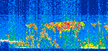
|
Displayed on this page are scaled, color-modulated, altitude-time images of CALIPSO attenuated backscatter (/km/sr) including:
- 532 nm total (parallel + perpendicular) attenuated backscatter
- 532 nm perpendicular attenuated backscatter
- 1064 nm total attenuated backscatter
The orbit track locations for the entire Level 1 .hdf file are in black and the orbit track locations corresponding to this page are color coded.
For the full scale images:
- the color bars for attenuated backscatter show the colors assigned to ranges of attenuated backscatter, /km/sr
- the horizontal axes are annotated with latitude (deg) and longitude (deg)
- the vertical axes are annotated to indicate altitude in kilometers
- the date and time of the measurements are listed as UTC time
- the names of the CALIPSO data products for the Lidar Level 1 attenuated backscatter granules are included
The scaled images on this page are organized by CALIPSO data product day and night orbit granules.
The maps with a shaded background indicate nightime measurements.
There are a maximum of 4 scaled images per granule.
The orbit tracks plotted on the maps show the measurement locations for each granule.
For each granule, the scaled images are ordered from left to right and their locations along the orbit tracks are color coded as: image one, image two, image three, image four.
Begin |
End | Number Profiles |
|---|---|---|
| 2011/06/24 00:15:07.3470 UTC | 2011/06/24 01:07:26.0094 UTC | 63285 |
|
|
|
|
|
Begin |
End | Number Profiles |
|---|---|---|
| 2011/06/24 01:07:26.0590 UTC | 2011/06/24 01:54:00.2984 UTC | 56340 |
|
|
|
|
|
Begin |
End | Number Profiles |
|---|---|---|
| 2011/06/24 01:54:00.3470 UTC | 2011/06/24 02:46:19.0094 UTC | 63285 |
|
|
|
|
|
Begin |
End | Number Profiles |
|---|---|---|
| 2011/06/24 02:46:19.0590 UTC | 2011/06/24 03:32:53.2984 UTC | 56340 |
|
|
|
|
|
Begin |
End | Number Profiles |
|---|---|---|
| 2011/06/24 03:32:53.3470 UTC | 2011/06/24 04:25:12.0104 UTC | 63285 |
|
|
|
|
|
Begin |
End | Number Profiles |
|---|---|---|
| 2011/06/24 04:25:12.0599 UTC | 2011/06/24 05:11:45.5544 UTC | 56325 |
|
|
|
|
|
Begin |
End | Number Profiles |
|---|---|---|
| 2011/06/24 05:11:45.6040 UTC | 2011/06/24 06:04:05.0094 UTC | 63300 |
|
|
|
|
|
Begin |
End | Number Profiles |
|---|---|---|
| 2011/06/24 06:04:05.0589 UTC | 2011/06/24 06:50:38.5504 UTC | 56325 |
|
|
|
|
|
Begin |
End | Number Profiles |
|---|---|---|
| 2011/06/24 06:50:38.6000 UTC | 2011/06/24 07:42:58.0044 UTC | 63300 |
|
|
|
|
|
Begin |
End | Number Profiles |
|---|---|---|
| 2011/06/24 07:42:58.0540 UTC | 2011/06/24 08:29:32.2904 UTC | 56340 |
|
|
|
|
|
Begin |
End | Number Profiles |
|---|---|---|
| 2011/06/24 08:29:32.3390 UTC | 2011/06/24 09:21:50.9984 UTC | 63285 |
|
|
|
|
|
Begin |
End | Number Profiles |
|---|---|---|
| 2011/06/24 09:21:51.0480 UTC | 2011/06/24 10:08:25.2854 UTC | 56340 |
|
|
|
|
|
Begin |
End | Number Profiles |
|---|---|---|
| 2011/06/24 10:08:25.3340 UTC | 2011/06/24 11:00:43.9964 UTC | 63285 |
|
|
|
|
|
Begin |
End | Number Profiles |
|---|---|---|
| 2011/06/24 11:00:44.0460 UTC | 2011/06/24 11:47:18.2844 UTC | 56340 |
|
|
|
|
|
Begin |
End | Number Profiles |
|---|---|---|
| 2011/06/24 11:47:18.3330 UTC | 2011/06/24 12:39:36.9954 UTC | 63285 |
|
|
|
|
|
Begin |
End | Number Profiles |
|---|---|---|
| 2011/06/24 12:39:37.0450 UTC | 2011/06/24 13:26:11.2863 UTC | 56340 |
|
|
|
|
|
Begin |
End | Number Profiles |
|---|---|---|
| 2011/06/24 13:26:11.3350 UTC | 2011/06/24 14:18:29.9994 UTC | 63285 |
|
|
|
|
|
Begin |
End | Number Profiles |
|---|---|---|
| 2011/06/24 14:18:30.0490 UTC | 2011/06/24 15:05:03.5454 UTC | 56325 |
|
|
|
|
|
Begin |
End | Number Profiles |
|---|---|---|
| 2011/06/24 15:05:03.5950 UTC | 2011/06/24 15:57:23.0014 UTC | 63300 |
|
|
|
|
|
Begin |
End | Number Profiles |
|---|---|---|
| 2011/06/24 15:57:23.0510 UTC | 2011/06/24 16:43:56.5434 UTC | 56325 |
|
|
|
|
|
Begin |
End | Number Profiles |
|---|---|---|
| 2011/06/24 16:43:56.5930 UTC | 2011/06/24 17:36:15.9974 UTC | 63300 |
|
|
|
|
|
Begin |
End | Number Profiles |
|---|---|---|
| 2011/06/24 17:36:16.0470 UTC | 2011/06/24 18:22:49.5364 UTC | 56325 |
|
|
|
|
|
Begin |
End | Number Profiles |
|---|---|---|
| 2011/06/24 18:22:49.5859 UTC | 2011/06/24 19:15:08.9884 UTC | 63300 |
|
|
|
|
|
Begin |
End | Number Profiles |
|---|---|---|
| 2011/06/24 19:15:09.0380 UTC | 2011/06/24 20:01:42.5274 UTC | 56325 |
|
|
|
|
|
Begin |
End | Number Profiles |
|---|---|---|
| 2011/06/24 20:01:42.5770 UTC | 2011/06/24 20:54:01.9794 UTC | 63300 |
|
|
|
|
|
Begin |
End | Number Profiles |
|---|---|---|
| 2011/06/24 20:54:02.0290 UTC | 2011/06/24 21:40:35.5194 UTC | 56325 |
|
|
|
|
|
Begin |
End | Number Profiles |
|---|---|---|
| 2011/06/24 21:40:35.5690 UTC | 2011/06/24 22:32:54.9714 UTC | 63300 |
|
|
|
|
|
Begin |
End | Number Profiles |
|---|---|---|
| 2011/06/24 22:32:55.0210 UTC | 2011/06/24 23:19:29.2574 UTC | 56340 |
|
|
|
|
|
Begin |
End | Number Profiles |
|---|---|---|
| 2011/06/24 23:19:29.3060 UTC | 2011/06/25 00:11:47.9673 UTC | 63285 |
|
|
|
|
|
























































































































