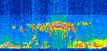
|
Displayed on this page are scaled, color-modulated, altitude-time images of CALIPSO attenuated backscatter (/km/sr) including:
- 532 nm total (parallel + perpendicular) attenuated backscatter
- 532 nm perpendicular attenuated backscatter
- 1064 nm total attenuated backscatter
The orbit track locations for the entire Level 1 .hdf file are in black and the orbit track locations corresponding to this page are color coded.
For the full scale images:
- the color bars for attenuated backscatter show the colors assigned to ranges of attenuated backscatter, /km/sr
- the horizontal axes are annotated with latitude (deg) and longitude (deg)
- the vertical axes are annotated to indicate altitude in kilometers
- the date and time of the measurements are listed as UTC time
- the names of the CALIPSO data products for the Lidar Level 1 attenuated backscatter granules are included
The scaled images on this page are organized by CALIPSO data product day and night orbit granules.
The maps with a shaded background indicate nightime measurements.
There are a maximum of 4 scaled images per granule.
The orbit tracks plotted on the maps show the measurement locations for each granule.
For each granule, the scaled images are ordered from left to right and their locations along the orbit tracks are color coded as: image one, image two, image three, image four.
Begin |
End | Number Profiles |
|---|---|---|
| 2013/06/22 00:09:35.2270 UTC | 2013/06/22 01:01:55.3814 UTC | 63300 |
|
|
|
|
|
Begin |
End | Number Profiles |
|---|---|---|
| 2013/06/22 01:01:55.4310 UTC | 2013/06/22 01:48:28.1784 UTC | 56310 |
|
|
|
|
|
Begin |
End | Number Profiles |
|---|---|---|
| 2013/06/22 01:48:28.2280 UTC | 2013/06/22 02:40:48.3844 UTC | 62745 |
|
|
|
|
|
Begin |
End | Number Profiles |
|---|---|---|
| 2013/06/22 02:40:48.4330 UTC | 2013/06/22 03:27:21.1813 UTC | 54705 |
|
|
|
|
|
Begin |
End | Number Profiles |
|---|---|---|
| 2013/06/22 03:27:21.2310 UTC | 2013/06/22 04:19:41.3864 UTC | 63315 |
|
|
|
|
|
Begin |
End | Number Profiles |
|---|---|---|
| 2013/06/22 04:19:41.4359 UTC | 2013/06/22 05:06:14.1814 UTC | 56310 |
|
|
|
|
|
Begin |
End | Number Profiles |
|---|---|---|
| 2013/06/22 05:06:14.2310 UTC | 2013/06/22 05:58:34.3864 UTC | 62955 |
|
|
|
|
|
Begin |
End | Number Profiles |
|---|---|---|
| 2013/06/22 05:58:34.4349 UTC | 2013/06/22 06:45:07.1804 UTC | 56310 |
|
|
|
|
|
Begin |
End | Number Profiles |
|---|---|---|
| 2013/06/22 06:45:07.2300 UTC | 2013/06/22 07:37:27.3854 UTC | 63315 |
|
|
|
|
|
Begin |
End | Number Profiles |
|---|---|---|
| 2013/06/22 07:37:27.4340 UTC | 2013/06/22 08:24:00.1794 UTC | 56310 |
|
|
|
|
|
Begin |
End | Number Profiles |
|---|---|---|
| 2013/06/22 08:24:00.2290 UTC | 2013/06/22 09:16:20.3844 UTC | 63315 |
|
|
|
|
|
Begin |
End | Number Profiles |
|---|---|---|
| 2013/06/22 09:16:20.4330 UTC | 2013/06/22 10:02:54.6644 UTC | 56340 |
|
|
|
|
|
Begin |
End | Number Profiles |
|---|---|---|
| 2013/06/22 10:02:54.7139 UTC | 2013/06/22 10:55:13.3804 UTC | 63285 |
|
|
|
|
|
Begin |
End | Number Profiles |
|---|---|---|
| 2013/06/22 10:55:13.4300 UTC | 2013/06/22 11:41:47.6624 UTC | 56340 |
|
|
|
|
|
Begin |
End | Number Profiles |
|---|---|---|
| 2013/06/22 11:41:47.7120 UTC | 2013/06/22 12:34:06.3794 UTC | 63285 |
|
|
|
|
|
Begin |
End | Number Profiles |
|---|---|---|
| 2013/06/22 12:34:06.4280 UTC | 2013/06/22 13:20:40.6614 UTC | 56340 |
|
|
|
|
|
Begin |
End | Number Profiles |
|---|---|---|
| 2013/06/22 13:20:40.7110 UTC | 2013/06/22 14:12:59.3794 UTC | 63285 |
|
|
|
|
|
Begin |
End | Number Profiles |
|---|---|---|
| 2013/06/22 14:12:59.4290 UTC | 2013/06/22 14:59:33.6613 UTC | 56340 |
|
|
|
|
|
Begin |
End | Number Profiles |
|---|---|---|
| 2013/06/22 14:59:33.7110 UTC | 2013/06/22 15:51:52.3774 UTC | 63285 |
|
|
|
|
|
Begin |
End | Number Profiles |
|---|---|---|
| 2013/06/22 15:51:52.4260 UTC | 2013/06/22 16:38:26.6594 UTC | 56340 |
|
|
|
|
|
Begin |
End | Number Profiles |
|---|---|---|
| 2013/06/22 16:38:26.7090 UTC | 2013/06/22 17:30:45.3754 UTC | 63285 |
|
|
|
|
|
Begin |
End | Number Profiles |
|---|---|---|
| 2013/06/22 17:30:45.4240 UTC | 2013/06/22 18:17:19.6504 UTC | 56340 |
|
|
|
|
|
Begin |
End | Number Profiles |
|---|---|---|
| 2013/06/22 18:17:19.7000 UTC | 2013/06/22 19:09:38.3634 UTC | 63285 |
|
|
|
|
|
Begin |
End | Number Profiles |
|---|---|---|
| 2013/06/22 19:09:38.4130 UTC | 2013/06/22 19:56:12.6344 UTC | 56340 |
|
|
|
|
|
Begin |
End | Number Profiles |
|---|---|---|
| 2013/06/22 19:56:12.6840 UTC | 2013/06/22 20:48:31.3474 UTC | 63285 |
|
|
|
|
|
Begin |
End | Number Profiles |
|---|---|---|
| 2013/06/22 20:48:31.3960 UTC | 2013/06/22 21:35:05.6224 UTC | 56340 |
|
|
|
|
|
Begin |
End | Number Profiles |
|---|---|---|
| 2013/06/22 21:35:05.6720 UTC | 2013/06/22 22:27:24.3333 UTC | 63285 |
|
|
|
|
|
Begin |
End | Number Profiles |
|---|---|---|
| 2013/06/22 22:27:24.3830 UTC | 2013/06/22 23:13:58.6084 UTC | 56340 |
|
|
|
|
|
Begin |
End | Number Profiles |
|---|---|---|
| 2013/06/22 23:13:58.6580 UTC | 2013/06/23 00:06:18.0664 UTC | 63300 |
|
|
|
|
|
























































































































