|
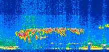
Displayed on this page are scaled, color-modulated, altitude-time images of CALIPSO attenuated backscatter (/km/sr) including:
- 532 nm total (parallel + perpendicular) attenuated backscatter
- 532 nm perpendicular attenuated backscatter
- 1064 nm total attenuated backscatter
The orbit track locations for the entire Level 1 .hdf file are in black and the orbit track locations corresponding to this page are color coded.
For the full scale images:
- the color bars for attenuated backscatter show the colors assigned to ranges of attenuated backscatter, /km/sr
- the horizontal axes are annotated with latitude (deg) and longitude (deg)
- the vertical axes are annotated to indicate altitude in kilometers
- the date and time of the measurements are listed as UTC time
- the names of the CALIPSO data products for the Lidar Level 1 attenuated backscatter granules are included
The scaled images on this page are organized by CALIPSO data product day and night orbit granules.
The maps with a shaded background indicate nightime measurements.
There are a maximum of 4 scaled images per granule.
The orbit tracks plotted on the maps show the measurement locations for each granule.
For each granule, the scaled images are ordered from left to right and their locations along the orbit tracks are color coded as: image one, image two, image three, image four.
Begin |
End | Number Profiles |
|---|---|---|
| 2010/10/26 00:14:29.0580 UTC | 2010/10/26 01:00:42.4724 UTC | 55920 |
|
|
|
|
|
Begin |
End | Number Profiles |
|---|---|---|
| 2010/10/26 01:00:42.5220 UTC | 2010/10/26 01:53:21.3633 UTC | 63690 |
|
|
|
|
|
Begin |
End | Number Profiles |
|---|---|---|
| 2010/10/26 01:53:21.4129 UTC | 2010/10/26 02:39:35.5704 UTC | 55935 |
|
|
|
|
|
Begin |
End | Number Profiles |
|---|---|---|
| 2010/10/26 02:39:35.6200 UTC | 2010/10/26 03:32:14.4614 UTC | 63690 |
|
|
|
|
|
Begin |
End | Number Profiles |
|---|---|---|
| 2010/10/26 03:32:14.5110 UTC | 2010/10/26 04:18:27.1784 UTC | 55905 |
|
|
|
|
|
Begin |
End | Number Profiles |
|---|---|---|
| 2010/10/26 04:18:27.2279 UTC | 2010/10/26 05:11:06.0694 UTC | 63690 |
|
|
|
|
|
Begin |
End | Number Profiles |
|---|---|---|
| 2010/10/26 05:11:06.1190 UTC | 2010/10/26 05:57:19.5284 UTC | 55920 |
|
|
|
|
|
Begin |
End | Number Profiles |
|---|---|---|
| 2010/10/26 05:57:19.5780 UTC | 2010/10/26 06:49:59.1624 UTC | 63705 |
|
|
|
|
|
Begin |
End | Number Profiles |
|---|---|---|
| 2010/10/26 06:49:59.2120 UTC | 2010/10/26 07:36:12.6234 UTC | 55920 |
|
|
|
|
|
Begin |
End | Number Profiles |
|---|---|---|
| 2010/10/26 07:36:12.6730 UTC | 2010/10/26 08:28:52.2564 UTC | 63705 |
|
|
|
|
|
Begin |
End | Number Profiles |
|---|---|---|
| 2010/10/26 08:28:52.3060 UTC | 2010/10/26 09:15:04.9724 UTC | 55905 |
|
|
|
|
|
Begin |
End | Number Profiles |
|---|---|---|
| 2010/10/26 09:15:05.0220 UTC | 2010/10/26 10:07:44.6074 UTC | 63705 |
|
|
|
|
|
Begin |
End | Number Profiles |
|---|---|---|
| 2010/10/26 10:07:44.6570 UTC | 2010/10/26 10:53:57.3244 UTC | 55905 |
|
|
|
|
|
Begin |
End | Number Profiles |
|---|---|---|
| 2010/10/26 10:53:57.3730 UTC | 2010/10/26 11:46:37.7034 UTC | 63720 |
|
|
|
|
|
Begin |
End | Number Profiles |
|---|---|---|
| 2010/10/26 11:46:37.7530 UTC | 2010/10/26 12:32:50.4214 UTC | 55905 |
|
|
|
|
|
Begin |
End | Number Profiles |
|---|---|---|
| 2010/10/26 12:32:50.4710 UTC | 2010/10/26 13:25:30.0583 UTC | 63705 |
|
|
|
|
|
Begin |
End | Number Profiles |
|---|---|---|
| 2010/10/26 13:25:30.1080 UTC | 2010/10/26 14:11:42.0334 UTC | 55890 |
|
|
|
|
|
Begin |
End | Number Profiles |
|---|---|---|
| 2010/10/26 14:11:42.0830 UTC | 2010/10/26 15:04:22.4134 UTC | 63720 |
|
|
|
|
|
Begin |
End | Number Profiles |
|---|---|---|
| 2010/10/26 15:04:22.4630 UTC | 2010/10/26 15:50:35.1314 UTC | 55905 |
|
|
|
|
|
Begin |
End | Number Profiles |
|---|---|---|
| 2010/10/26 15:50:35.1810 UTC | 2010/10/26 16:43:15.5124 UTC | 63720 |
|
|
|
|
|
Begin |
End | Number Profiles |
|---|---|---|
| 2010/10/26 16:43:15.5610 UTC | 2010/10/26 17:29:27.4833 UTC | 55890 |
|
|
|
|
|
Begin |
End | Number Profiles |
|---|---|---|
| 2010/10/26 17:29:27.5329 UTC | 2010/10/26 18:22:07.1174 UTC | 63705 |
|
|
|
|
|
Begin |
End | Number Profiles |
|---|---|---|
| 2010/10/26 18:22:07.1670 UTC | 2010/10/26 19:08:20.5754 UTC | 55920 |
|
|
|
|
|
Begin |
End | Number Profiles |
|---|---|---|
| 2010/10/26 19:08:20.6249 UTC | 2010/10/26 20:01:00.2064 UTC | 63705 |
|
|
|
|
|
Begin |
End | Number Profiles |
|---|---|---|
| 2010/10/26 20:01:00.2559 UTC | 2010/10/26 20:47:13.6644 UTC | 55920 |
|
|
|
|
|
Begin |
End | Number Profiles |
|---|---|---|
| 2010/10/26 20:47:13.7140 UTC | 2010/10/26 21:39:52.5524 UTC | 63690 |
|
|
|
|
|
Begin |
End | Number Profiles |
|---|---|---|
| 2010/10/26 21:39:52.6020 UTC | 2010/10/26 22:26:05.2654 UTC | 55905 |
|
|
|
|
|
Begin |
End | Number Profiles |
|---|---|---|
| 2010/10/26 22:26:05.3150 UTC | 2010/10/26 23:18:45.6424 UTC | 63105 |
|
|
|
|
|
Begin |
End | Number Profiles |
|---|---|---|
| 2010/10/26 23:18:45.6920 UTC | 2010/10/27 00:04:58.3544 UTC | 55890 |
|
|
|
|
|
























































































































