|
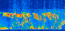
Displayed on this page are scaled, color-modulated, altitude-time images of CALIPSO attenuated backscatter (/km/sr) including:
- 532 nm total (parallel + perpendicular) attenuated backscatter
- 532 nm perpendicular attenuated backscatter
- 1064 nm total attenuated backscatter
The orbit track locations for the entire Level 1 .hdf file are in black and the orbit track locations corresponding to this page are color coded.
For the full scale images:
- the color bars for attenuated backscatter show the colors assigned to ranges of attenuated backscatter, /km/sr
- the horizontal axes are annotated with latitude (deg) and longitude (deg)
- the vertical axes are annotated to indicate altitude in kilometers
- the date and time of the measurements are listed as UTC time
- the names of the CALIPSO data products for the Lidar Level 1 attenuated backscatter granules are included
The scaled images on this page are organized by CALIPSO data product day and night orbit granules.
The maps with a shaded background indicate nightime measurements.
There are a maximum of 4 scaled images per granule.
The orbit tracks plotted on the maps show the measurement locations for each granule.
For each granule, the scaled images are ordered from left to right and their locations along the orbit tracks are color coded as: image one, image two, image three, image four.
Begin |
End | Number Profiles |
|---|---|---|
| 2011/06/27 00:45:57.7430 UTC | 2011/06/27 01:38:16.4044 UTC | 63285 |
|
|
|
|
|
Begin |
End | Number Profiles |
|---|---|---|
| 2011/06/27 01:38:16.4540 UTC | 2011/06/27 02:24:50.6944 UTC | 56340 |
|
|
|
|
|
Begin |
End | Number Profiles |
|---|---|---|
| 2011/06/27 02:24:50.7440 UTC | 2011/06/27 03:17:09.4064 UTC | 63285 |
|
|
|
|
|
Begin |
End | Number Profiles |
|---|---|---|
| 2011/06/27 03:17:09.4560 UTC | 2011/06/27 04:03:43.6954 UTC | 56340 |
|
|
|
|
|
Begin |
End | Number Profiles |
|---|---|---|
| 2011/06/27 04:03:43.7450 UTC | 2011/06/27 04:56:02.4054 UTC | 63285 |
|
|
|
|
|
Begin |
End | Number Profiles |
|---|---|---|
| 2011/06/27 04:56:02.4550 UTC | 2011/06/27 05:42:36.6934 UTC | 56340 |
|
|
|
|
|
Begin |
End | Number Profiles |
|---|---|---|
| 2011/06/27 05:42:36.7430 UTC | 2011/06/27 06:34:55.4024 UTC | 63285 |
|
|
|
|
|
Begin |
End | Number Profiles |
|---|---|---|
| 2011/06/27 06:34:55.4520 UTC | 2011/06/27 07:21:29.6884 UTC | 56340 |
|
|
|
|
|
Begin |
End | Number Profiles |
|---|---|---|
| 2011/06/27 07:21:29.7380 UTC | 2011/06/27 08:13:48.3964 UTC | 63285 |
|
|
|
|
|
Begin |
End | Number Profiles |
|---|---|---|
| 2011/06/27 08:13:48.4460 UTC | 2011/06/27 09:00:22.6814 UTC | 56340 |
|
|
|
|
|
Begin |
End | Number Profiles |
|---|---|---|
| 2011/06/27 09:00:22.7310 UTC | 2011/06/27 09:52:41.3904 UTC | 63285 |
|
|
|
|
|
Begin |
End | Number Profiles |
|---|---|---|
| 2011/06/27 09:52:41.4400 UTC | 2011/06/27 10:39:15.6764 UTC | 56340 |
|
|
|
|
|
Begin |
End | Number Profiles |
|---|---|---|
| 2011/06/27 10:39:15.7260 UTC | 2011/06/27 11:31:34.3874 UTC | 63285 |
|
|
|
|
|
Begin |
End | Number Profiles |
|---|---|---|
| 2011/06/27 11:31:34.4370 UTC | 2011/06/27 12:18:08.6764 UTC | 56340 |
|
|
|
|
|
Begin |
End | Number Profiles |
|---|---|---|
| 2011/06/27 12:18:08.7260 UTC | 2011/06/27 13:10:27.3874 UTC | 63285 |
|
|
|
|
|
Begin |
End | Number Profiles |
|---|---|---|
| 2011/06/27 13:10:27.4370 UTC | 2011/06/27 13:57:01.6764 UTC | 56340 |
|
|
|
|
|
Begin |
End | Number Profiles |
|---|---|---|
| 2011/06/27 13:57:01.7260 UTC | 2011/06/27 14:49:20.3874 UTC | 63285 |
|
|
|
|
|
Begin |
End | Number Profiles |
|---|---|---|
| 2011/06/27 14:49:20.4370 UTC | 2011/06/27 15:35:54.6734 UTC | 56340 |
|
|
|
|
|
Begin |
End | Number Profiles |
|---|---|---|
| 2011/06/27 15:35:54.7230 UTC | 2011/06/27 16:28:13.3814 UTC | 63285 |
|
|
|
|
|
Begin |
End | Number Profiles |
|---|---|---|
| 2011/06/27 16:28:13.4309 UTC | 2011/06/27 17:14:47.6634 UTC | 56340 |
|
|
|
|
|
Begin |
End | Number Profiles |
|---|---|---|
| 2011/06/27 17:14:47.7130 UTC | 2011/06/27 18:07:06.3704 UTC | 63285 |
|
|
|
|
|
Begin |
End | Number Profiles |
|---|---|---|
| 2011/06/27 18:07:06.4200 UTC | 2011/06/27 18:53:40.6494 UTC | 56340 |
|
|
|
|
|
Begin |
End | Number Profiles |
|---|---|---|
| 2011/06/27 18:53:40.6990 UTC | 2011/06/27 19:45:59.3554 UTC | 63285 |
|
|
|
|
|
Begin |
End | Number Profiles |
|---|---|---|
| 2011/06/27 19:45:59.4050 UTC | 2011/06/27 20:32:33.6354 UTC | 56340 |
|
|
|
|
|
Begin |
End | Number Profiles |
|---|---|---|
| 2011/06/27 20:32:33.6850 UTC | 2011/06/27 21:24:52.3414 UTC | 63285 |
|
|
|
|
|
Begin |
End | Number Profiles |
|---|---|---|
| 2011/06/27 21:24:52.3910 UTC | 2011/06/27 22:11:26.6224 UTC | 56340 |
|
|
|
|
|
Begin |
End | Number Profiles |
|---|---|---|
| 2011/06/27 22:11:26.6720 UTC | 2011/06/27 23:03:45.3294 UTC | 63285 |
|
|
|
|
|
Begin |
End | Number Profiles |
|---|---|---|
| 2011/06/27 23:03:45.3790 UTC | 2011/06/27 23:50:19.6114 UTC | 56340 |
|
|
|
|
|
Begin |
End | Number Profiles |
|---|---|---|
| 2011/06/27 23:50:19.6610 UTC | 2011/06/28 00:42:38.3183 UTC | 63285 |
|
|
|
|
|
























































































































