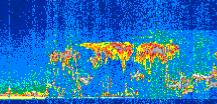
|
Displayed on this page are scaled, color-modulated, altitude-time images of CALIPSO attenuated backscatter (/km/sr) including:
- 532 nm total (parallel + perpendicular) attenuated backscatter
- 532 nm perpendicular attenuated backscatter
- 1064 nm total attenuated backscatter
The orbit track locations for the entire Level 1 .hdf file are in black and the orbit track locations corresponding to this page are color coded.
For the full scale images:
- the color bars for attenuated backscatter show the colors assigned to ranges of attenuated backscatter, /km/sr
- the horizontal axes are annotated with latitude (deg) and longitude (deg)
- the vertical axes are annotated to indicate altitude in kilometers
- the date and time of the measurements are listed as UTC time
- the names of the CALIPSO data products for the Lidar Level 1 attenuated backscatter granules are included
The scaled images on this page are organized by CALIPSO data product day and night orbit granules.
The maps with a shaded background indicate nightime measurements.
There are a maximum of 4 scaled images per granule.
The orbit tracks plotted on the maps show the measurement locations for each granule.
For each granule, the scaled images are ordered from left to right and their locations along the orbit tracks are color coded as: image one, image two, image three, image four.
Begin |
End | Number Profiles |
|---|---|---|
| 2011/06/30 00:30:13.7040 UTC | 2011/06/30 01:16:47.1994 UTC | 56325 |
|
|
|
|
|
Begin |
End | Number Profiles |
|---|---|---|
| 2011/06/30 01:16:47.2490 UTC | 2011/06/30 02:09:06.6534 UTC | 63300 |
|
|
|
|
|
Begin |
End | Number Profiles |
|---|---|---|
| 2011/06/30 02:09:06.7030 UTC | 2011/06/30 02:55:39.4524 UTC | 56310 |
|
|
|
|
|
Begin |
End | Number Profiles |
|---|---|---|
| 2011/06/30 02:55:39.5020 UTC | 2011/06/30 03:47:58.1624 UTC | 63285 |
|
|
|
|
|
Begin |
End | Number Profiles |
|---|---|---|
| 2011/06/30 03:47:58.2120 UTC | 2011/06/30 04:34:32.4494 UTC | 56340 |
|
|
|
|
|
Begin |
End | Number Profiles |
|---|---|---|
| 2011/06/30 04:34:32.4990 UTC | 2011/06/30 05:26:51.1594 UTC | 63285 |
|
|
|
|
|
Begin |
End | Number Profiles |
|---|---|---|
| 2011/06/30 05:26:51.2089 UTC | 2011/06/30 06:13:25.4463 UTC | 56340 |
|
|
|
|
|
Begin |
End | Number Profiles |
|---|---|---|
| 2011/06/30 06:13:25.4960 UTC | 2011/06/30 07:05:44.1564 UTC | 63285 |
|
|
|
|
|
Begin |
End | Number Profiles |
|---|---|---|
| 2011/06/30 07:05:44.2050 UTC | 2011/06/30 07:52:18.4414 UTC | 56340 |
|
|
|
|
|
Begin |
End | Number Profiles |
|---|---|---|
| 2011/06/30 07:52:18.4910 UTC | 2011/06/30 08:44:37.1504 UTC | 63285 |
|
|
|
|
|
Begin |
End | Number Profiles |
|---|---|---|
| 2011/06/30 08:44:37.2000 UTC | 2011/06/30 09:31:11.4374 UTC | 56340 |
|
|
|
|
|
Begin |
End | Number Profiles |
|---|---|---|
| 2011/06/30 09:31:11.4870 UTC | 2011/06/30 10:23:30.1453 UTC | 63285 |
|
|
|
|
|
Begin |
End | Number Profiles |
|---|---|---|
| 2011/06/30 10:23:30.1940 UTC | 2011/06/30 11:10:04.4314 UTC | 56340 |
|
|
|
|
|
Begin |
End | Number Profiles |
|---|---|---|
| 2011/06/30 11:10:04.4810 UTC | 2011/06/30 12:02:23.1413 UTC | 63285 |
|
|
|
|
|
Begin |
End | Number Profiles |
|---|---|---|
| 2011/06/30 12:02:23.1900 UTC | 2011/06/30 12:48:57.4274 UTC | 56340 |
|
|
|
|
|
Begin |
End | Number Profiles |
|---|---|---|
| 2011/06/30 12:48:57.4770 UTC | 2011/06/30 13:41:16.1394 UTC | 63285 |
|
|
|
|
|
Begin |
End | Number Profiles |
|---|---|---|
| 2011/06/30 13:41:16.1880 UTC | 2011/06/30 14:27:50.4264 UTC | 56340 |
|
|
|
|
|
Begin |
End | Number Profiles |
|---|---|---|
| 2011/06/30 14:27:50.4760 UTC | 2011/06/30 15:20:09.1363 UTC | 63285 |
|
|
|
|
|
Begin |
End | Number Profiles |
|---|---|---|
| 2011/06/30 15:20:09.1859 UTC | 2011/06/30 16:06:43.4204 UTC | 56340 |
|
|
|
|
|
Begin |
End | Number Profiles |
|---|---|---|
| 2011/06/30 16:06:43.4699 UTC | 2011/06/30 16:59:02.1284 UTC | 63285 |
|
|
|
|
|
Begin |
End | Number Profiles |
|---|---|---|
| 2011/06/30 16:59:02.1780 UTC | 2011/06/30 17:45:36.4094 UTC | 56340 |
|
|
|
|
|
Begin |
End | Number Profiles |
|---|---|---|
| 2011/06/30 17:45:36.4590 UTC | 2011/06/30 18:37:55.1154 UTC | 63285 |
|
|
|
|
|
Begin |
End | Number Profiles |
|---|---|---|
| 2011/06/30 18:37:55.1650 UTC | 2011/06/30 19:24:29.3934 UTC | 56340 |
|
|
|
|
|
Begin |
End | Number Profiles |
|---|---|---|
| 2011/06/30 19:24:29.4429 UTC | 2011/06/30 20:16:48.0984 UTC | 63285 |
|
|
|
|
|
Begin |
End | Number Profiles |
|---|---|---|
| 2011/06/30 20:16:48.1480 UTC | 2011/06/30 21:03:22.3764 UTC | 56340 |
|
|
|
|
|
Begin |
End | Number Profiles |
|---|---|---|
| 2011/06/30 21:03:22.4260 UTC | 2011/06/30 21:55:41.0824 UTC | 63285 |
|
|
|
|
|
Begin |
End | Number Profiles |
|---|---|---|
| 2011/06/30 21:55:41.1310 UTC | 2011/06/30 22:42:15.3634 UTC | 56340 |
|
|
|
|
|
Begin |
End | Number Profiles |
|---|---|---|
| 2011/06/30 22:42:15.4130 UTC | 2011/06/30 23:34:34.0704 UTC | 63285 |
|
|
|
|
|
Begin |
End | Number Profiles |
|---|---|---|
| 2011/06/30 23:34:34.1199 UTC | 2011/07/01 00:21:07.6084 UTC | 56325 |
|
|
|
|
|
























































































































