|
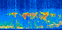
Displayed on this page are scaled, color-modulated, altitude-time images of CALIPSO attenuated backscatter (/km/sr) including:
- 532 nm total (parallel + perpendicular) attenuated backscatter
- 532 nm perpendicular attenuated backscatter
- 1064 nm total attenuated backscatter
The orbit track locations for the entire Level 1 .hdf file are in black and the orbit track locations corresponding to this page are color coded.
For the full scale images:
- the color bars for attenuated backscatter show the colors assigned to ranges of attenuated backscatter, /km/sr
- the horizontal axes are annotated with latitude (deg) and longitude (deg)
- the vertical axes are annotated to indicate altitude in kilometers
- the date and time of the measurements are listed as UTC time
- the names of the CALIPSO data products for the Lidar Level 1 attenuated backscatter granules are included
The scaled images on this page are organized by CALIPSO data product day and night orbit granules.
The maps with a shaded background indicate nightime measurements.
There are a maximum of 4 scaled images per granule.
The orbit tracks plotted on the maps show the measurement locations for each granule.
For each granule, the scaled images are ordered from left to right and their locations along the orbit tracks are color coded as: image one, image two, image three, image four.
Begin |
End | Number Profiles |
|---|---|---|
| 2010/06/27 00:31:30.1280 UTC | 2010/06/27 01:18:04.3514 UTC | 56340 |
|
|
|
|
|
Begin |
End | Number Profiles |
|---|---|---|
| 2010/06/27 01:18:04.4010 UTC | 2010/06/27 02:10:23.0524 UTC | 63285 |
|
|
|
|
|
Begin |
End | Number Profiles |
|---|---|---|
| 2010/06/27 02:10:23.1020 UTC | 2010/06/27 02:56:57.3244 UTC | 56340 |
|
|
|
|
|
Begin |
End | Number Profiles |
|---|---|---|
| 2010/06/27 02:56:57.3740 UTC | 2010/06/27 03:49:16.0254 UTC | 63285 |
|
|
|
|
|
Begin |
End | Number Profiles |
|---|---|---|
| 2010/06/27 03:49:16.0750 UTC | 2010/06/27 04:35:50.2954 UTC | 56340 |
|
|
|
|
|
Begin |
End | Number Profiles |
|---|---|---|
| 2010/06/27 04:35:50.3450 UTC | 2010/06/27 05:28:08.9954 UTC | 63285 |
|
|
|
|
|
Begin |
End | Number Profiles |
|---|---|---|
| 2010/06/27 05:28:09.0450 UTC | 2010/06/27 06:14:42.5214 UTC | 56325 |
|
|
|
|
|
Begin |
End | Number Profiles |
|---|---|---|
| 2010/06/27 06:14:42.5710 UTC | 2010/06/27 07:07:01.9654 UTC | 63300 |
|
|
|
|
|
Begin |
End | Number Profiles |
|---|---|---|
| 2010/06/27 07:07:02.0150 UTC | 2010/06/27 07:53:36.2353 UTC | 56340 |
|
|
|
|
|
Begin |
End | Number Profiles |
|---|---|---|
| 2010/06/27 07:53:36.2850 UTC | 2010/06/27 08:45:55.6784 UTC | 63300 |
|
|
|
|
|
Begin |
End | Number Profiles |
|---|---|---|
| 2010/06/27 08:45:55.7280 UTC | 2010/06/27 09:32:29.2044 UTC | 56325 |
|
|
|
|
|
Begin |
End | Number Profiles |
|---|---|---|
| 2010/06/27 09:32:29.2540 UTC | 2010/06/27 10:24:48.6484 UTC | 63300 |
|
|
|
|
|
Begin |
End | Number Profiles |
|---|---|---|
| 2010/06/27 10:24:48.6980 UTC | 2010/06/27 11:11:22.1744 UTC | 56325 |
|
|
|
|
|
Begin |
End | Number Profiles |
|---|---|---|
| 2010/06/27 11:11:22.2240 UTC | 2010/06/27 12:03:41.6203 UTC | 63300 |
|
|
|
|
|
Begin |
End | Number Profiles |
|---|---|---|
| 2010/06/27 12:03:41.6700 UTC | 2010/06/27 12:50:15.1464 UTC | 56325 |
|
|
|
|
|
Begin |
End | Number Profiles |
|---|---|---|
| 2010/06/27 12:50:15.1960 UTC | 2010/06/27 13:42:34.5924 UTC | 63300 |
|
|
|
|
|
Begin |
End | Number Profiles |
|---|---|---|
| 2010/06/27 13:42:34.6420 UTC | 2010/06/27 14:29:08.1183 UTC | 56325 |
|
|
|
|
|
Begin |
End | Number Profiles |
|---|---|---|
| 2010/06/27 14:29:08.1680 UTC | 2010/06/27 15:21:27.5644 UTC | 63300 |
|
|
|
|
|
Begin |
End | Number Profiles |
|---|---|---|
| 2010/06/27 15:21:27.6140 UTC | 2010/06/27 16:08:01.0884 UTC | 56325 |
|
|
|
|
|
Begin |
End | Number Profiles |
|---|---|---|
| 2010/06/27 16:08:01.1380 UTC | 2010/06/27 17:00:20.5314 UTC | 63300 |
|
|
|
|
|
Begin |
End | Number Profiles |
|---|---|---|
| 2010/06/27 17:00:20.5810 UTC | 2010/06/27 17:46:53.3104 UTC | 56310 |
|
|
|
|
|
Begin |
End | Number Profiles |
|---|---|---|
| 2010/06/27 17:46:53.3600 UTC | 2010/06/27 18:39:13.4953 UTC | 63315 |
|
|
|
|
|
Begin |
End | Number Profiles |
|---|---|---|
| 2010/06/27 18:39:13.5450 UTC | 2010/06/27 19:25:47.0154 UTC | 56325 |
|
|
|
|
|
Begin |
End | Number Profiles |
|---|---|---|
| 2010/06/27 19:25:47.0650 UTC | 2010/06/27 20:18:06.4554 UTC | 63300 |
|
|
|
|
|
Begin |
End | Number Profiles |
|---|---|---|
| 2010/06/27 20:18:06.5050 UTC | 2010/06/27 21:04:39.9734 UTC | 56325 |
|
|
|
|
|
Begin |
End | Number Profiles |
|---|---|---|
| 2010/06/27 21:04:40.0230 UTC | 2010/06/27 21:56:59.4124 UTC | 63300 |
|
|
|
|
|
Begin |
End | Number Profiles |
|---|---|---|
| 2010/06/27 21:56:59.4620 UTC | 2010/06/27 22:43:33.6794 UTC | 56340 |
|
|
|
|
|
Begin |
End | Number Profiles |
|---|---|---|
| 2010/06/27 22:43:33.7290 UTC | 2010/06/27 23:35:52.3774 UTC | 63285 |
|
|
|
|
|
Begin |
End | Number Profiles |
|---|---|---|
| 2010/06/27 23:35:52.4270 UTC | 2010/06/28 00:22:26.6494 UTC | 56340 |
|
|
|
|
|
























































































































