|
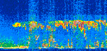
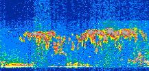
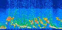
Displayed on this page are scaled, color-modulated, altitude-time images of CALIPSO attenuated backscatter (/km/sr) including:
- 532 nm total (parallel + perpendicular) attenuated backscatter
- 532 nm perpendicular attenuated backscatter
- 1064 nm total attenuated backscatter
The orbit track locations for the entire Level 1 .hdf file are in black and the orbit track locations corresponding to this page are color coded.
For the full scale images:
- the color bars for attenuated backscatter show the colors assigned to ranges of attenuated backscatter, /km/sr
- the horizontal axes are annotated with latitude (deg) and longitude (deg)
- the vertical axes are annotated to indicate altitude in kilometers
- the date and time of the measurements are listed as UTC time
- the names of the CALIPSO data products for the Lidar Level 1 attenuated backscatter granules are included
The scaled images on this page are organized by CALIPSO data product day and night orbit granules.
The maps with a shaded background indicate nightime measurements.
There are a maximum of 4 scaled images per granule.
The orbit tracks plotted on the maps show the measurement locations for each granule.
For each granule, the scaled images are ordered from left to right and their locations along the orbit tracks are color coded as: image one, image two, image three, image four.
Begin |
End | Number Profiles |
|---|---|---|
| 2010/07/26 00:46:04.6190 UTC | 2010/07/26 01:38:24.0164 UTC | 63300 |
|
|
|
|
|
Begin |
End | Number Profiles |
|---|---|---|
| 2010/07/26 01:38:24.0660 UTC | 2010/07/26 02:24:56.0554 UTC | 56295 |
|
|
|
|
|
Begin |
End | Number Profiles |
|---|---|---|
| 2010/07/26 02:24:56.1049 UTC | 2010/07/26 03:17:16.2464 UTC | 63315 |
|
|
|
|
|
Begin |
End | Number Profiles |
|---|---|---|
| 2010/07/26 03:17:16.2960 UTC | 2010/07/26 04:03:49.0294 UTC | 56310 |
|
|
|
|
|
Begin |
End | Number Profiles |
|---|---|---|
| 2010/07/26 04:03:49.0790 UTC | 2010/07/26 04:56:09.2204 UTC | 63315 |
|
|
|
|
|
Begin |
End | Number Profiles |
|---|---|---|
| 2010/07/26 04:56:09.2700 UTC | 2010/07/26 05:42:42.0024 UTC | 56310 |
|
|
|
|
|
Begin |
End | Number Profiles |
|---|---|---|
| 2010/07/26 05:42:42.0520 UTC | 2010/07/26 06:35:02.1934 UTC | 63315 |
|
|
|
|
|
Begin |
End | Number Profiles |
|---|---|---|
| 2010/07/26 06:35:02.2430 UTC | 2010/07/26 07:21:34.9753 UTC | 56310 |
|
|
|
|
|
Begin |
End | Number Profiles |
|---|---|---|
| 2010/07/26 07:21:35.0250 UTC | 2010/07/26 08:13:55.1654 UTC | 63315 |
|
|
|
|
|
Begin |
End | Number Profiles |
|---|---|---|
| 2010/07/26 08:13:55.2150 UTC | 2010/07/26 09:00:28.6924 UTC | 56325 |
|
|
|
|
|
Begin |
End | Number Profiles |
|---|---|---|
| 2010/07/26 09:00:28.7420 UTC | 2010/07/26 09:52:48.1404 UTC | 63300 |
|
|
|
|
|
Begin |
End | Number Profiles |
|---|---|---|
| 2010/07/26 09:52:48.1900 UTC | 2010/07/26 10:39:20.1794 UTC | 56295 |
|
|
|
|
|
Begin |
End | Number Profiles |
|---|---|---|
| 2010/07/26 10:39:20.2290 UTC | 2010/07/26 11:31:40.3714 UTC | 63315 |
|
|
|
|
|
Begin |
End | Number Profiles |
|---|---|---|
| 2010/07/26 11:31:40.4209 UTC | 2010/07/26 12:18:13.1564 UTC | 56310 |
|
|
|
|
|
Begin |
End | Number Profiles |
|---|---|---|
| 2010/07/26 12:18:13.2060 UTC | 2010/07/26 13:10:33.3504 UTC | 63315 |
|
|
|
|
|
Begin |
End | Number Profiles |
|---|---|---|
| 2010/07/26 13:10:33.4000 UTC | 2010/07/26 13:57:06.1364 UTC | 56310 |
|
|
|
|
|
Begin |
End | Number Profiles |
|---|---|---|
| 2010/07/26 13:57:06.1859 UTC | 2010/07/26 14:49:26.3304 UTC | 63315 |
|
|
|
|
|
Begin |
End | Number Profiles |
|---|---|---|
| 2010/07/26 14:49:26.3800 UTC | 2010/07/26 15:35:59.1163 UTC | 56310 |
|
|
|
|
|
Begin |
End | Number Profiles |
|---|---|---|
| 2010/07/26 15:35:59.1660 UTC | 2010/07/26 16:28:19.3084 UTC | 63315 |
|
|
|
|
|
Begin |
End | Number Profiles |
|---|---|---|
| 2010/07/26 16:28:19.3580 UTC | 2010/07/26 17:14:51.3464 UTC | 56295 |
|
|
|
|
|
Begin |
End | Number Profiles |
|---|---|---|
| 2010/07/26 17:14:51.3959 UTC | 2010/07/26 18:07:11.5374 UTC | 63315 |
|
|
|
|
|
Begin |
End | Number Profiles |
|---|---|---|
| 2010/07/26 18:07:11.5860 UTC | 2010/07/26 18:53:44.3153 UTC | 56310 |
|
|
|
|
|
Begin |
End | Number Profiles |
|---|---|---|
| 2010/07/26 18:53:44.3650 UTC | 2010/07/26 19:46:04.5054 UTC | 63315 |
|
|
|
|
|
Begin |
End | Number Profiles |
|---|---|---|
| 2010/07/26 19:46:04.5540 UTC | 2010/07/26 20:32:37.2813 UTC | 56310 |
|
|
|
|
|
Begin |
End | Number Profiles |
|---|---|---|
| 2010/07/26 20:32:37.3310 UTC | 2010/07/26 21:24:57.4704 UTC | 63315 |
|
|
|
|
|
Begin |
End | Number Profiles |
|---|---|---|
| 2010/07/26 21:24:57.5200 UTC | 2010/07/26 22:11:30.2524 UTC | 56310 |
|
|
|
|
|
Begin |
End | Number Profiles |
|---|---|---|
| 2010/07/26 22:11:30.3019 UTC | 2010/07/26 23:03:50.4424 UTC | 63315 |
|
|
|
|
|
Begin |
End | Number Profiles |
|---|---|---|
| 2010/07/26 23:03:50.4920 UTC | 2010/07/26 23:50:23.2244 UTC | 56310 |
|
|
|
|
|
Begin |
End | Number Profiles |
|---|---|---|
| 2010/07/26 23:50:23.2740 UTC | 2010/07/27 00:42:43.4174 UTC | 63315 |
|
|
|
|
|
























































































































