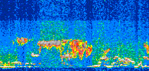
|
Displayed on this page are scaled, color-modulated, altitude-time images of CALIPSO attenuated backscatter (/km/sr) including:
- 532 nm total (parallel + perpendicular) attenuated backscatter
- 532 nm perpendicular attenuated backscatter
- 1064 nm total attenuated backscatter
The orbit track locations for the entire Level 1 .hdf file are in black and the orbit track locations corresponding to this page are color coded.
For the full scale images:
- the color bars for attenuated backscatter show the colors assigned to ranges of attenuated backscatter, /km/sr
- the horizontal axes are annotated with latitude (deg) and longitude (deg)
- the vertical axes are annotated to indicate altitude in kilometers
- the date and time of the measurements are listed as UTC time
- the names of the CALIPSO data products for the Lidar Level 1 attenuated backscatter granules are included
The scaled images on this page are organized by CALIPSO data product day and night orbit granules.
The maps with a shaded background indicate nightime measurements.
There are a maximum of 4 scaled images per granule.
The orbit tracks plotted on the maps show the measurement locations for each granule.
For each granule, the scaled images are ordered from left to right and their locations along the orbit tracks are color coded as: image one, image two, image three, image four.
Begin |
End | Number Profiles |
|---|---|---|
| 2011/06/19 00:48:57.6650 UTC | 2011/06/19 01:35:30.4204 UTC | 56310 |
|
|
|
|
|
Begin |
End | Number Profiles |
|---|---|---|
| 2011/06/19 01:35:30.4700 UTC | 2011/06/19 02:27:50.6224 UTC | 63315 |
|
|
|
|
|
Begin |
End | Number Profiles |
|---|---|---|
| 2011/06/19 02:27:50.6720 UTC | 2011/06/19 03:14:23.4254 UTC | 56310 |
|
|
|
|
|
Begin |
End | Number Profiles |
|---|---|---|
| 2011/06/19 03:14:23.4750 UTC | 2011/06/19 04:06:42.1384 UTC | 63285 |
|
|
|
|
|
Begin |
End | Number Profiles |
|---|---|---|
| 2011/06/19 04:06:42.1879 UTC | 2011/06/19 04:53:16.4294 UTC | 56340 |
|
|
|
|
|
Begin |
End | Number Profiles |
|---|---|---|
| 2011/06/19 04:53:16.4790 UTC | 2011/06/19 05:45:35.1424 UTC | 63285 |
|
|
|
|
|
Begin |
End | Number Profiles |
|---|---|---|
| 2011/06/19 05:45:35.1920 UTC | 2011/06/19 06:32:09.4324 UTC | 56340 |
|
|
|
|
|
Begin |
End | Number Profiles |
|---|---|---|
| 2011/06/19 06:32:09.4819 UTC | 2011/06/19 07:24:29.6334 UTC | 63315 |
|
|
|
|
|
Begin |
End | Number Profiles |
|---|---|---|
| 2011/06/19 07:24:29.6830 UTC | 2011/06/19 08:11:02.4364 UTC | 56310 |
|
|
|
|
|
Begin |
End | Number Profiles |
|---|---|---|
| 2011/06/19 08:11:02.4860 UTC | 2011/06/19 09:03:22.6384 UTC | 63315 |
|
|
|
|
|
Begin |
End | Number Profiles |
|---|---|---|
| 2011/06/19 09:03:22.6880 UTC | 2011/06/19 09:49:55.4413 UTC | 56310 |
|
|
|
|
|
Begin |
End | Number Profiles |
|---|---|---|
| 2011/06/19 09:49:55.4910 UTC | 2011/06/19 10:42:15.6444 UTC | 63315 |
|
|
|
|
|
Begin |
End | Number Profiles |
|---|---|---|
| 2011/06/19 10:42:15.6940 UTC | 2011/06/19 11:28:48.4494 UTC | 56310 |
|
|
|
|
|
Begin |
End | Number Profiles |
|---|---|---|
| 2011/06/19 11:28:48.4990 UTC | 2011/06/19 12:21:08.6534 UTC | 63315 |
|
|
|
|
|
Begin |
End | Number Profiles |
|---|---|---|
| 2011/06/19 12:21:08.7030 UTC | 2011/06/19 13:07:41.4614 UTC | 56310 |
|
|
|
|
|
Begin |
End | Number Profiles |
|---|---|---|
| 2011/06/19 13:07:41.5110 UTC | 2011/06/19 14:00:01.6654 UTC | 63315 |
|
|
|
|
|
Begin |
End | Number Profiles |
|---|---|---|
| 2011/06/19 14:00:01.7150 UTC | 2011/06/19 14:46:34.4724 UTC | 56310 |
|
|
|
|
|
Begin |
End | Number Profiles |
|---|---|---|
| 2011/06/19 14:46:34.5220 UTC | 2011/06/19 15:38:54.6763 UTC | 63315 |
|
|
|
|
|
Begin |
End | Number Profiles |
|---|---|---|
| 2011/06/19 15:38:54.7260 UTC | 2011/06/19 16:25:27.4804 UTC | 56310 |
|
|
|
|
|
Begin |
End | Number Profiles |
|---|---|---|
| 2011/06/19 16:25:27.5300 UTC | 2011/06/19 17:17:47.6814 UTC | 63315 |
|
|
|
|
|
Begin |
End | Number Profiles |
|---|---|---|
| 2011/06/19 17:17:47.7310 UTC | 2011/06/19 18:04:20.4804 UTC | 56310 |
|
|
|
|
|
Begin |
End | Number Profiles |
|---|---|---|
| 2011/06/19 18:04:20.5300 UTC | 2011/06/19 18:56:40.6784 UTC | 63315 |
|
|
|
|
|
Begin |
End | Number Profiles |
|---|---|---|
| 2011/06/19 18:56:40.7280 UTC | 2011/06/19 19:43:13.4744 UTC | 56310 |
|
|
|
|
|
Begin |
End | Number Profiles |
|---|---|---|
| 2011/06/19 19:43:13.5240 UTC | 2011/06/19 20:35:33.6734 UTC | 63315 |
|
|
|
|
|
Begin |
End | Number Profiles |
|---|---|---|
| 2011/06/19 20:35:33.7230 UTC | 2011/06/19 21:22:06.4714 UTC | 56310 |
|
|
|
|
|
Begin |
End | Number Profiles |
|---|---|---|
| 2011/06/19 21:22:06.5210 UTC | 2011/06/19 22:14:26.6714 UTC | 63315 |
|
|
|
|
|
Begin |
End | Number Profiles |
|---|---|---|
| 2011/06/19 22:14:26.7210 UTC | 2011/06/19 23:01:00.2164 UTC | 56325 |
|
|
|
|
|
Begin |
End | Number Profiles |
|---|---|---|
| 2011/06/19 23:01:00.2660 UTC | 2011/06/19 23:53:19.6744 UTC | 63300 |
|
|
|
|
|
Begin |
End | Number Profiles |
|---|---|---|
| 2011/06/19 23:53:19.7240 UTC | 2011/06/20 00:39:52.4824 UTC | 56310 |
|
|
|
|
|
























































































































