|
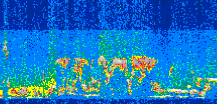
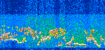
Displayed on this page are scaled, color-modulated, altitude-time images of CALIPSO attenuated backscatter (/km/sr) including:
- 532 nm total (parallel + perpendicular) attenuated backscatter
- 532 nm perpendicular attenuated backscatter
- 1064 nm total attenuated backscatter
The orbit track locations for the entire Level 1 .hdf file are in black and the orbit track locations corresponding to this page are color coded.
For the full scale images:
- the color bars for attenuated backscatter show the colors assigned to ranges of attenuated backscatter, /km/sr
- the horizontal axes are annotated with latitude (deg) and longitude (deg)
- the vertical axes are annotated to indicate altitude in kilometers
- the date and time of the measurements are listed as UTC time
- the names of the CALIPSO data products for the Lidar Level 1 attenuated backscatter granules are included
The scaled images on this page are organized by CALIPSO data product day and night orbit granules.
The maps with a shaded background indicate nightime measurements.
There are a maximum of 4 scaled images per granule.
The orbit tracks plotted on the maps show the measurement locations for each granule.
For each granule, the scaled images are ordered from left to right and their locations along the orbit tracks are color coded as: image one, image two, image three, image four.
Begin |
End | Number Profiles |
|---|---|---|
| 2011/07/21 00:47:51.6380 UTC | 2011/07/21 01:34:24.3864 UTC | 56310 |
|
|
|
|
|
Begin |
End | Number Profiles |
|---|---|---|
| 2011/07/21 01:34:24.4360 UTC | 2011/07/21 02:26:43.0964 UTC | 63285 |
|
|
|
|
|
Begin |
End | Number Profiles |
|---|---|---|
| 2011/07/21 02:26:43.1460 UTC | 2011/07/21 03:13:17.3824 UTC | 56340 |
|
|
|
|
|
Begin |
End | Number Profiles |
|---|---|---|
| 2011/07/21 03:13:17.4320 UTC | 2011/07/21 04:05:36.0934 UTC | 63285 |
|
|
|
|
|
Begin |
End | Number Profiles |
|---|---|---|
| 2011/07/21 04:05:36.1430 UTC | 2011/07/21 04:52:10.3794 UTC | 56340 |
|
|
|
|
|
Begin |
End | Number Profiles |
|---|---|---|
| 2011/07/21 04:52:10.4290 UTC | 2011/07/21 05:44:29.0904 UTC | 63285 |
|
|
|
|
|
Begin |
End | Number Profiles |
|---|---|---|
| 2011/07/21 05:44:29.1400 UTC | 2011/07/21 06:31:02.6314 UTC | 56325 |
|
|
|
|
|
Begin |
End | Number Profiles |
|---|---|---|
| 2011/07/21 06:31:02.6810 UTC | 2011/07/21 07:23:22.0854 UTC | 63300 |
|
|
|
|
|
Begin |
End | Number Profiles |
|---|---|---|
| 2011/07/21 07:23:22.1350 UTC | 2011/07/21 08:09:55.6294 UTC | 56325 |
|
|
|
|
|
Begin |
End | Number Profiles |
|---|---|---|
| 2011/07/21 08:09:55.6790 UTC | 2011/07/21 09:02:15.0854 UTC | 63300 |
|
|
|
|
|
Begin |
End | Number Profiles |
|---|---|---|
| 2011/07/21 09:02:15.1350 UTC | 2011/07/21 09:48:48.6284 UTC | 56325 |
|
|
|
|
|
Begin |
End | Number Profiles |
|---|---|---|
| 2011/07/21 09:48:48.6780 UTC | 2011/07/21 10:41:08.0854 UTC | 63300 |
|
|
|
|
|
Begin |
End | Number Profiles |
|---|---|---|
| 2011/07/21 10:41:08.1350 UTC | 2011/07/21 11:27:41.6294 UTC | 56325 |
|
|
|
|
|
Begin |
End | Number Profiles |
|---|---|---|
| 2011/07/21 11:27:41.6790 UTC | 2011/07/21 12:20:01.0864 UTC | 63300 |
|
|
|
|
|
Begin |
End | Number Profiles |
|---|---|---|
| 2011/07/21 12:20:01.1360 UTC | 2011/07/21 13:06:34.6324 UTC | 56325 |
|
|
|
|
|
Begin |
End | Number Profiles |
|---|---|---|
| 2011/07/21 13:06:34.6820 UTC | 2011/07/21 13:58:53.3474 UTC | 63285 |
|
|
|
|
|
Begin |
End | Number Profiles |
|---|---|---|
| 2011/07/21 13:58:53.3970 UTC | 2011/07/21 14:45:27.6394 UTC | 56340 |
|
|
|
|
|
Begin |
End | Number Profiles |
|---|---|---|
| 2011/07/21 14:45:27.6890 UTC | 2011/07/21 15:37:46.3533 UTC | 63285 |
|
|
|
|
|
Begin |
End | Number Profiles |
|---|---|---|
| 2011/07/21 15:37:46.4020 UTC | 2011/07/21 16:24:19.1534 UTC | 56310 |
|
|
|
|
|
Begin |
End | Number Profiles |
|---|---|---|
| 2011/07/21 16:24:19.2030 UTC | 2011/07/21 17:16:39.3523 UTC | 63315 |
|
|
|
|
|
Begin |
End | Number Profiles |
|---|---|---|
| 2011/07/21 17:16:39.4010 UTC | 2011/07/21 18:03:12.1474 UTC | 56310 |
|
|
|
|
|
Begin |
End | Number Profiles |
|---|---|---|
| 2011/07/21 18:03:12.1970 UTC | 2011/07/21 18:55:32.3434 UTC | 63315 |
|
|
|
|
|
Begin |
End | Number Profiles |
|---|---|---|
| 2011/07/21 18:55:32.3930 UTC | 2011/07/21 19:42:05.1354 UTC | 56310 |
|
|
|
|
|
Begin |
End | Number Profiles |
|---|---|---|
| 2011/07/21 19:42:05.1850 UTC | 2011/07/21 20:34:25.3304 UTC | 63315 |
|
|
|
|
|
Begin |
End | Number Profiles |
|---|---|---|
| 2011/07/21 20:34:25.3800 UTC | 2011/07/21 21:20:58.1214 UTC | 56310 |
|
|
|
|
|
Begin |
End | Number Profiles |
|---|---|---|
| 2011/07/21 21:20:58.1709 UTC | 2011/07/21 22:13:17.5734 UTC | 63300 |
|
|
|
|
|
Begin |
End | Number Profiles |
|---|---|---|
| 2011/07/21 22:13:17.6230 UTC | 2011/07/21 22:59:51.1084 UTC | 56325 |
|
|
|
|
|
Begin |
End | Number Profiles |
|---|---|---|
| 2011/07/21 22:59:51.1580 UTC | 2011/07/21 23:52:10.5624 UTC | 63300 |
|
|
|
|
|
Begin |
End | Number Profiles |
|---|---|---|
| 2011/07/21 23:52:10.6120 UTC | 2011/07/22 00:38:44.1034 UTC | 56325 |
|
|
|
|
|
























































































































