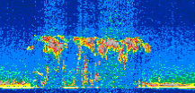
|
Displayed on this page are scaled, color-modulated, altitude-time images of CALIPSO attenuated backscatter (/km/sr) including:
- 532 nm total (parallel + perpendicular) attenuated backscatter
- 532 nm perpendicular attenuated backscatter
- 1064 nm total attenuated backscatter
The orbit track locations for the entire Level 1 .hdf file are in black and the orbit track locations corresponding to this page are color coded.
For the full scale images:
- the color bars for attenuated backscatter show the colors assigned to ranges of attenuated backscatter, /km/sr
- the horizontal axes are annotated with latitude (deg) and longitude (deg)
- the vertical axes are annotated to indicate altitude in kilometers
- the date and time of the measurements are listed as UTC time
- the names of the CALIPSO data products for the Lidar Level 1 attenuated backscatter granules are included
The scaled images on this page are organized by CALIPSO data product day and night orbit granules.
The maps with a shaded background indicate nightime measurements.
There are a maximum of 4 scaled images per granule.
The orbit tracks plotted on the maps show the measurement locations for each granule.
For each granule, the scaled images are ordered from left to right and their locations along the orbit tracks are color coded as: image one, image two, image three, image four.
Begin |
End | Number Profiles |
|---|---|---|
| 2011/05/06 00:22:32.5880 UTC | 2011/05/06 01:09:02.3693 UTC | 56250 |
|
|
|
|
|
Begin |
End | Number Profiles |
|---|---|---|
| 2011/05/06 01:09:02.4190 UTC | 2011/05/06 02:01:26.3184 UTC | 63390 |
|
|
|
|
|
Begin |
End | Number Profiles |
|---|---|---|
| 2011/05/06 02:01:26.3679 UTC | 2011/05/06 02:47:55.4024 UTC | 56235 |
|
|
|
|
|
Begin |
End | Number Profiles |
|---|---|---|
| 2011/05/06 02:47:55.4520 UTC | 2011/05/06 03:40:19.3514 UTC | 63390 |
|
|
|
|
|
Begin |
End | Number Profiles |
|---|---|---|
| 2011/05/06 03:40:19.4010 UTC | 2011/05/06 04:26:48.4354 UTC | 56235 |
|
|
|
|
|
Begin |
End | Number Profiles |
|---|---|---|
| 2011/05/06 04:26:48.4850 UTC | 2011/05/06 05:19:12.3834 UTC | 63390 |
|
|
|
|
|
Begin |
End | Number Profiles |
|---|---|---|
| 2011/05/06 05:19:12.4330 UTC | 2011/05/06 06:05:41.4684 UTC | 56235 |
|
|
|
|
|
Begin |
End | Number Profiles |
|---|---|---|
| 2011/05/06 06:05:41.5180 UTC | 2011/05/06 06:58:05.4144 UTC | 63390 |
|
|
|
|
|
Begin |
End | Number Profiles |
|---|---|---|
| 2011/05/06 06:58:05.4640 UTC | 2011/05/06 07:44:35.2404 UTC | 56250 |
|
|
|
|
|
Begin |
End | Number Profiles |
|---|---|---|
| 2011/05/06 07:44:35.2899 UTC | 2011/05/06 08:36:59.1864 UTC | 63390 |
|
|
|
|
|
Begin |
End | Number Profiles |
|---|---|---|
| 2011/05/06 08:36:59.2360 UTC | 2011/05/06 09:23:28.2674 UTC | 56235 |
|
|
|
|
|
Begin |
End | Number Profiles |
|---|---|---|
| 2011/05/06 09:23:28.3170 UTC | 2011/05/06 10:15:52.2133 UTC | 63390 |
|
|
|
|
|
Begin |
End | Number Profiles |
|---|---|---|
| 2011/05/06 10:15:52.2629 UTC | 2011/05/06 11:02:22.0374 UTC | 56250 |
|
|
|
|
|
Begin |
End | Number Profiles |
|---|---|---|
| 2011/05/06 11:02:22.0870 UTC | 2011/05/06 11:54:45.9834 UTC | 63390 |
|
|
|
|
|
Begin |
End | Number Profiles |
|---|---|---|
| 2011/05/06 11:54:46.0329 UTC | 2011/05/06 12:41:15.0624 UTC | 56235 |
|
|
|
|
|
Begin |
End | Number Profiles |
|---|---|---|
| 2011/05/06 12:41:15.1120 UTC | 2011/05/06 13:33:39.0094 UTC | 63390 |
|
|
|
|
|
Begin |
End | Number Profiles |
|---|---|---|
| 2011/05/06 13:33:39.0590 UTC | 2011/05/06 14:20:08.0884 UTC | 56235 |
|
|
|
|
|
Begin |
End | Number Profiles |
|---|---|---|
| 2011/05/06 14:20:08.1380 UTC | 2011/05/06 15:12:32.0334 UTC | 63390 |
|
|
|
|
|
Begin |
End | Number Profiles |
|---|---|---|
| 2011/05/06 15:12:32.0829 UTC | 2011/05/06 15:59:02.6004 UTC | 56265 |
|
|
|
|
|
Begin |
End | Number Profiles |
|---|---|---|
| 2011/05/06 15:59:02.6500 UTC | 2011/05/06 16:51:26.5454 UTC | 63390 |
|
|
|
|
|
Begin |
End | Number Profiles |
|---|---|---|
| 2011/05/06 16:51:26.5950 UTC | 2011/05/06 17:37:55.6204 UTC | 56235 |
|
|
|
|
|
Begin |
End | Number Profiles |
|---|---|---|
| 2011/05/06 17:37:55.6700 UTC | 2011/05/06 18:30:19.5634 UTC | 63390 |
|
|
|
|
|
Begin |
End | Number Profiles |
|---|---|---|
| 2011/05/06 18:30:19.6130 UTC | 2011/05/06 19:16:48.6373 UTC | 56235 |
|
|
|
|
|
Begin |
End | Number Profiles |
|---|---|---|
| 2011/05/06 19:16:48.6870 UTC | 2011/05/06 20:09:12.5814 UTC | 63390 |
|
|
|
|
|
Begin |
End | Number Profiles |
|---|---|---|
| 2011/05/06 20:09:12.6310 UTC | 2011/05/06 20:55:42.4004 UTC | 56250 |
|
|
|
|
|
Begin |
End | Number Profiles |
|---|---|---|
| 2011/05/06 20:55:42.4500 UTC | 2011/05/06 21:48:06.3444 UTC | 63390 |
|
|
|
|
|
Begin |
End | Number Profiles |
|---|---|---|
| 2011/05/06 21:48:06.3940 UTC | 2011/05/06 22:34:35.4214 UTC | 56235 |
|
|
|
|
|
Begin |
End | Number Profiles |
|---|---|---|
| 2011/05/06 22:34:35.4710 UTC | 2011/05/06 23:26:59.3674 UTC | 63390 |
|
|
|
|
|
Begin |
End | Number Profiles |
|---|---|---|
| 2011/05/06 23:26:59.4170 UTC | 2011/05/07 00:13:28.4454 UTC | 56235 |
|
|
|
|
|
























































































































