|
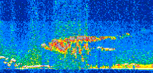
Displayed on this page are scaled, color-modulated, altitude-time images of CALIPSO attenuated backscatter (/km/sr) including:
- 532 nm total (parallel + perpendicular) attenuated backscatter
- 532 nm perpendicular attenuated backscatter
- 1064 nm total attenuated backscatter
The orbit track locations for the entire Level 1 .hdf file are in black and the orbit track locations corresponding to this page are color coded.
For the full scale images:
- the color bars for attenuated backscatter show the colors assigned to ranges of attenuated backscatter, /km/sr
- the horizontal axes are annotated with latitude (deg) and longitude (deg)
- the vertical axes are annotated to indicate altitude in kilometers
- the date and time of the measurements are listed as UTC time
- the names of the CALIPSO data products for the Lidar Level 1 attenuated backscatter granules are included
The scaled images on this page are organized by CALIPSO data product day and night orbit granules.
The maps with a shaded background indicate nightime measurements.
There are a maximum of 4 scaled images per granule.
The orbit tracks plotted on the maps show the measurement locations for each granule.
For each granule, the scaled images are ordered from left to right and their locations along the orbit tracks are color coded as: image one, image two, image three, image four.
Begin |
End | Number Profiles |
|---|---|---|
| 2013/02/04 00:13:12.1360 UTC | 2013/02/04 00:59:37.4894 UTC | 56160 |
|
|
|
|
|
Begin |
End | Number Profiles |
|---|---|---|
| 2013/02/04 00:59:37.5390 UTC | 2013/02/04 01:52:05.1983 UTC | 63465 |
|
|
|
|
|
Begin |
End | Number Profiles |
|---|---|---|
| 2013/02/04 01:52:05.2479 UTC | 2013/02/04 02:38:31.3444 UTC | 56175 |
|
|
|
|
|
Begin |
End | Number Profiles |
|---|---|---|
| 2013/02/04 02:38:31.3940 UTC | 2013/02/04 03:30:59.0544 UTC | 63465 |
|
|
|
|
|
Begin |
End | Number Profiles |
|---|---|---|
| 2013/02/04 03:30:59.1040 UTC | 2013/02/04 04:17:24.4624 UTC | 56160 |
|
|
|
|
|
Begin |
End | Number Profiles |
|---|---|---|
| 2013/02/04 04:17:24.5120 UTC | 2013/02/04 05:09:52.1744 UTC | 63465 |
|
|
|
|
|
Begin |
End | Number Profiles |
|---|---|---|
| 2013/02/04 05:09:52.2240 UTC | 2013/02/04 05:56:17.5803 UTC | 56160 |
|
|
|
|
|
Begin |
End | Number Profiles |
|---|---|---|
| 2013/02/04 05:56:17.6299 UTC | 2013/02/04 06:48:46.0354 UTC | 63480 |
|
|
|
|
|
Begin |
End | Number Profiles |
|---|---|---|
| 2013/02/04 06:48:46.0850 UTC | 2013/02/04 07:35:11.4444 UTC | 56160 |
|
|
|
|
|
Begin |
End | Number Profiles |
|---|---|---|
| 2013/02/04 07:35:11.4940 UTC | 2013/02/04 08:27:39.1554 UTC | 63465 |
|
|
|
|
|
Begin |
End | Number Profiles |
|---|---|---|
| 2013/02/04 08:27:39.2050 UTC | 2013/02/04 09:14:05.3064 UTC | 56175 |
|
|
|
|
|
Begin |
End | Number Profiles |
|---|---|---|
| 2013/02/04 09:14:05.3560 UTC | 2013/02/04 10:06:33.0194 UTC | 63465 |
|
|
|
|
|
Begin |
End | Number Profiles |
|---|---|---|
| 2013/02/04 10:52:58.4860 UTC | 2013/02/04 11:45:26.1524 UTC | 63465 |
|
|
|
|
|
Begin |
End | Number Profiles |
|---|---|---|
| 2013/02/04 12:31:52.3649 UTC | 2013/02/04 13:24:20.0314 UTC | 63465 |
|
|
|
|
|
Begin |
End | Number Profiles |
|---|---|---|
| 2013/02/04 14:10:45.5040 UTC | 2013/02/04 15:03:13.1704 UTC | 63465 |
|
|
|
|
|
Begin |
End | Number Profiles |
|---|---|---|
| 2013/02/04 15:49:38.6399 UTC | 2013/02/04 16:42:07.0484 UTC | 63480 |
|
|
|
|
|
Begin |
End | Number Profiles |
|---|---|---|
| 2013/02/04 17:28:32.5100 UTC | 2013/02/04 18:21:00.1734 UTC | 63465 |
|
|
|
|
|
Begin |
End | Number Profiles |
|---|---|---|
| 2013/02/04 19:07:26.3790 UTC | 2013/02/04 19:59:54.0424 UTC | 63465 |
|
|
|
|
|
Begin |
End | Number Profiles |
|---|---|---|
| 2013/02/04 20:46:19.5010 UTC | 2013/02/04 21:38:47.1624 UTC | 63465 |
|
|
|
|
|
Begin |
End | Number Profiles |
|---|---|---|
| 2013/02/04 22:25:13.3620 UTC | 2013/02/04 23:17:41.0224 UTC | 63465 |
|
|
|
|
|




















































































