|
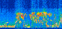
Displayed on this page are scaled, color-modulated, altitude-time images of CALIPSO attenuated backscatter (/km/sr) including:
- 532 nm total (parallel + perpendicular) attenuated backscatter
- 532 nm perpendicular attenuated backscatter
- 1064 nm total attenuated backscatter
The orbit track locations for the entire Level 1 .hdf file are in black and the orbit track locations corresponding to this page are color coded.
For the full scale images:
- the color bars for attenuated backscatter show the colors assigned to ranges of attenuated backscatter, /km/sr
- the horizontal axes are annotated with latitude (deg) and longitude (deg)
- the vertical axes are annotated to indicate altitude in kilometers
- the date and time of the measurements are listed as UTC time
- the names of the CALIPSO data products for the Lidar Level 1 attenuated backscatter granules are included
The scaled images on this page are organized by CALIPSO data product day and night orbit granules.
The maps with a shaded background indicate nightime measurements.
There are a maximum of 4 scaled images per granule.
The orbit tracks plotted on the maps show the measurement locations for each granule.
For each granule, the scaled images are ordered from left to right and their locations along the orbit tracks are color coded as: image one, image two, image three, image four.
Begin |
End | Number Profiles |
|---|---|---|
| 2012/07/05 00:09:01.5100 UTC | 2012/07/05 01:01:20.1654 UTC | 63285 |
|
|
|
|
|
Begin |
End | Number Profiles |
|---|---|---|
| 2012/07/05 01:01:20.2150 UTC | 2012/07/05 01:47:54.4503 UTC | 56340 |
|
|
|
|
|
Begin |
End | Number Profiles |
|---|---|---|
| 2012/07/05 01:47:54.4999 UTC | 2012/07/05 02:40:13.1574 UTC | 63285 |
|
|
|
|
|
Begin |
End | Number Profiles |
|---|---|---|
| 2012/07/05 02:40:13.2070 UTC | 2012/07/05 03:26:47.4434 UTC | 56340 |
|
|
|
|
|
Begin |
End | Number Profiles |
|---|---|---|
| 2012/07/05 03:26:47.4930 UTC | 2012/07/05 04:19:05.4064 UTC | 63270 |
|
|
|
|
|
Begin |
End | Number Profiles |
|---|---|---|
| 2012/07/05 04:19:05.4559 UTC | 2012/07/05 05:05:39.6924 UTC | 56340 |
|
|
|
|
|
Begin |
End | Number Profiles |
|---|---|---|
| 2012/07/05 05:05:39.7420 UTC | 2012/07/05 05:57:58.3984 UTC | 63285 |
|
|
|
|
|
Begin |
End | Number Profiles |
|---|---|---|
| 2012/07/05 05:57:58.4480 UTC | 2012/07/05 06:44:32.6854 UTC | 56340 |
|
|
|
|
|
Begin |
End | Number Profiles |
|---|---|---|
| 2012/07/05 06:44:32.7350 UTC | 2012/07/05 07:36:51.3924 UTC | 63285 |
|
|
|
|
|
Begin |
End | Number Profiles |
|---|---|---|
| 2012/07/05 07:36:51.4420 UTC | 2012/07/05 08:23:25.6803 UTC | 56340 |
|
|
|
|
|
Begin |
End | Number Profiles |
|---|---|---|
| 2012/07/05 08:23:25.7300 UTC | 2012/07/05 09:15:44.3874 UTC | 63285 |
|
|
|
|
|
Begin |
End | Number Profiles |
|---|---|---|
| 2012/07/05 09:15:44.4370 UTC | 2012/07/05 10:02:18.6754 UTC | 56340 |
|
|
|
|
|
Begin |
End | Number Profiles |
|---|---|---|
| 2012/07/05 10:02:18.7250 UTC | 2012/07/05 10:54:37.3834 UTC | 63285 |
|
|
|
|
|
Begin |
End | Number Profiles |
|---|---|---|
| 2012/07/05 10:54:37.4330 UTC | 2012/07/05 11:41:11.6704 UTC | 56340 |
|
|
|
|
|
Begin |
End | Number Profiles |
|---|---|---|
| 2012/07/05 11:41:11.7200 UTC | 2012/07/05 12:33:30.3794 UTC | 63285 |
|
|
|
|
|
Begin |
End | Number Profiles |
|---|---|---|
| 2012/07/05 12:33:30.4290 UTC | 2012/07/05 13:20:04.6664 UTC | 56340 |
|
|
|
|
|
Begin |
End | Number Profiles |
|---|---|---|
| 2012/07/05 13:20:04.7160 UTC | 2012/07/05 14:12:23.3764 UTC | 63285 |
|
|
|
|
|
Begin |
End | Number Profiles |
|---|---|---|
| 2012/07/05 14:12:23.4260 UTC | 2012/07/05 14:58:57.6654 UTC | 56340 |
|
|
|
|
|
Begin |
End | Number Profiles |
|---|---|---|
| 2012/07/05 14:58:57.7150 UTC | 2012/07/05 15:51:16.3734 UTC | 63285 |
|
|
|
|
|
Begin |
End | Number Profiles |
|---|---|---|
| 2012/07/05 15:51:16.4230 UTC | 2012/07/05 16:37:50.6594 UTC | 56340 |
|
|
|
|
|
Begin |
End | Number Profiles |
|---|---|---|
| 2012/07/05 16:37:50.7090 UTC | 2012/07/05 17:30:09.3654 UTC | 63285 |
|
|
|
|
|
Begin |
End | Number Profiles |
|---|---|---|
| 2012/07/05 17:30:09.4150 UTC | 2012/07/05 18:16:42.1594 UTC | 56310 |
|
|
|
|
|
Begin |
End | Number Profiles |
|---|---|---|
| 2012/07/05 18:16:42.2090 UTC | 2012/07/05 19:09:02.3514 UTC | 63315 |
|
|
|
|
|
Begin |
End | Number Profiles |
|---|---|---|
| 2012/07/05 19:09:02.4010 UTC | 2012/07/05 19:55:35.1414 UTC | 56310 |
|
|
|
|
|
Begin |
End | Number Profiles |
|---|---|---|
| 2012/07/05 19:55:35.1910 UTC | 2012/07/05 20:47:54.5884 UTC | 63300 |
|
|
|
|
|
Begin |
End | Number Profiles |
|---|---|---|
| 2012/07/05 20:47:54.6379 UTC | 2012/07/05 21:34:28.1224 UTC | 56325 |
|
|
|
|
|
Begin |
End | Number Profiles |
|---|---|---|
| 2012/07/05 21:34:28.1720 UTC | 2012/07/05 22:26:47.5694 UTC | 63300 |
|
|
|
|
|
Begin |
End | Number Profiles |
|---|---|---|
| 2012/07/05 22:26:47.6180 UTC | 2012/07/05 23:13:21.1034 UTC | 56325 |
|
|
|
|
|
Begin |
End | Number Profiles |
|---|---|---|
| 2012/07/05 23:13:21.1530 UTC | 2012/07/06 00:05:40.5514 UTC | 63300 |
|
|
|
|
|
























































































































