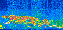
|
Displayed on this page are scaled, color-modulated, altitude-time images of CALIPSO attenuated backscatter (/km/sr) including:
- 532 nm total (parallel + perpendicular) attenuated backscatter
- 532 nm perpendicular attenuated backscatter
- 1064 nm total attenuated backscatter
The orbit track locations for the entire Level 1 .hdf file are in black and the orbit track locations corresponding to this page are color coded.
For the full scale images:
- the color bars for attenuated backscatter show the colors assigned to ranges of attenuated backscatter, /km/sr
- the horizontal axes are annotated with latitude (deg) and longitude (deg)
- the vertical axes are annotated to indicate altitude in kilometers
- the date and time of the measurements are listed as UTC time
- the names of the CALIPSO data products for the Lidar Level 1 attenuated backscatter granules are included
The scaled images on this page are organized by CALIPSO data product day and night orbit granules.
The maps with a shaded background indicate nightime measurements.
There are a maximum of 4 scaled images per granule.
The orbit tracks plotted on the maps show the measurement locations for each granule.
For each granule, the scaled images are ordered from left to right and their locations along the orbit tracks are color coded as: image one, image two, image three, image four.
Begin |
End | Number Profiles |
|---|---|---|
| 2013/05/10 00:26:42.0720 UTC | 2013/05/10 01:19:06.7064 UTC | 63405 |
|
|
|
|
|
Begin |
End | Number Profiles |
|---|---|---|
| 2013/05/10 01:19:06.7560 UTC | 2013/05/10 02:05:36.5124 UTC | 56250 |
|
|
|
|
|
Begin |
End | Number Profiles |
|---|---|---|
| 2013/05/10 02:05:36.5610 UTC | 2013/05/10 02:57:59.7024 UTC | 63375 |
|
|
|
|
|
Begin |
End | Number Profiles |
|---|---|---|
| 2013/05/10 02:57:59.7520 UTC | 2013/05/10 03:44:29.5154 UTC | 56250 |
|
|
|
|
|
Begin |
End | Number Profiles |
|---|---|---|
| 2013/05/10 03:44:29.5640 UTC | 2013/05/10 04:36:53.4564 UTC | 63390 |
|
|
|
|
|
Begin |
End | Number Profiles |
|---|---|---|
| 2013/05/10 04:36:53.5060 UTC | 2013/05/10 05:23:22.5334 UTC | 56235 |
|
|
|
|
|
Begin |
End | Number Profiles |
|---|---|---|
| 2013/05/10 05:23:22.5820 UTC | 2013/05/10 06:15:46.4783 UTC | 63390 |
|
|
|
|
|
Begin |
End | Number Profiles |
|---|---|---|
| 2013/05/10 06:15:46.5279 UTC | 2013/05/10 07:02:16.2984 UTC | 56250 |
|
|
|
|
|
Begin |
End | Number Profiles |
|---|---|---|
| 2013/05/10 07:02:16.3480 UTC | 2013/05/10 07:54:40.2454 UTC | 63390 |
|
|
|
|
|
Begin |
End | Number Profiles |
|---|---|---|
| 2013/05/10 07:54:40.2950 UTC | 2013/05/10 08:41:09.3254 UTC | 56235 |
|
|
|
|
|
Begin |
End | Number Profiles |
|---|---|---|
| 2013/05/10 08:41:09.3749 UTC | 2013/05/10 09:33:33.2734 UTC | 63390 |
|
|
|
|
|
Begin |
End | Number Profiles |
|---|---|---|
| 2013/05/10 09:33:33.3230 UTC | 2013/05/10 10:20:03.1013 UTC | 56250 |
|
|
|
|
|
Begin |
End | Number Profiles |
|---|---|---|
| 2013/05/10 10:20:03.1510 UTC | 2013/05/10 11:12:27.0494 UTC | 63390 |
|
|
|
|
|
Begin |
End | Number Profiles |
|---|---|---|
| 2013/05/10 11:12:27.0990 UTC | 2013/05/10 11:58:56.1314 UTC | 56235 |
|
|
|
|
|
Begin |
End | Number Profiles |
|---|---|---|
| 2013/05/10 11:58:56.1810 UTC | 2013/05/10 12:51:20.0804 UTC | 63390 |
|
|
|
|
|
Begin |
End | Number Profiles |
|---|---|---|
| 2013/05/10 12:51:20.1300 UTC | 2013/05/10 13:37:50.6504 UTC | 56265 |
|
|
|
|
|
Begin |
End | Number Profiles |
|---|---|---|
| 2013/05/10 13:37:50.7000 UTC | 2013/05/10 14:30:13.1124 UTC | 63360 |
|
|
|
|
|
Begin |
End | Number Profiles |
|---|---|---|
| 2013/05/10 14:30:13.1620 UTC | 2013/05/10 15:16:43.6834 UTC | 56265 |
|
|
|
|
|
Begin |
End | Number Profiles |
|---|---|---|
| 2013/05/10 15:16:43.7330 UTC | 2013/05/10 16:09:07.6324 UTC | 63390 |
|
|
|
|
|
Begin |
End | Number Profiles |
|---|---|---|
| 2013/05/10 16:09:07.6820 UTC | 2013/05/10 16:55:35.9694 UTC | 56220 |
|
|
|
|
|
Begin |
End | Number Profiles |
|---|---|---|
| 2013/05/10 16:55:36.0190 UTC | 2013/05/10 17:48:00.6584 UTC | 63405 |
|
|
|
|
|
Begin |
End | Number Profiles |
|---|---|---|
| 2013/05/10 17:48:00.7080 UTC | 2013/05/10 18:34:30.4804 UTC | 56250 |
|
|
|
|
|
Begin |
End | Number Profiles |
|---|---|---|
| 2013/05/10 18:34:30.5300 UTC | 2013/05/10 19:26:54.4264 UTC | 63390 |
|
|
|
|
|
Begin |
End | Number Profiles |
|---|---|---|
| 2013/05/10 19:26:54.4760 UTC | 2013/05/10 20:13:23.5064 UTC | 56235 |
|
|
|
|
|
Begin |
End | Number Profiles |
|---|---|---|
| 2013/05/10 20:13:23.5560 UTC | 2013/05/10 21:05:47.4524 UTC | 63390 |
|
|
|
|
|
Begin |
End | Number Profiles |
|---|---|---|
| 2013/05/10 21:05:47.5020 UTC | 2013/05/10 21:52:17.2744 UTC | 56250 |
|
|
|
|
|
Begin |
End | Number Profiles |
|---|---|---|
| 2013/05/10 21:52:17.3240 UTC | 2013/05/10 22:44:41.2204 UTC | 63390 |
|
|
|
|
|
Begin |
End | Number Profiles |
|---|---|---|
| 2013/05/10 22:44:41.2700 UTC | 2013/05/10 23:31:10.3004 UTC | 56235 |
|
|
|
|
|
Begin |
End | Number Profiles |
|---|---|---|
| 2013/05/10 23:31:10.3500 UTC | 2013/05/11 00:23:34.2464 UTC | 63390 |
|
|
|
|
|
























































































































