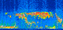
|
Displayed on this page are scaled, color-modulated, altitude-time images of CALIPSO attenuated backscatter (/km/sr) including:
- 532 nm total (parallel + perpendicular) attenuated backscatter
- 532 nm perpendicular attenuated backscatter
- 1064 nm total attenuated backscatter
The orbit track locations for the entire Level 1 .hdf file are in black and the orbit track locations corresponding to this page are color coded.
For the full scale images:
- the color bars for attenuated backscatter show the colors assigned to ranges of attenuated backscatter, /km/sr
- the horizontal axes are annotated with latitude (deg) and longitude (deg)
- the vertical axes are annotated to indicate altitude in kilometers
- the date and time of the measurements are listed as UTC time
- the names of the CALIPSO data products for the Lidar Level 1 attenuated backscatter granules are included
The scaled images on this page are organized by CALIPSO data product day and night orbit granules.
The maps with a shaded background indicate nightime measurements.
There are a maximum of 4 scaled images per granule.
The orbit tracks plotted on the maps show the measurement locations for each granule.
For each granule, the scaled images are ordered from left to right and their locations along the orbit tracks are color coded as: image one, image two, image three, image four.
Begin |
End | Number Profiles |
|---|---|---|
| 2011/04/30 00:06:43.5649 UTC | 2011/04/30 00:59:08.2104 UTC | 63405 |
|
|
|
|
|
Begin |
End | Number Profiles |
|---|---|---|
| 2011/04/30 00:59:08.2600 UTC | 2011/04/30 01:45:36.5534 UTC | 56220 |
|
|
|
|
|
Begin |
End | Number Profiles |
|---|---|---|
| 2011/04/30 01:45:36.6030 UTC | 2011/04/30 02:38:01.2494 UTC | 63405 |
|
|
|
|
|
Begin |
End | Number Profiles |
|---|---|---|
| 2011/04/30 02:38:01.2990 UTC | 2011/04/30 03:24:30.3364 UTC | 56235 |
|
|
|
|
|
Begin |
End | Number Profiles |
|---|---|---|
| 2011/04/30 03:24:30.3860 UTC | 2011/04/30 04:16:54.2894 UTC | 63390 |
|
|
|
|
|
Begin |
End | Number Profiles |
|---|---|---|
| 2011/04/30 04:16:54.3390 UTC | 2011/04/30 05:03:23.3784 UTC | 56235 |
|
|
|
|
|
Begin |
End | Number Profiles |
|---|---|---|
| 2011/04/30 05:03:23.4280 UTC | 2011/04/30 05:55:48.0744 UTC | 63405 |
|
|
|
|
|
Begin |
End | Number Profiles |
|---|---|---|
| 2011/04/30 05:55:48.1240 UTC | 2011/04/30 06:42:17.1624 UTC | 56235 |
|
|
|
|
|
Begin |
End | Number Profiles |
|---|---|---|
| 2011/04/30 06:42:17.2120 UTC | 2011/04/30 07:34:41.1144 UTC | 63390 |
|
|
|
|
|
Begin |
End | Number Profiles |
|---|---|---|
| 2011/04/30 07:34:41.1640 UTC | 2011/04/30 08:21:10.2024 UTC | 56235 |
|
|
|
|
|
Begin |
End | Number Profiles |
|---|---|---|
| 2011/04/30 08:21:10.2520 UTC | 2011/04/30 09:13:35.6444 UTC | 63420 |
|
|
|
|
|
Begin |
End | Number Profiles |
|---|---|---|
| 2011/04/30 09:13:35.6940 UTC | 2011/04/30 10:00:03.9864 UTC | 56220 |
|
|
|
|
|
Begin |
End | Number Profiles |
|---|---|---|
| 2011/04/30 10:00:04.0360 UTC | 2011/04/30 10:52:28.6834 UTC | 63405 |
|
|
|
|
|
Begin |
End | Number Profiles |
|---|---|---|
| 2011/04/30 10:52:28.7329 UTC | 2011/04/30 11:38:57.0274 UTC | 56220 |
|
|
|
|
|
Begin |
End | Number Profiles |
|---|---|---|
| 2011/04/30 11:38:57.0770 UTC | 2011/04/30 12:31:22.4674 UTC | 63420 |
|
|
|
|
|
Begin |
End | Number Profiles |
|---|---|---|
| 2011/04/30 12:31:22.5160 UTC | 2011/04/30 13:17:50.0664 UTC | 56205 |
|
|
|
|
|
Begin |
End | Number Profiles |
|---|---|---|
| 2011/04/30 13:17:50.1160 UTC | 2011/04/30 14:10:15.5064 UTC | 63420 |
|
|
|
|
|
Begin |
End | Number Profiles |
|---|---|---|
| 2011/04/30 14:10:15.5560 UTC | 2011/04/30 14:56:44.5924 UTC | 56235 |
|
|
|
|
|
Begin |
End | Number Profiles |
|---|---|---|
| 2011/04/30 14:56:44.6420 UTC | 2011/04/30 15:49:08.5423 UTC | 63390 |
|
|
|
|
|
Begin |
End | Number Profiles |
|---|---|---|
| 2011/04/30 15:49:08.5920 UTC | 2011/04/30 16:35:37.6264 UTC | 56235 |
|
|
|
|
|
Begin |
End | Number Profiles |
|---|---|---|
| 2011/04/30 16:35:37.6760 UTC | 2011/04/30 17:28:02.3194 UTC | 63405 |
|
|
|
|
|
Begin |
End | Number Profiles |
|---|---|---|
| 2011/04/30 17:28:02.3690 UTC | 2011/04/30 18:14:31.4003 UTC | 56235 |
|
|
|
|
|
Begin |
End | Number Profiles |
|---|---|---|
| 2011/04/30 18:14:31.4499 UTC | 2011/04/30 19:06:55.3494 UTC | 63390 |
|
|
|
|
|
Begin |
End | Number Profiles |
|---|---|---|
| 2011/04/30 19:06:55.3990 UTC | 2011/04/30 19:53:24.4304 UTC | 56235 |
|
|
|
|
|
Begin |
End | Number Profiles |
|---|---|---|
| 2011/04/30 19:53:24.4800 UTC | 2011/04/30 20:45:49.1234 UTC | 63405 |
|
|
|
|
|
Begin |
End | Number Profiles |
|---|---|---|
| 2011/04/30 20:45:49.1730 UTC | 2011/04/30 21:32:18.2054 UTC | 56235 |
|
|
|
|
|
Begin |
End | Number Profiles |
|---|---|---|
| 2011/04/30 21:32:18.2540 UTC | 2011/04/30 22:24:42.1544 UTC | 63390 |
|
|
|
|
|
Begin |
End | Number Profiles |
|---|---|---|
| 2011/04/30 22:24:42.2039 UTC | 2011/04/30 23:11:11.2343 UTC | 56235 |
|
|
|
|
|
Begin |
End | Number Profiles |
|---|---|---|
| 2011/04/30 23:11:11.2830 UTC | 2011/05/01 00:03:35.1844 UTC | 63390 |
|
|
|
|
|
























































































































