|
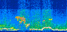
Displayed on this page are scaled, color-modulated, altitude-time images of CALIPSO attenuated backscatter (/km/sr) including:
- 532 nm total (parallel + perpendicular) attenuated backscatter
- 532 nm perpendicular attenuated backscatter
- 1064 nm total attenuated backscatter
The orbit track locations for the entire Level 1 .hdf file are in black and the orbit track locations corresponding to this page are color coded.
For the full scale images:
- the color bars for attenuated backscatter show the colors assigned to ranges of attenuated backscatter, /km/sr
- the horizontal axes are annotated with latitude (deg) and longitude (deg)
- the vertical axes are annotated to indicate altitude in kilometers
- the date and time of the measurements are listed as UTC time
- the names of the CALIPSO data products for the Lidar Level 1 attenuated backscatter granules are included
The scaled images on this page are organized by CALIPSO data product day and night orbit granules.
The maps with a shaded background indicate nightime measurements.
There are a maximum of 4 scaled images per granule.
The orbit tracks plotted on the maps show the measurement locations for each granule.
For each granule, the scaled images are ordered from left to right and their locations along the orbit tracks are color coded as: image one, image two, image three, image four.
Begin |
End | Number Profiles |
|---|---|---|
| 2010/07/07 00:16:04.4400 UTC | 2010/07/07 01:08:23.0873 UTC | 63285 |
|
|
|
|
|
Begin |
End | Number Profiles |
|---|---|---|
| 2010/07/07 01:08:23.1370 UTC | 2010/07/07 01:54:57.3584 UTC | 56340 |
|
|
|
|
|
Begin |
End | Number Profiles |
|---|---|---|
| 2010/07/07 01:54:57.4080 UTC | 2010/07/07 02:47:16.0564 UTC | 63285 |
|
|
|
|
|
Begin |
End | Number Profiles |
|---|---|---|
| 2010/07/07 02:47:16.1060 UTC | 2010/07/07 03:33:50.3263 UTC | 56340 |
|
|
|
|
|
Begin |
End | Number Profiles |
|---|---|---|
| 2010/07/07 03:33:50.3760 UTC | 2010/07/07 04:26:09.0234 UTC | 63285 |
|
|
|
|
|
Begin |
End | Number Profiles |
|---|---|---|
| 2010/07/07 04:26:09.0730 UTC | 2010/07/07 05:12:42.5474 UTC | 56325 |
|
|
|
|
|
Begin |
End | Number Profiles |
|---|---|---|
| 2010/07/07 05:12:42.5970 UTC | 2010/07/07 06:05:01.9884 UTC | 63300 |
|
|
|
|
|
Begin |
End | Number Profiles |
|---|---|---|
| 2010/07/07 06:05:02.0380 UTC | 2010/07/07 06:51:35.5114 UTC | 56325 |
|
|
|
|
|
Begin |
End | Number Profiles |
|---|---|---|
| 2010/07/07 06:51:35.5609 UTC | 2010/07/07 07:43:55.6954 UTC | 63315 |
|
|
|
|
|
Begin |
End | Number Profiles |
|---|---|---|
| 2010/07/07 07:43:55.7450 UTC | 2010/07/07 08:30:28.4754 UTC | 56310 |
|
|
|
|
|
Begin |
End | Number Profiles |
|---|---|---|
| 2010/07/07 08:30:28.5250 UTC | 2010/07/07 09:22:48.6594 UTC | 63315 |
|
|
|
|
|
Begin |
End | Number Profiles |
|---|---|---|
| 2010/07/07 09:22:48.7090 UTC | 2010/07/07 10:09:21.4404 UTC | 56310 |
|
|
|
|
|
Begin |
End | Number Profiles |
|---|---|---|
| 2010/07/07 10:09:21.4900 UTC | 2010/07/07 11:01:41.6264 UTC | 63315 |
|
|
|
|
|
Begin |
End | Number Profiles |
|---|---|---|
| 2010/07/07 11:01:41.6760 UTC | 2010/07/07 11:48:14.4074 UTC | 56310 |
|
|
|
|
|
Begin |
End | Number Profiles |
|---|---|---|
| 2010/07/07 11:48:14.4570 UTC | 2010/07/07 12:40:34.5954 UTC | 63315 |
|
|
|
|
|
Begin |
End | Number Profiles |
|---|---|---|
| 2010/07/07 12:40:34.6449 UTC | 2010/07/07 13:27:07.3764 UTC | 56310 |
|
|
|
|
|
Begin |
End | Number Profiles |
|---|---|---|
| 2010/07/07 13:27:07.4260 UTC | 2010/07/07 14:19:26.0754 UTC | 63285 |
|
|
|
|
|
Begin |
End | Number Profiles |
|---|---|---|
| 2010/07/07 14:19:26.1250 UTC | 2010/07/07 15:06:00.3444 UTC | 56340 |
|
|
|
|
|
Begin |
End | Number Profiles |
|---|---|---|
| 2010/07/07 15:06:00.3940 UTC | 2010/07/07 15:58:19.0424 UTC | 63285 |
|
|
|
|
|
Begin |
End | Number Profiles |
|---|---|---|
| 2010/07/07 15:58:19.0910 UTC | 2010/07/07 16:44:53.3073 UTC | 56340 |
|
|
|
|
|
Begin |
End | Number Profiles |
|---|---|---|
| 2010/07/07 16:44:53.3570 UTC | 2010/07/07 17:37:12.0034 UTC | 63285 |
|
|
|
|
|
Begin |
End | Number Profiles |
|---|---|---|
| 2010/07/07 17:37:12.0520 UTC | 2010/07/07 18:23:46.2664 UTC | 56340 |
|
|
|
|
|
Begin |
End | Number Profiles |
|---|---|---|
| 2010/07/07 18:23:46.3160 UTC | 2010/07/07 19:16:05.7024 UTC | 63300 |
|
|
|
|
|
Begin |
End | Number Profiles |
|---|---|---|
| 2010/07/07 19:16:05.7520 UTC | 2010/07/07 20:02:39.2204 UTC | 56325 |
|
|
|
|
|
Begin |
End | Number Profiles |
|---|---|---|
| 2010/07/07 20:02:39.2700 UTC | 2010/07/07 20:54:58.6584 UTC | 63300 |
|
|
|
|
|
Begin |
End | Number Profiles |
|---|---|---|
| 2010/07/07 20:54:58.7080 UTC | 2010/07/07 21:41:32.1804 UTC | 56325 |
|
|
|
|
|
Begin |
End | Number Profiles |
|---|---|---|
| 2010/07/07 21:41:32.2299 UTC | 2010/07/07 22:33:51.6194 UTC | 63300 |
|
|
|
|
|
Begin |
End | Number Profiles |
|---|---|---|
| 2010/07/07 22:33:51.6690 UTC | 2010/07/07 23:20:25.1414 UTC | 56325 |
|
|
|
|
|
Begin |
End | Number Profiles |
|---|---|---|
| 2010/07/07 23:20:25.1910 UTC | 2010/07/08 00:12:44.5814 UTC | 63300 |
|
|
|
|
|
























































































































