14:16.3630 UTC | 2009/07/11 07:00:49.0874 UTC | 56310 |
|
|
|
|
|
Begin |
End | Number Profiles |
|---|---|---|
| 2009/07/11 07:00:49.1360 UTC | 2009/07/11 07:53:09.2604 UTC | 63315 |
|
|
|
|
|
Begin |
End | Number Profiles |
|---|---|---|
| 2009/07/11 07:53:09.3100 UTC | 2009/07/11 08:39:41.2904 UTC | 56295 |
|
|
|
|
|
Begin |
End | Number Profiles |
|---|---|---|
| 2009/07/11 08:39:41.3400 UTC | 2009/07/11 09:32:02.2094 UTC | 63330 |
|
|
|
|
|
Begin |
End | Number Profiles |
|---|---|---|
| 2009/07/11 09:32:02.2590 UTC | 2009/07/11 10:18:34.2374 UTC | 56295 |
|
|
|
|
|
Begin |
End | Number Profiles |
|---|---|---|
| 2009/07/11 10:18:34.2870 UTC | 2009/07/11 11:10:54.4124 UTC | 63315 |
|
|
|
|
|
Begin |
End | Number Profiles |
|---|---|---|
| 2009/07/11 11:10:54.4620 UTC | 2009/07/11 11:57:27.1853 UTC | 56310 |
|
|
|
|
|
Begin |
End | Number Profiles |
|---|---|---|
| 2009/07/11 11:57:27.2350 UTC | 2009/07/11 12:49:47.3614 UTC | 63315 |
|
|
|
|
|
Begin |
End | Number Profiles |
|---|---|---|
| 2009/07/11 12:49:47.4110 UTC | 2009/07/11 13:36:20.1364 UTC | 56310 |
|
|
|
|
|
Begin |
End | Number Profiles |
|---|---|---|
| 2009/07/11 13:36:20.1860 UTC | 2009/07/11 14:28:40.3134 UTC | 63315 |
|
|
|
|
|
Begin |
End | Number Profiles |
|---|---|---|
| 2009/07/11 14:28:40.3630 UTC | 2009/07/11 15:15:13.0884 UTC | 56310 |
|
|
|
|
|
Begin |
End | Number Profiles |
|---|---|---|
| 2009/07/11 15:15:13.1380 UTC | 2009/07/11 16:07:33.2634 UTC | 63315 |
|
|
|
|
|
Begin |
End | Number Profiles |
|---|---|---|
| 2009/07/11 16:07:33.3130 UTC | 2009/07/11 16:54:05.2894 UTC | 56295 |
|
|
|
|
|
Begin |
End | Number Profiles |
|---|---|---|
| 2009/07/11 16:54:05.3390 UTC | 2009/07/11 17:46:25.4623 UTC | 63315 |
|
|
|
|
|
Begin |
End | Number Profiles |
|---|---|---|
| 2009/07/11 17:46:25.5120 UTC | 2009/07/11 18:32:58.2314 UTC | 56310 |
|
|
|
|
|
Begin |
End | Number Profiles |
|---|---|---|
| 2009/07/11 18:32:58.2810 UTC | 2009/07/11 19:25:18.4024 UTC | 63315 |
|
|
|
|
|
Begin |
End | Number Profiles |
|---|---|---|
| 2009/07/11 19:25:18.4520 UTC | 2009/07/11 20:11:51.1704 UTC | 56310 |
|
|
|
|
|
Begin |
End | Number Profiles |
|---|---|---|
| 2009/07/11 20:11:51.2200 UTC | 2009/07/11 21:04:11.3414 UTC | 63315 |
|
|
|
|
|
Begin |
End | Number Profiles |
|---|---|---|
| 2009/07/11 21:04:11.3910 UTC | 2009/07/11 21:50:44.1124 UTC | 56310 |
|
|
|
|
|
Begin |
End | Number Profiles |
|---|---|---|
| 2009/07/11 21:50:44.1620 UTC | 2009/07/11 22:43:04.2854 UTC | 63315 |
|
|
|
|
|
Begin |
End | Number Profiles |
|---|---|---|
| 2009/07/11 22:43:04.3350 UTC | 2009/07/11 23:29:37.0574 UTC | 56310 |
|
|
|
|
|
Begin |
End | Number Profiles |
|---|---|---|
| 2009/07/11 23:29:37.1069 UTC | 2009/07/12 00:21:57.2304 UTC | 63315 |
|
|
|
|
|
























































































































