|
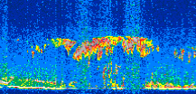
Displayed on this page are scaled, color-modulated, altitude-time images of CALIPSO attenuated backscatter (/km/sr) including:
- 532 nm total (parallel + perpendicular) attenuated backscatter
- 532 nm perpendicular attenuated backscatter
- 1064 nm total attenuated backscatter
The orbit track locations for the entire Level 1 .hdf file are in black and the orbit track locations corresponding to this page are color coded.
For the full scale images:
- the color bars for attenuated backscatter show the colors assigned to ranges of attenuated backscatter, /km/sr
- the horizontal axes are annotated with latitude (deg) and longitude (deg)
- the vertical axes are annotated to indicate altitude in kilometers
- the date and time of the measurements are listed as UTC time
- the names of the CALIPSO data products for the Lidar Level 1 attenuated backscatter granules are included
The scaled images on this page are organized by CALIPSO data product day and night orbit granules.
The maps with a shaded background indicate nightime measurements.
There are a maximum of 4 scaled images per granule.
The orbit tracks plotted on the maps show the measurement locations for each granule.
For each granule, the scaled images are ordered from left to right and their locations along the orbit tracks are color coded as: image one, image two, image three, image four.
Begin |
End | Number Profiles |
|---|---|---|
| 2011/05/02 00:46:56.6840 UTC | 2011/05/02 01:33:24.9764 UTC | 56220 |
|
|
|
|
|
Begin |
End | Number Profiles |
|---|---|---|
| 2011/05/02 01:33:25.0260 UTC | 2011/05/02 02:25:50.4153 UTC | 63420 |
|
|
|
|
|
Begin |
End | Number Profiles |
|---|---|---|
| 2011/05/02 02:25:50.4640 UTC | 2011/05/02 03:12:19.5024 UTC | 56235 |
|
|
|
|
|
Begin |
End | Number Profiles |
|---|---|---|
| 2011/05/02 03:12:19.5520 UTC | 2011/05/02 04:04:43.4514 UTC | 63390 |
|
|
|
|
|
Begin |
End | Number Profiles |
|---|---|---|
| 2011/05/02 04:04:43.5010 UTC | 2011/05/02 04:51:12.5384 UTC | 56235 |
|
|
|
|
|
Begin |
End | Number Profiles |
|---|---|---|
| 2011/05/02 04:51:12.5880 UTC | 2011/05/02 05:43:37.2314 UTC | 63405 |
|
|
|
|
|
Begin |
End | Number Profiles |
|---|---|---|
| 2011/05/02 05:43:37.2810 UTC | 2011/05/02 06:30:05.5723 UTC | 56220 |
|
|
|
|
|
Begin |
End | Number Profiles |
|---|---|---|
| 2011/05/02 06:30:05.6220 UTC | 2011/05/02 07:22:30.2664 UTC | 63405 |
|
|
|
|
|
Begin |
End | Number Profiles |
|---|---|---|
| 2011/05/02 07:22:30.3160 UTC | 2011/05/02 08:08:59.3514 UTC | 56235 |
|
|
|
|
|
Begin |
End | Number Profiles |
|---|---|---|
| 2011/05/02 08:08:59.4010 UTC | 2011/05/02 09:01:24.0454 UTC | 63405 |
|
|
|
|
|
Begin |
End | Number Profiles |
|---|---|---|
| 2011/05/02 09:01:24.0950 UTC | 2011/05/02 09:47:52.3874 UTC | 56220 |
|
|
|
|
|
Begin |
End | Number Profiles |
|---|---|---|
| 2011/05/02 09:47:52.4370 UTC | 2011/05/02 10:40:17.0824 UTC | 63405 |
|
|
|
|
|
Begin |
End | Number Profiles |
|---|---|---|
| 2011/05/02 10:40:17.1320 UTC | 2011/05/02 11:26:46.1693 UTC | 56235 |
|
|
|
|
|
Begin |
End | Number Profiles |
|---|---|---|
| 2011/05/02 11:26:46.2180 UTC | 2011/05/02 12:19:10.1194 UTC | 63390 |
|
|
|
|
|
Begin |
End | Number Profiles |
|---|---|---|
| 2011/05/02 12:19:10.1690 UTC | 2011/05/02 13:05:39.2064 UTC | 56235 |
|
|
|
|
|
Begin |
End | Number Profiles |
|---|---|---|
| 2011/05/02 13:05:39.2550 UTC | 2011/05/02 13:58:04.6434 UTC | 63420 |
|
|
|
|
|
Begin |
End | Number Profiles |
|---|---|---|
| 2011/05/02 13:58:04.6930 UTC | 2011/05/02 14:44:32.9854 UTC | 56220 |
|
|
|
|
|
Begin |
End | Number Profiles |
|---|---|---|
| 2011/05/02 14:44:33.0350 UTC | 2011/05/02 15:36:57.6774 UTC | 63405 |
|
|
|
|
|
Begin |
End | Number Profiles |
|---|---|---|
| 2011/05/02 15:36:57.7270 UTC | 2011/05/02 16:23:26.0144 UTC | 56220 |
|
|
|
|
|
Begin |
End | Number Profiles |
|---|---|---|
| 2011/05/02 16:23:26.0640 UTC | 2011/05/02 17:15:50.7064 UTC | 63405 |
|
|
|
|
|
Begin |
End | Number Profiles |
|---|---|---|
| 2011/05/02 17:15:50.7560 UTC | 2011/05/02 18:02:19.0404 UTC | 56220 |
|
|
|
|
|
Begin |
End | Number Profiles |
|---|---|---|
| 2011/05/02 18:02:19.0899 UTC | 2011/05/02 18:54:44.4754 UTC | 63420 |
|
|
|
|
|
Begin |
End | Number Profiles |
|---|---|---|
| 2011/05/02 18:54:44.5250 UTC | 2011/05/02 19:41:13.5554 UTC | 56235 |
|
|
|
|
|
Begin |
End | Number Profiles |
|---|---|---|
| 2011/05/02 19:41:13.6050 UTC | 2011/05/02 20:33:37.5024 UTC | 63390 |
|
|
|
|
|
Begin |
End | Number Profiles |
|---|---|---|
| 2011/05/02 20:33:37.5520 UTC | 2011/05/02 21:20:06.5844 UTC | 56235 |
|
|
|
|
|
Begin |
End | Number Profiles |
|---|---|---|
| 2011/05/02 21:20:06.6340 UTC | 2011/05/02 22:12:31.2764 UTC | 63405 |
|
|
|
|
|
Begin |
End | Number Profiles |
|---|---|---|
| 2011/05/02 22:12:31.3260 UTC | 2011/05/02 22:59:00.3554 UTC | 56235 |
|
|
|
|
|
Begin |
End | Number Profiles |
|---|---|---|
| 2011/05/02 22:59:00.4050 UTC | 2011/05/02 23:51:24.3033 UTC | 63390 |
|
|
|
|
|
Begin |
End | Number Profiles |
|---|---|---|
| 2011/05/02 23:51:24.3530 UTC | 2011/05/03 00:37:53.3884 UTC | 56235 |
|
|
|
|
|
























































































































