|
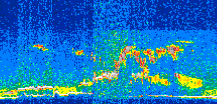
Displayed on this page are scaled, color-modulated, altitude-time images of CALIPSO attenuated backscatter (/km/sr) including:
- 532 nm total (parallel + perpendicular) attenuated backscatter
- 532 nm perpendicular attenuated backscatter
- 1064 nm total attenuated backscatter
The orbit track locations for the entire Level 1 .hdf file are in black and the orbit track locations corresponding to this page are color coded.
For the full scale images:
- the color bars for attenuated backscatter show the colors assigned to ranges of attenuated backscatter, /km/sr
- the horizontal axes are annotated with latitude (deg) and longitude (deg)
- the vertical axes are annotated to indicate altitude in kilometers
- the date and time of the measurements are listed as UTC time
- the names of the CALIPSO data products for the Lidar Level 1 attenuated backscatter granules are included
The scaled images on this page are organized by CALIPSO data product day and night orbit granules.
The maps with a shaded background indicate nightime measurements.
There are a maximum of 4 scaled images per granule.
The orbit tracks plotted on the maps show the measurement locations for each granule.
For each granule, the scaled images are ordered from left to right and their locations along the orbit tracks are color coded as: image one, image two, image three, image four.
Begin |
End | Number Profiles |
|---|---|---|
| 2013/07/21 00:29:56.2640 UTC | 2013/07/21 01:16:30.4914 UTC | 56340 |
|
|
|
|
|
Begin |
End | Number Profiles |
|---|---|---|
| 2013/07/21 01:16:30.5410 UTC | 2013/07/21 02:08:49.2044 UTC | 63285 |
|
|
|
|
|
Begin |
End | Number Profiles |
|---|---|---|
| 2013/07/21 02:08:49.2540 UTC | 2013/07/21 02:55:21.9954 UTC | 56310 |
|
|
|
|
|
Begin |
End | Number Profiles |
|---|---|---|
| 2013/07/21 02:55:22.0450 UTC | 2013/07/21 03:47:42.1963 UTC | 63315 |
|
|
|
|
|
Begin |
End | Number Profiles |
|---|---|---|
| 2013/07/21 03:47:42.2460 UTC | 2013/07/21 04:34:14.9854 UTC | 56310 |
|
|
|
|
|
Begin |
End | Number Profiles |
|---|---|---|
| 2013/07/21 04:34:15.0350 UTC | 2013/07/21 05:26:34.4424 UTC | 63300 |
|
|
|
|
|
Begin |
End | Number Profiles |
|---|---|---|
| 2013/07/21 05:26:34.4920 UTC | 2013/07/21 06:13:07.9734 UTC | 56325 |
|
|
|
|
|
Begin |
End | Number Profiles |
|---|---|---|
| 2013/07/21 06:13:08.0230 UTC | 2013/07/21 07:05:27.4304 UTC | 63300 |
|
|
|
|
|
Begin |
End | Number Profiles |
|---|---|---|
| 2013/07/21 07:05:27.4800 UTC | 2013/07/21 07:52:00.2184 UTC | 56310 |
|
|
|
|
|
Begin |
End | Number Profiles |
|---|---|---|
| 2013/07/21 07:52:00.2680 UTC | 2013/07/21 08:44:20.4204 UTC | 63315 |
|
|
|
|
|
Begin |
End | Number Profiles |
|---|---|---|
| 2013/07/21 08:44:20.4700 UTC | 2013/07/21 09:30:53.2094 UTC | 56310 |
|
|
|
|
|
Begin |
End | Number Profiles |
|---|---|---|
| 2013/07/21 09:30:53.2590 UTC | 2013/07/21 10:23:13.4094 UTC | 63315 |
|
|
|
|
|
Begin |
End | Number Profiles |
|---|---|---|
| 2013/07/21 10:23:13.4590 UTC | 2013/07/21 11:09:46.1974 UTC | 56310 |
|
|
|
|
|
Begin |
End | Number Profiles |
|---|---|---|
| 2013/07/21 11:09:46.2470 UTC | 2013/07/21 12:02:05.6564 UTC | 63300 |
|
|
|
|
|
Begin |
End | Number Profiles |
|---|---|---|
| 2013/07/21 12:02:05.7059 UTC | 2013/07/21 12:48:39.1904 UTC | 56325 |
|
|
|
|
|
Begin |
End | Number Profiles |
|---|---|---|
| 2013/07/21 12:48:39.2400 UTC | 2013/07/21 13:40:58.6504 UTC | 63300 |
|
|
|
|
|
Begin |
End | Number Profiles |
|---|---|---|
| 2013/07/21 13:40:58.7000 UTC | 2013/07/21 14:27:31.4394 UTC | 56310 |
|
|
|
|
|
Begin |
End | Number Profiles |
|---|---|---|
| 2013/07/21 14:27:31.4890 UTC | 2013/07/21 15:19:51.6433 UTC | 63315 |
|
|
|
|
|
Begin |
End | Number Profiles |
|---|---|---|
| 2013/07/21 15:19:51.6930 UTC | 2013/07/21 16:06:24.4313 UTC | 56310 |
|
|
|
|
|
Begin |
End | Number Profiles |
|---|---|---|
| 2013/07/21 16:06:24.4810 UTC | 2013/07/21 16:58:43.1434 UTC | 63285 |
|
|
|
|
|
Begin |
End | Number Profiles |
|---|---|---|
| 2013/07/21 16:58:43.1929 UTC | 2013/07/21 17:45:17.4124 UTC | 56340 |
|
|
|
|
|
Begin |
End | Number Profiles |
|---|---|---|
| 2013/07/21 17:45:17.4620 UTC | 2013/07/21 18:37:36.1224 UTC | 63285 |
|
|
|
|
|
Begin |
End | Number Profiles |
|---|---|---|
| 2013/07/21 18:37:36.1720 UTC | 2013/07/21 19:24:09.6424 UTC | 56325 |
|
|
|
|
|
Begin |
End | Number Profiles |
|---|---|---|
| 2013/07/21 19:24:09.6920 UTC | 2013/07/21 20:16:29.0964 UTC | 63300 |
|
|
|
|
|
Begin |
End | Number Profiles |
|---|---|---|
| 2013/07/21 20:16:29.1460 UTC | 2013/07/21 21:03:02.6174 UTC | 56325 |
|
|
|
|
|
Begin |
End | Number Profiles |
|---|---|---|
| 2013/07/21 21:03:02.6670 UTC | 2013/07/21 21:55:22.0714 UTC | 63300 |
|
|
|
|
|
Begin |
End | Number Profiles |
|---|---|---|
| 2013/07/21 21:55:22.1209 UTC | 2013/07/21 22:41:55.5944 UTC | 56325 |
|
|
|
|
|
Begin |
End | Number Profiles |
|---|---|---|
| 2013/07/21 22:41:55.6440 UTC | 2013/07/21 23:34:14.3064 UTC | 63285 |
|
|
|
|
|
Begin |
End | Number Profiles |
|---|---|---|
| 2013/07/21 23:34:14.3560 UTC | 2013/07/22 00:20:48.5764 UTC | 56340 |
|
|
|
|
|
























































































































