|
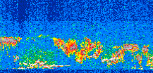
Displayed on this page are scaled, color-modulated, altitude-time images of CALIPSO attenuated backscatter (/km/sr) including:
- 532 nm total (parallel + perpendicular) attenuated backscatter
- 532 nm perpendicular attenuated backscatter
- 1064 nm total attenuated backscatter
The orbit track locations for the entire Level 1 .hdf file are in black and the orbit track locations corresponding to this page are color coded.
For the full scale images:
- the color bars for attenuated backscatter show the colors assigned to ranges of attenuated backscatter, /km/sr
- the horizontal axes are annotated with latitude (deg) and longitude (deg)
- the vertical axes are annotated to indicate altitude in kilometers
- the date and time of the measurements are listed as UTC time
- the names of the CALIPSO data products for the Lidar Level 1 attenuated backscatter granules are included
The scaled images on this page are organized by CALIPSO data product day and night orbit granules.
The maps with a shaded background indicate nightime measurements.
There are a maximum of 4 scaled images per granule.
The orbit tracks plotted on the maps show the measurement locations for each granule.
For each granule, the scaled images are ordered from left to right and their locations along the orbit tracks are color coded as: image one, image two, image three, image four.
Begin |
End | Number Profiles |
|---|---|---|
| 2011/05/12 00:32:21.4750 UTC | 2011/05/12 01:24:44.6254 UTC | 63375 |
|
|
|
|
|
Begin |
End | Number Profiles |
|---|---|---|
| 2011/05/12 01:24:44.6750 UTC | 2011/05/12 02:11:14.4444 UTC | 56250 |
|
|
|
|
|
Begin |
End | Number Profiles |
|---|---|---|
| 2011/05/12 02:11:14.4940 UTC | 2011/05/12 03:03:37.6434 UTC | 63375 |
|
|
|
|
|
Begin |
End | Number Profiles |
|---|---|---|
| 2011/05/12 03:03:37.6930 UTC | 2011/05/12 03:50:07.4674 UTC | 56250 |
|
|
|
|
|
Begin |
End | Number Profiles |
|---|---|---|
| 2011/05/12 03:50:07.5170 UTC | 2011/05/12 04:42:31.4104 UTC | 63390 |
|
|
|
|
|
Begin |
End | Number Profiles |
|---|---|---|
| 2011/05/12 04:42:31.4599 UTC | 2011/05/12 05:29:01.2334 UTC | 56250 |
|
|
|
|
|
Begin |
End | Number Profiles |
|---|---|---|
| 2011/05/12 05:29:01.2830 UTC | 2011/05/12 06:21:24.4334 UTC | 63375 |
|
|
|
|
|
Begin |
End | Number Profiles |
|---|---|---|
| 2011/05/12 06:21:24.4830 UTC | 2011/05/12 07:07:54.2584 UTC | 56250 |
|
|
|
|
|
Begin |
End | Number Profiles |
|---|---|---|
| 2011/05/12 07:07:54.3080 UTC | 2011/05/12 08:00:17.4574 UTC | 63375 |
|
|
|
|
|
Begin |
End | Number Profiles |
|---|---|---|
| 2011/05/12 08:00:17.5070 UTC | 2011/05/12 08:46:47.2834 UTC | 56250 |
|
|
|
|
|
Begin |
End | Number Profiles |
|---|---|---|
| 2011/05/12 08:46:47.3330 UTC | 2011/05/12 09:39:11.2264 UTC | 63390 |
|
|
|
|
|
Begin |
End | Number Profiles |
|---|---|---|
| 2011/05/12 09:39:11.2760 UTC | 2011/05/12 10:25:41.0543 UTC | 56250 |
|
|
|
|
|
Begin |
End | Number Profiles |
|---|---|---|
| 2011/05/12 10:25:41.1040 UTC | 2011/05/12 11:18:04.2524 UTC | 63375 |
|
|
|
|
|
Begin |
End | Number Profiles |
|---|---|---|
| 2011/05/12 11:18:04.3020 UTC | 2011/05/12 12:04:34.0774 UTC | 56250 |
|
|
|
|
|
Begin |
End | Number Profiles |
|---|---|---|
| 2011/05/12 12:04:34.1270 UTC | 2011/05/12 12:56:57.2774 UTC | 63375 |
|
|
|
|
|
Begin |
End | Number Profiles |
|---|---|---|
| 2011/05/12 12:56:57.3270 UTC | 2011/05/12 13:43:27.1043 UTC | 56250 |
|
|
|
|
|
Begin |
End | Number Profiles |
|---|---|---|
| 2011/05/12 13:43:27.1540 UTC | 2011/05/12 14:35:50.3043 UTC | 63375 |
|
|
|
|
|
Begin |
End | Number Profiles |
|---|---|---|
| 2011/05/12 14:35:50.3540 UTC | 2011/05/12 15:22:20.1314 UTC | 56250 |
|
|
|
|
|
Begin |
End | Number Profiles |
|---|---|---|
| 2011/05/12 15:22:20.1810 UTC | 2011/05/12 16:14:44.0724 UTC | 63390 |
|
|
|
|
|
Begin |
End | Number Profiles |
|---|---|---|
| 2011/05/12 16:14:44.1220 UTC | 2011/05/12 17:01:14.6414 UTC | 56265 |
|
|
|
|
|
Begin |
End | Number Profiles |
|---|---|---|
| 2011/05/12 17:01:14.6910 UTC | 2011/05/12 17:53:37.0944 UTC | 63015 |
|
|
|
|
|
Begin |
End | Number Profiles |
|---|---|---|
| 2011/05/12 17:53:37.1440 UTC | 2011/05/12 18:40:07.6634 UTC | 56265 |
|
|
|
|
|
Begin |
End | Number Profiles |
|---|---|---|
| 2011/05/12 18:40:07.7130 UTC | 2011/05/12 19:32:30.1184 UTC | 63360 |
|
|
|
|
|
Begin |
End | Number Profiles |
|---|---|---|
| 2011/05/12 19:32:30.1680 UTC | 2011/05/12 20:19:00.6934 UTC | 56265 |
|
|
|
|
|
Begin |
End | Number Profiles |
|---|---|---|
| 2011/05/12 20:19:00.7430 UTC | 2011/05/12 21:11:24.6374 UTC | 63390 |
|
|
|
|
|
Begin |
End | Number Profiles |
|---|---|---|
| 2011/05/12 21:11:24.6870 UTC | 2011/05/12 21:57:54.4684 UTC | 56250 |
|
|
|
|
|
Begin |
End | Number Profiles |
|---|---|---|
| 2011/05/12 21:57:54.5180 UTC | 2011/05/12 22:50:17.6684 UTC | 63375 |
|
|
|
|
|
Begin |
End | Number Profiles |
|---|---|---|
| 2011/05/12 22:50:17.7169 UTC | 2011/05/12 23:36:47.4954 UTC | 56250 |
|
|
|
|
|
Begin |
End | Number Profiles |
|---|---|---|
| 2011/05/12 23:36:47.5450 UTC | 2011/05/13 00:29:10.6954 UTC | 63375 |
|
|
|
|
|
























































































































