|
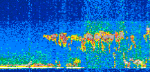
Displayed on this page are scaled, color-modulated, altitude-time images of CALIPSO attenuated backscatter (/km/sr) including:
- 532 nm total (parallel + perpendicular) attenuated backscatter
- 532 nm perpendicular attenuated backscatter
- 1064 nm total attenuated backscatter
The orbit track locations for the entire Level 1 .hdf file are in black and the orbit track locations corresponding to this page are color coded.
For the full scale images:
- the color bars for attenuated backscatter show the colors assigned to ranges of attenuated backscatter, /km/sr
- the horizontal axes are annotated with latitude (deg) and longitude (deg)
- the vertical axes are annotated to indicate altitude in kilometers
- the date and time of the measurements are listed as UTC time
- the names of the CALIPSO data products for the Lidar Level 1 attenuated backscatter granules are included
The scaled images on this page are organized by CALIPSO data product day and night orbit granules.
The maps with a shaded background indicate nightime measurements.
There are a maximum of 4 scaled images per granule.
The orbit tracks plotted on the maps show the measurement locations for each granule.
For each granule, the scaled images are ordered from left to right and their locations along the orbit tracks are color coded as: image one, image two, image three, image four.
Begin |
End | Number Profiles |
|---|---|---|
| 2011/07/26 00:13:47.6050 UTC | 2011/07/26 01:06:07.0114 UTC | 63300 |
|
|
|
|
|
Begin |
End | Number Profiles |
|---|---|---|
| 2011/07/26 01:06:07.0610 UTC | 2011/07/26 01:52:40.5544 UTC | 56325 |
|
|
|
|
|
Begin |
End | Number Profiles |
|---|---|---|
| 2011/07/26 01:52:40.6030 UTC | 2011/07/26 02:44:59.2673 UTC | 63285 |
|
|
|
|
|
Begin |
End | Number Profiles |
|---|---|---|
| 2011/07/26 02:44:59.3170 UTC | 2011/07/26 03:31:32.0654 UTC | 56310 |
|
|
|
|
|
Begin |
End | Number Profiles |
|---|---|---|
| 2011/07/26 03:31:32.1150 UTC | 2011/07/26 04:23:52.2654 UTC | 63315 |
|
|
|
|
|
Begin |
End | Number Profiles |
|---|---|---|
| 2011/07/26 04:23:52.3150 UTC | 2011/07/26 05:10:25.0634 UTC | 56310 |
|
|
|
|
|
Begin |
End | Number Profiles |
|---|---|---|
| 2011/07/26 05:10:25.1130 UTC | 2011/07/26 06:02:45.2634 UTC | 63315 |
|
|
|
|
|
Begin |
End | Number Profiles |
|---|---|---|
| 2011/07/26 06:02:45.3130 UTC | 2011/07/26 06:49:18.0613 UTC | 56310 |
|
|
|
|
|
Begin |
End | Number Profiles |
|---|---|---|
| 2011/07/26 06:49:18.1109 UTC | 2011/07/26 07:41:38.2613 UTC | 63315 |
|
|
|
|
|
Begin |
End | Number Profiles |
|---|---|---|
| 2011/07/26 07:41:38.3110 UTC | 2011/07/26 08:28:11.0603 UTC | 56310 |
|
|
|
|
|
Begin |
End | Number Profiles |
|---|---|---|
| 2011/07/26 08:28:11.1100 UTC | 2011/07/26 09:20:31.2614 UTC | 63315 |
|
|
|
|
|
Begin |
End | Number Profiles |
|---|---|---|
| 2011/07/26 09:20:31.3110 UTC | 2011/07/26 10:07:04.0593 UTC | 56310 |
|
|
|
|
|
Begin |
End | Number Profiles |
|---|---|---|
| 2011/07/26 10:07:04.1090 UTC | 2011/07/26 10:59:24.2604 UTC | 63315 |
|
|
|
|
|
Begin |
End | Number Profiles |
|---|---|---|
| 2011/07/26 10:59:24.3100 UTC | 2011/07/26 11:45:57.0584 UTC | 56310 |
|
|
|
|
|
Begin |
End | Number Profiles |
|---|---|---|
| 2011/07/26 11:45:57.1080 UTC | 2011/07/26 12:38:16.5164 UTC | 63300 |
|
|
|
|
|
Begin |
End | Number Profiles |
|---|---|---|
| 2011/07/26 12:38:16.5660 UTC | 2011/07/26 13:24:49.3164 UTC | 56310 |
|
|
|
|
|
Begin |
End | Number Profiles |
|---|---|---|
| 2011/07/26 13:24:49.3660 UTC | 2011/07/26 14:17:09.5194 UTC | 63315 |
|
|
|
|
|
Begin |
End | Number Profiles |
|---|---|---|
| 2011/07/26 14:17:09.5690 UTC | 2011/07/26 15:03:42.3224 UTC | 56310 |
|
|
|
|
|
Begin |
End | Number Profiles |
|---|---|---|
| 2011/07/26 15:03:42.3720 UTC | 2011/07/26 15:56:02.5244 UTC | 63315 |
|
|
|
|
|
Begin |
End | Number Profiles |
|---|---|---|
| 2011/07/26 15:56:02.5740 UTC | 2011/07/26 16:42:35.3244 UTC | 56310 |
|
|
|
|
|
Begin |
End | Number Profiles |
|---|---|---|
| 2011/07/26 16:42:35.3740 UTC | 2011/07/26 17:34:55.5234 UTC | 63315 |
|
|
|
|
|
Begin |
End | Number Profiles |
|---|---|---|
| 2011/07/26 17:34:55.5730 UTC | 2011/07/26 18:21:28.3164 UTC | 56310 |
|
|
|
|
|
Begin |
End | Number Profiles |
|---|---|---|
| 2011/07/26 18:21:28.3660 UTC | 2011/07/26 19:13:47.0274 UTC | 63285 |
|
|
|
|
|
Begin |
End | Number Profiles |
|---|---|---|
| 2011/07/26 19:13:47.0769 UTC | 2011/07/26 20:00:20.5644 UTC | 56325 |
|
|
|
|
|
Begin |
End | Number Profiles |
|---|---|---|
| 2011/07/26 20:00:20.6140 UTC | 2011/07/26 20:52:40.0174 UTC | 63300 |
|
|
|
|
|
Begin |
End | Number Profiles |
|---|---|---|
| 2011/07/26 20:52:40.0670 UTC | 2011/07/26 21:39:13.5544 UTC | 56325 |
|
|
|
|
|
Begin |
End | Number Profiles |
|---|---|---|
| 2011/07/26 21:39:13.6040 UTC | 2011/07/26 22:31:33.0074 UTC | 63300 |
|
|
|
|
|
Begin |
End | Number Profiles |
|---|---|---|
| 2011/07/26 22:31:33.0570 UTC | 2011/07/26 23:18:06.5463 UTC | 56325 |
|
|
|
|
|
Begin |
End | Number Profiles |
|---|---|---|
| 2011/07/26 23:18:06.5960 UTC | 2011/07/27 00:10:26.0023 UTC | 63300 |
|
|
|
|
|
























































































































