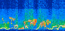
|
Displayed on this page are scaled, color-modulated, altitude-time images of CALIPSO attenuated backscatter (/km/sr) including:
- 532 nm total (parallel + perpendicular) attenuated backscatter
- 532 nm perpendicular attenuated backscatter
- 1064 nm total attenuated backscatter
The orbit track locations for the entire Level 1 .hdf file are in black and the orbit track locations corresponding to this page are color coded.
For the full scale images:
- the color bars for attenuated backscatter show the colors assigned to ranges of attenuated backscatter, /km/sr
- the horizontal axes are annotated with latitude (deg) and longitude (deg)
- the vertical axes are annotated to indicate altitude in kilometers
- the date and time of the measurements are listed as UTC time
- the names of the CALIPSO data products for the Lidar Level 1 attenuated backscatter granules are included
The scaled images on this page are organized by CALIPSO data product day and night orbit granules.
The maps with a shaded background indicate nightime measurements.
There are a maximum of 4 scaled images per granule.
The orbit tracks plotted on the maps show the measurement locations for each granule.
For each granule, the scaled images are ordered from left to right and their locations along the orbit tracks are color coded as: image one, image two, image three, image four.
Begin |
End | Number Profiles |
|---|---|---|
| 2012/06/07 08:51:01.6310 UTC | 2012/06/07 09:37:34.2954 UTC | 56310 |
|
|
|
|
|
Begin |
End | Number Profiles |
|---|---|---|
| 2012/06/07 09:37:34.3450 UTC | 2012/06/07 10:29:54.4754 UTC | 63315 |
|
|
|
|
|
Begin |
End | Number Profiles |
|---|---|---|
| 2012/06/07 10:29:54.5250 UTC | 2012/06/07 11:16:27.2004 UTC | 56310 |
|
|
|
|
|
Begin |
End | Number Profiles |
|---|---|---|
| 2012/06/07 11:16:27.2490 UTC | 2012/06/07 12:08:47.3834 UTC | 63315 |
|
|
|
|
|
Begin |
End | Number Profiles |
|---|---|---|
| 2012/06/07 12:08:47.4330 UTC | 2012/06/07 12:55:20.1164 UTC | 56310 |
|
|
|
|
|
Begin |
End | Number Profiles |
|---|---|---|
| 2012/06/07 12:55:20.1660 UTC | 2012/06/07 13:47:41.0474 UTC | 63330 |
|
|
|
|
|
Begin |
End | Number Profiles |
|---|---|---|
| 2012/06/07 13:47:41.0970 UTC | 2012/06/07 14:34:13.0474 UTC | 56295 |
|
|
|
|
|
Begin |
End | Number Profiles |
|---|---|---|
| 2012/06/07 14:34:13.0960 UTC | 2012/06/07 15:26:33.9794 UTC | 63330 |
|
|
|
|
|
Begin |
End | Number Profiles |
|---|---|---|
| 2012/06/07 15:26:34.0290 UTC | 2012/06/07 16:13:05.9894 UTC | 56295 |
|
|
|
|
|
Begin |
End | Number Profiles |
|---|---|---|
| 2012/06/07 16:13:06.0380 UTC | 2012/06/07 17:05:27.6674 UTC | 63345 |
|
|
|
|
|
Begin |
End | Number Profiles |
|---|---|---|
| 2012/06/07 17:05:27.7170 UTC | 2012/06/07 17:52:00.4264 UTC | 56310 |
|
|
|
|
|
Begin |
End | Number Profiles |
|---|---|---|
| 2012/06/07 17:52:00.4760 UTC | 2012/06/07 18:44:20.6184 UTC | 63315 |
|
|
|
|
|
Begin |
End | Number Profiles |
|---|---|---|
| 2012/06/07 18:44:20.6680 UTC | 2012/06/07 19:30:53.3844 UTC | 56310 |
|
|
|
|
|
Begin |
End | Number Profiles |
|---|---|---|
| 2012/06/07 19:30:53.4340 UTC | 2012/06/07 20:23:13.5774 UTC | 63315 |
|
|
|
|
|
Begin |
End | Number Profiles |
|---|---|---|
| 2012/06/07 20:23:13.6270 UTC | 2012/06/07 21:09:46.3514 UTC | 56310 |
|
|
|
|
|
Begin |
End | Number Profiles |
|---|---|---|
| 2012/06/07 21:09:46.4010 UTC | 2012/06/07 22:02:07.2904 UTC | 63330 |
|
|
|
|
|
Begin |
End | Number Profiles |
|---|---|---|
| 2012/06/07 22:02:07.3399 UTC | 2012/06/07 22:48:39.3274 UTC | 56295 |
|
|
|
|
|
Begin |
End | Number Profiles |
|---|---|---|
| 2012/06/07 22:48:39.3770 UTC | 2012/06/07 23:41:00.2694 UTC | 63330 |
|
|
|
|
|
Begin |
End | Number Profiles |
|---|---|---|
| 2012/06/07 23:41:00.3180 UTC | 2012/06/08 00:27:33.0574 UTC | 56310 |
|
|
|
|
|
















































































