|
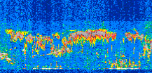
Displayed on this page are scaled, color-modulated, altitude-time images of CALIPSO attenuated backscatter (/km/sr) including:
- 532 nm total (parallel + perpendicular) attenuated backscatter
- 532 nm perpendicular attenuated backscatter
- 1064 nm total attenuated backscatter
The orbit track locations for the entire Level 1 .hdf file are in black and the orbit track locations corresponding to this page are color coded.
For the full scale images:
- the color bars for attenuated backscatter show the colors assigned to ranges of attenuated backscatter, /km/sr
- the horizontal axes are annotated with latitude (deg) and longitude (deg)
- the vertical axes are annotated to indicate altitude in kilometers
- the date and time of the measurements are listed as UTC time
- the names of the CALIPSO data products for the Lidar Level 1 attenuated backscatter granules are included
The scaled images on this page are organized by CALIPSO data product day and night orbit granules.
The maps with a shaded background indicate nightime measurements.
There are a maximum of 4 scaled images per granule.
The orbit tracks plotted on the maps show the measurement locations for each granule.
For each granule, the scaled images are ordered from left to right and their locations along the orbit tracks are color coded as: image one, image two, image three, image four.
Begin |
End | Number Profiles |
|---|---|---|
| 2010/07/19 00:40:17.1050 UTC | 2010/07/19 01:32:37.2434 UTC | 63315 |
|
|
|
|
|
Begin |
End | Number Profiles |
|---|---|---|
| 2010/07/19 01:32:37.2930 UTC | 2010/07/19 02:19:10.0284 UTC | 56310 |
|
|
|
|
|
Begin |
End | Number Profiles |
|---|---|---|
| 2010/07/19 02:19:10.0780 UTC | 2010/07/19 03:11:30.2154 UTC | 63315 |
|
|
|
|
|
Begin |
End | Number Profiles |
|---|---|---|
| 2010/07/19 03:11:30.2650 UTC | 2010/07/19 03:58:02.9984 UTC | 56310 |
|
|
|
|
|
Begin |
End | Number Profiles |
|---|---|---|
| 2010/07/19 03:58:03.0479 UTC | 2010/07/19 04:50:22.4414 UTC | 63300 |
|
|
|
|
|
Begin |
End | Number Profiles |
|---|---|---|
| 2010/07/19 04:50:22.4910 UTC | 2010/07/19 05:36:55.9664 UTC | 56325 |
|
|
|
|
|
Begin |
End | Number Profiles |
|---|---|---|
| 2010/07/19 05:36:56.0160 UTC | 2010/07/19 06:29:15.4074 UTC | 63300 |
|
|
|
|
|
Begin |
End | Number Profiles |
|---|---|---|
| 2010/07/19 06:29:15.4570 UTC | 2010/07/19 07:15:49.6754 UTC | 56340 |
|
|
|
|
|
Begin |
End | Number Profiles |
|---|---|---|
| 2010/07/19 07:15:49.7250 UTC | 2010/07/19 08:08:08.3744 UTC | 63285 |
|
|
|
|
|
Begin |
End | Number Profiles |
|---|---|---|
| 2010/07/19 08:08:08.4240 UTC | 2010/07/19 08:54:42.6444 UTC | 56340 |
|
|
|
|
|
Begin |
End | Number Profiles |
|---|---|---|
| 2010/07/19 08:54:42.6940 UTC | 2010/07/19 09:47:01.3443 UTC | 63285 |
|
|
|
|
|
Begin |
End | Number Profiles |
|---|---|---|
| 2010/07/19 09:47:01.3940 UTC | 2010/07/19 10:33:34.1264 UTC | 56310 |
|
|
|
|
|
Begin |
End | Number Profiles |
|---|---|---|
| 2010/07/19 10:33:34.1760 UTC | 2010/07/19 11:25:54.3144 UTC | 63315 |
|
|
|
|
|
Begin |
End | Number Profiles |
|---|---|---|
| 2010/07/19 11:25:54.3640 UTC | 2010/07/19 12:12:27.0983 UTC | 56310 |
|
|
|
|
|
Begin |
End | Number Profiles |
|---|---|---|
| 2010/07/19 12:12:27.1480 UTC | 2010/07/19 13:04:47.2884 UTC | 63315 |
|
|
|
|
|
Begin |
End | Number Profiles |
|---|---|---|
| 2010/07/19 13:04:47.3380 UTC | 2010/07/19 13:51:20.0744 UTC | 56310 |
|
|
|
|
|
Begin |
End | Number Profiles |
|---|---|---|
| 2010/07/19 13:51:20.1240 UTC | 2010/07/19 14:43:40.2634 UTC | 63315 |
|
|
|
|
|
Begin |
End | Number Profiles |
|---|---|---|
| 2010/07/19 14:43:40.3130 UTC | 2010/07/19 15:30:13.0474 UTC | 56310 |
|
|
|
|
|
Begin |
End | Number Profiles |
|---|---|---|
| 2010/07/19 15:30:13.0970 UTC | 2010/07/19 16:22:32.4914 UTC | 63300 |
|
|
|
|
|
Begin |
End | Number Profiles |
|---|---|---|
| 2010/07/19 16:22:32.5410 UTC | 2010/07/19 17:09:06.0153 UTC | 56325 |
|
|
|
|
|
Begin |
End | Number Profiles |
|---|---|---|
| 2010/07/19 17:09:06.0649 UTC | 2010/07/19 18:01:25.4574 UTC | 63300 |
|
|
|
|
|
Begin |
End | Number Profiles |
|---|---|---|
| 2010/07/19 18:01:25.5069 UTC | 2010/07/19 18:47:58.2364 UTC | 56310 |
|
|
|
|
|
Begin |
End | Number Profiles |
|---|---|---|
| 2010/07/19 18:47:58.2860 UTC | 2010/07/19 19:40:18.4224 UTC | 63315 |
|
|
|
|
|
Begin |
End | Number Profiles |
|---|---|---|
| 2010/07/19 19:40:18.4720 UTC | 2010/07/19 20:26:51.2004 UTC | 56310 |
|
|
|
|
|
Begin |
End | Number Profiles |
|---|---|---|
| 2010/07/19 20:26:51.2500 UTC | 2010/07/19 21:19:11.3854 UTC | 63315 |
|
|
|
|
|
Begin |
End | Number Profiles |
|---|---|---|
| 2010/07/19 21:19:11.4350 UTC | 2010/07/19 22:05:44.1684 UTC | 56310 |
|
|
|
|
|
Begin |
End | Number Profiles |
|---|---|---|
| 2010/07/19 22:05:44.2180 UTC | 2010/07/19 22:58:04.3544 UTC | 63315 |
|
|
|
|
|
Begin |
End | Number Profiles |
|---|---|---|
| 2010/07/19 22:58:04.4040 UTC | 2010/07/19 23:44:37.1364 UTC | 56310 |
|
|
|
|
|
Begin |
End | Number Profiles |
|---|---|---|
| 2010/07/19 23:44:37.1860 UTC | 2010/07/20 00:36:57.3243 UTC | 63315 |
|
|
|
|
|
























































































































