|
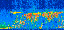
Displayed on this page are scaled, color-modulated, altitude-time images of CALIPSO attenuated backscatter (/km/sr) including:
- 532 nm total (parallel + perpendicular) attenuated backscatter
- 532 nm perpendicular attenuated backscatter
- 1064 nm total attenuated backscatter
The orbit track locations for the entire Level 1 .hdf file are in black and the orbit track locations corresponding to this page are color coded.
For the full scale images:
- the color bars for attenuated backscatter show the colors assigned to ranges of attenuated backscatter, /km/sr
- the horizontal axes are annotated with latitude (deg) and longitude (deg)
- the vertical axes are annotated to indicate altitude in kilometers
- the date and time of the measurements are listed as UTC time
- the names of the CALIPSO data products for the Lidar Level 1 attenuated backscatter granules are included
The scaled images on this page are organized by CALIPSO data product day and night orbit granules.
The maps with a shaded background indicate nightime measurements.
There are a maximum of 4 scaled images per granule.
The orbit tracks plotted on the maps show the measurement locations for each granule.
For each granule, the scaled images are ordered from left to right and their locations along the orbit tracks are color coded as: image one, image two, image three, image four.
Begin |
End | Number Profiles |
|---|---|---|
| 2011/07/18 00:17:05.0770 UTC | 2011/07/18 01:03:39.3134 UTC | 56340 |
|
|
|
|
|
Begin |
End | Number Profiles |
|---|---|---|
| 2011/07/18 01:03:39.3630 UTC | 2011/07/18 01:55:58.0234 UTC | 63285 |
|
|
|
|
|
Begin |
End | Number Profiles |
|---|---|---|
| 2011/07/18 01:55:58.0730 UTC | 2011/07/18 02:42:32.3084 UTC | 56340 |
|
|
|
|
|
Begin |
End | Number Profiles |
|---|---|---|
| 2011/07/18 02:42:32.3580 UTC | 2011/07/18 03:34:51.0183 UTC | 63285 |
|
|
|
|
|
Begin |
End | Number Profiles |
|---|---|---|
| 2011/07/18 03:34:51.0680 UTC | 2011/07/18 04:21:24.5584 UTC | 56325 |
|
|
|
|
|
Begin |
End | Number Profiles |
|---|---|---|
| 2011/07/18 04:21:24.6079 UTC | 2011/07/18 05:13:43.2674 UTC | 63285 |
|
|
|
|
|
Begin |
End | Number Profiles |
|---|---|---|
| 2011/07/18 05:13:43.3170 UTC | 2011/07/18 06:00:17.5514 UTC | 56340 |
|
|
|
|
|
Begin |
End | Number Profiles |
|---|---|---|
| 2011/07/18 06:00:17.6010 UTC | 2011/07/18 06:52:36.2613 UTC | 63285 |
|
|
|
|
|
Begin |
End | Number Profiles |
|---|---|---|
| 2011/07/18 06:52:36.3110 UTC | 2011/07/18 07:39:10.5464 UTC | 56340 |
|
|
|
|
|
Begin |
End | Number Profiles |
|---|---|---|
| 2011/07/18 07:39:10.5960 UTC | 2011/07/18 08:31:29.2564 UTC | 63285 |
|
|
|
|
|
Begin |
End | Number Profiles |
|---|---|---|
| 2011/07/18 08:31:29.3060 UTC | 2011/07/18 09:18:03.5424 UTC | 56340 |
|
|
|
|
|
Begin |
End | Number Profiles |
|---|---|---|
| 2011/07/18 09:18:03.5920 UTC | 2011/07/18 10:10:22.2514 UTC | 63285 |
|
|
|
|
|
Begin |
End | Number Profiles |
|---|---|---|
| 2011/07/18 10:10:22.3010 UTC | 2011/07/18 10:56:56.5364 UTC | 56340 |
|
|
|
|
|
Begin |
End | Number Profiles |
|---|---|---|
| 2011/07/18 10:56:56.5860 UTC | 2011/07/18 11:49:15.2484 UTC | 63285 |
|
|
|
|
|
Begin |
End | Number Profiles |
|---|---|---|
| 2011/07/18 11:49:15.2980 UTC | 2011/07/18 12:35:49.5344 UTC | 56340 |
|
|
|
|
|
Begin |
End | Number Profiles |
|---|---|---|
| 2011/07/18 12:35:49.5840 UTC | 2011/07/18 13:28:08.2474 UTC | 63285 |
|
|
|
|
|
Begin |
End | Number Profiles |
|---|---|---|
| 2011/07/18 13:28:08.2970 UTC | 2011/07/18 14:14:41.0484 UTC | 56310 |
|
|
|
|
|
Begin |
End | Number Profiles |
|---|---|---|
| 2011/07/18 14:14:41.0980 UTC | 2011/07/18 15:07:01.2484 UTC | 63315 |
|
|
|
|
|
Begin |
End | Number Profiles |
|---|---|---|
| 2011/07/18 15:07:01.2980 UTC | 2011/07/18 15:53:34.0474 UTC | 56310 |
|
|
|
|
|
Begin |
End | Number Profiles |
|---|---|---|
| 2011/07/18 15:53:34.0970 UTC | 2011/07/18 16:45:54.2464 UTC | 63315 |
|
|
|
|
|
Begin |
End | Number Profiles |
|---|---|---|
| 2011/07/18 16:45:54.2959 UTC | 2011/07/18 17:32:27.0424 UTC | 56310 |
|
|
|
|
|
Begin |
End | Number Profiles |
|---|---|---|
| 2011/07/18 17:32:27.0920 UTC | 2011/07/18 18:24:46.4944 UTC | 63300 |
|
|
|
|
|
Begin |
End | Number Profiles |
|---|---|---|
| 2011/07/18 18:24:46.5440 UTC | 2011/07/18 19:11:20.0304 UTC | 56325 |
|
|
|
|
|
Begin |
End | Number Profiles |
|---|---|---|
| 2011/07/18 19:11:20.0800 UTC | 2011/07/18 20:03:39.4813 UTC | 63300 |
|
|
|
|
|
Begin |
End | Number Profiles |
|---|---|---|
| 2011/07/18 20:03:39.5310 UTC | 2011/07/18 20:50:13.0174 UTC | 56325 |
|
|
|
|
|
Begin |
End | Number Profiles |
|---|---|---|
| 2011/07/18 20:50:13.0670 UTC | 2011/07/18 21:42:32.4694 UTC | 63300 |
|
|
|
|
|
Begin |
End | Number Profiles |
|---|---|---|
| 2011/07/18 21:42:32.5190 UTC | 2011/07/18 22:29:06.0054 UTC | 56325 |
|
|
|
|
|
Begin |
End | Number Profiles |
|---|---|---|
| 2011/07/18 22:29:06.0550 UTC | 2011/07/18 23:21:25.4564 UTC | 63300 |
|
|
|
|
|
Begin |
End | Number Profiles |
|---|---|---|
| 2011/07/18 23:21:25.5060 UTC | 2011/07/19 00:07:58.9924 UTC | 56325 |
|
|
|
|
|
























































































































