|
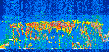
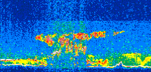
Displayed on this page are scaled, color-modulated, altitude-time images of CALIPSO attenuated backscatter (/km/sr) including:
- 532 nm total (parallel + perpendicular) attenuated backscatter
- 532 nm perpendicular attenuated backscatter
- 1064 nm total attenuated backscatter
The orbit track locations for the entire Level 1 .hdf file are in black and the orbit track locations corresponding to this page are color coded.
For the full scale images:
- the color bars for attenuated backscatter show the colors assigned to ranges of attenuated backscatter, /km/sr
- the horizontal axes are annotated with latitude (deg) and longitude (deg)
- the vertical axes are annotated to indicate altitude in kilometers
- the date and time of the measurements are listed as UTC time
- the names of the CALIPSO data products for the Lidar Level 1 attenuated backscatter granules are included
The scaled images on this page are organized by CALIPSO data product day and night orbit granules.
The maps with a shaded background indicate nightime measurements.
There are a maximum of 4 scaled images per granule.
The orbit tracks plotted on the maps show the measurement locations for each granule.
For each granule, the scaled images are ordered from left to right and their locations along the orbit tracks are color coded as: image one, image two, image three, image four.
Begin |
End | Number Profiles |
|---|---|---|
| 2010/06/28 00:22:26.6989 UTC | 2010/06/28 01:14:45.3504 UTC | 63285 |
|
|
|
|
|
Begin |
End | Number Profiles |
|---|---|---|
| 2010/06/28 01:14:45.4000 UTC | 2010/06/28 02:01:19.6234 UTC | 56340 |
|
|
|
|
|
Begin |
End | Number Profiles |
|---|---|---|
| 2010/06/28 02:01:19.6730 UTC | 2010/06/28 02:53:38.3234 UTC | 63285 |
|
|
|
|
|
Begin |
End | Number Profiles |
|---|---|---|
| 2010/06/28 02:53:38.3730 UTC | 2010/06/28 03:40:12.5944 UTC | 56340 |
|
|
|
|
|
Begin |
End | Number Profiles |
|---|---|---|
| 2010/06/28 03:40:12.6440 UTC | 2010/06/28 04:32:31.2944 UTC | 63285 |
|
|
|
|
|
Begin |
End | Number Profiles |
|---|---|---|
| 2010/06/28 04:32:31.3440 UTC | 2010/06/28 05:19:05.5634 UTC | 56340 |
|
|
|
|
|
Begin |
End | Number Profiles |
|---|---|---|
| 2010/06/28 05:19:05.6130 UTC | 2010/06/28 06:11:24.2634 UTC | 63285 |
|
|
|
|
|
Begin |
End | Number Profiles |
|---|---|---|
| 2010/06/28 06:11:24.3130 UTC | 2010/06/28 06:57:58.5324 UTC | 56340 |
|
|
|
|
|
Begin |
End | Number Profiles |
|---|---|---|
| 2010/06/28 06:57:58.5820 UTC | 2010/06/28 07:50:17.2304 UTC | 63285 |
|
|
|
|
|
Begin |
End | Number Profiles |
|---|---|---|
| 2010/06/28 07:50:17.2800 UTC | 2010/06/28 08:36:51.4994 UTC | 56340 |
|
|
|
|
|
Begin |
End | Number Profiles |
|---|---|---|
| 2010/06/28 08:36:51.5490 UTC | 2010/06/28 09:29:10.1964 UTC | 63285 |
|
|
|
|
|
Begin |
End | Number Profiles |
|---|---|---|
| 2010/06/28 09:29:10.2460 UTC | 2010/06/28 10:15:44.4644 UTC | 56340 |
|
|
|
|
|
Begin |
End | Number Profiles |
|---|---|---|
| 2010/06/28 10:15:44.5139 UTC | 2010/06/28 11:08:03.1644 UTC | 63285 |
|
|
|
|
|
Begin |
End | Number Profiles |
|---|---|---|
| 2010/06/28 11:08:03.2140 UTC | 2010/06/28 11:54:37.4333 UTC | 56340 |
|
|
|
|
|
Begin |
End | Number Profiles |
|---|---|---|
| 2010/06/28 11:54:37.4830 UTC | 2010/06/28 12:46:56.1344 UTC | 63285 |
|
|
|
|
|
Begin |
End | Number Profiles |
|---|---|---|
| 2010/06/28 12:46:56.1839 UTC | 2010/06/28 13:33:30.4044 UTC | 56340 |
|
|
|
|
|
Begin |
End | Number Profiles |
|---|---|---|
| 2010/06/28 13:33:30.4540 UTC | 2010/06/28 14:25:49.1064 UTC | 63285 |
|
|
|
|
|
Begin |
End | Number Profiles |
|---|---|---|
| 2010/06/28 14:25:49.1560 UTC | 2010/06/28 15:12:23.3774 UTC | 19545 |
|
|
|
|
|
Begin |
End | Number Profiles |
|---|---|---|
| 2010/06/28 15:12:23.4270 UTC | 2010/06/28 16:04:42.0773 UTC | 63285 |
|
|
|
|
|
Begin |
End | Number Profiles |
|---|---|---|
| 2010/06/28 16:04:42.1270 UTC | 2010/06/28 16:51:16.3454 UTC | 56340 |
|
|
|
|
|
Begin |
End | Number Profiles |
|---|---|---|
| 2010/06/28 16:51:16.3950 UTC | 2010/06/28 17:43:35.0433 UTC | 63285 |
|
|
|
|
|
Begin |
End | Number Profiles |
|---|---|---|
| 2010/06/28 17:43:35.0930 UTC | 2010/06/28 18:30:09.3084 UTC | 56340 |
|
|
|
|
|
Begin |
End | Number Profiles |
|---|---|---|
| 2010/06/28 18:30:09.3580 UTC | 2010/06/28 19:22:28.0054 UTC | 63285 |
|
|
|
|
|
Begin |
End | Number Profiles |
|---|---|---|
| 2010/06/28 19:22:28.0550 UTC | 2010/06/28 20:09:02.2684 UTC | 56340 |
|
|
|
|
|
Begin |
End | Number Profiles |
|---|---|---|
| 2010/06/28 20:09:02.3179 UTC | 2010/06/28 21:01:21.7074 UTC | 63300 |
|
|
|
|
|
Begin |
End | Number Profiles |
|---|---|---|
| 2010/06/28 21:01:21.7570 UTC | 2010/06/28 21:47:55.2304 UTC | 56325 |
|
|
|
|
|
Begin |
End | Number Profiles |
|---|---|---|
| 2010/06/28 21:47:55.2800 UTC | 2010/06/28 22:40:14.6713 UTC | 63300 |
|
|
|
|
|
Begin |
End | Number Profiles |
|---|---|---|
| 2010/06/28 22:40:14.7210 UTC | 2010/06/28 23:26:48.1944 UTC | 56325 |
|
|
|
|
|
Begin |
End | Number Profiles |
|---|---|---|
| 2010/06/28 23:26:48.2440 UTC | 2010/06/29 00:19:07.6364 UTC | 63300 |
|
|
|
|
|
























































































































