|
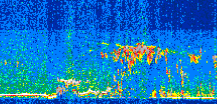
Displayed on this page are scaled, color-modulated, altitude-time images of CALIPSO attenuated backscatter (/km/sr) including:
- 532 nm total (parallel + perpendicular) attenuated backscatter
- 532 nm perpendicular attenuated backscatter
- 1064 nm total attenuated backscatter
The orbit track locations for the entire Level 1 .hdf file are in black and the orbit track locations corresponding to this page are color coded.
For the full scale images:
- the color bars for attenuated backscatter show the colors assigned to ranges of attenuated backscatter, /km/sr
- the horizontal axes are annotated with latitude (deg) and longitude (deg)
- the vertical axes are annotated to indicate altitude in kilometers
- the date and time of the measurements are listed as UTC time
- the names of the CALIPSO data products for the Lidar Level 1 attenuated backscatter granules are included
The scaled images on this page are organized by CALIPSO data product day and night orbit granules.
The maps with a shaded background indicate nightime measurements.
There are a maximum of 4 scaled images per granule.
The orbit tracks plotted on the maps show the measurement locations for each granule.
For each granule, the scaled images are ordered from left to right and their locations along the orbit tracks are color coded as: image one, image two, image three, image four.
Begin |
End | Number Profiles |
|---|---|---|
| 2011/07/22 00:38:44.1530 UTC | 2011/07/22 01:31:03.5574 UTC | 63300 |
|
|
|
|
|
Begin |
End | Number Profiles |
|---|---|---|
| 2011/07/22 01:31:03.6070 UTC | 2011/07/22 02:17:37.0974 UTC | 56325 |
|
|
|
|
|
Begin |
End | Number Profiles |
|---|---|---|
| 2011/07/22 02:17:37.1470 UTC | 2011/07/22 03:09:56.5523 UTC | 63300 |
|
|
|
|
|
Begin |
End | Number Profiles |
|---|---|---|
| 2011/07/22 03:09:56.6020 UTC | 2011/07/22 03:56:29.3494 UTC | 56310 |
|
|
|
|
|
Begin |
End | Number Profiles |
|---|---|---|
| 2011/07/22 03:56:29.3990 UTC | 2011/07/22 04:48:49.5484 UTC | 63315 |
|
|
|
|
|
Begin |
End | Number Profiles |
|---|---|---|
| 2011/07/22 04:48:49.5979 UTC | 2011/07/22 05:35:22.3474 UTC | 56310 |
|
|
|
|
|
Begin |
End | Number Profiles |
|---|---|---|
| 2011/07/22 05:35:22.3969 UTC | 2011/07/22 06:27:42.5473 UTC | 63315 |
|
|
|
|
|
Begin |
End | Number Profiles |
|---|---|---|
| 2011/07/22 06:27:42.5969 UTC | 2011/07/22 07:14:15.3463 UTC | 56310 |
|
|
|
|
|
Begin |
End | Number Profiles |
|---|---|---|
| 2011/07/22 07:14:15.3959 UTC | 2011/07/22 08:06:35.5463 UTC | 63315 |
|
|
|
|
|
Begin |
End | Number Profiles |
|---|---|---|
| 2011/07/22 08:06:35.5960 UTC | 2011/07/22 08:53:08.3453 UTC | 56310 |
|
|
|
|
|
Begin |
End | Number Profiles |
|---|---|---|
| 2011/07/22 08:53:08.3950 UTC | 2011/07/22 09:45:27.0584 UTC | 63285 |
|
|
|
|
|
Begin |
End | Number Profiles |
|---|---|---|
| 2011/07/22 09:45:27.1080 UTC | 2011/07/22 10:32:01.3464 UTC | 56340 |
|
|
|
|
|
Begin |
End | Number Profiles |
|---|---|---|
| 2011/07/22 10:32:01.3960 UTC | 2011/07/22 11:24:20.0594 UTC | 63285 |
|
|
|
|
|
Begin |
End | Number Profiles |
|---|---|---|
| 2011/07/22 11:24:20.1090 UTC | 2011/07/22 12:10:54.3464 UTC | 56340 |
|
|
|
|
|
Begin |
End | Number Profiles |
|---|---|---|
| 2011/07/22 12:10:54.3960 UTC | 2011/07/22 13:03:13.0604 UTC | 63285 |
|
|
|
|
|
Begin |
End | Number Profiles |
|---|---|---|
| 2011/07/22 13:03:13.1100 UTC | 2011/07/22 13:49:46.6063 UTC | 56325 |
|
|
|
|
|
Begin |
End | Number Profiles |
|---|---|---|
| 2011/07/22 13:49:46.6559 UTC | 2011/07/22 14:42:06.0644 UTC | 63300 |
|
|
|
|
|
Begin |
End | Number Profiles |
|---|---|---|
| 2011/07/22 14:42:06.1140 UTC | 2011/07/22 15:28:39.6094 UTC | 56325 |
|
|
|
|
|
Begin |
End | Number Profiles |
|---|---|---|
| 2011/07/22 15:28:39.6590 UTC | 2011/07/22 16:20:59.0664 UTC | 63300 |
|
|
|
|
|
Begin |
End | Number Profiles |
|---|---|---|
| 2011/07/22 16:20:59.1160 UTC | 2011/07/22 17:07:32.6074 UTC | 56325 |
|
|
|
|
|
Begin |
End | Number Profiles |
|---|---|---|
| 2011/07/22 17:07:32.6570 UTC | 2011/07/22 17:59:51.3184 UTC | 63285 |
|
|
|
|
|
Begin |
End | Number Profiles |
|---|---|---|
| 2011/07/22 17:59:51.3680 UTC | 2011/07/22 18:46:25.5994 UTC | 56340 |
|
|
|
|
|
Begin |
End | Number Profiles |
|---|---|---|
| 2011/07/22 18:46:25.6490 UTC | 2011/07/22 19:38:44.3084 UTC | 63285 |
|
|
|
|
|
Begin |
End | Number Profiles |
|---|---|---|
| 2011/07/22 19:38:44.3580 UTC | 2011/07/22 20:25:18.5883 UTC | 56340 |
|
|
|
|
|
Begin |
End | Number Profiles |
|---|---|---|
| 2011/07/22 20:25:18.6380 UTC | 2011/07/22 21:17:37.2974 UTC | 63285 |
|
|
|
|
|
Begin |
End | Number Profiles |
|---|---|---|
| 2011/07/22 21:17:37.3470 UTC | 2011/07/22 22:04:11.5774 UTC | 56340 |
|
|
|
|
|
Begin |
End | Number Profiles |
|---|---|---|
| 2011/07/22 22:04:11.6270 UTC | 2011/07/22 22:56:30.2874 UTC | 63285 |
|
|
|
|
|
Begin |
End | Number Profiles |
|---|---|---|
| 2011/07/22 22:56:30.3370 UTC | 2011/07/22 23:43:03.0814 UTC | 56310 |
|
|
|
|
|
Begin |
End | Number Profiles |
|---|---|---|
| 2011/07/22 23:43:03.1310 UTC | 2011/07/23 00:35:23.2794 UTC | 63315 |
|
|
|
|
|
























































































































