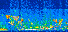
|
Displayed on this page are scaled, color-modulated, altitude-time images of CALIPSO attenuated backscatter (/km/sr) including:
- 532 nm total (parallel + perpendicular) attenuated backscatter
- 532 nm perpendicular attenuated backscatter
- 1064 nm total attenuated backscatter
The orbit track locations for the entire Level 1 .hdf file are in black and the orbit track locations corresponding to this page are color coded.
For the full scale images:
- the color bars for attenuated backscatter show the colors assigned to ranges of attenuated backscatter, /km/sr
- the horizontal axes are annotated with latitude (deg) and longitude (deg)
- the vertical axes are annotated to indicate altitude in kilometers
- the date and time of the measurements are listed as UTC time
- the names of the CALIPSO data products for the Lidar Level 1 attenuated backscatter granules are included
The scaled images on this page are organized by CALIPSO data product day and night orbit granules.
The maps with a shaded background indicate nightime measurements.
There are a maximum of 4 scaled images per granule.
The orbit tracks plotted on the maps show the measurement locations for each granule.
For each granule, the scaled images are ordered from left to right and their locations along the orbit tracks are color coded as: image one, image two, image three, image four.
Begin |
End | Number Profiles |
|---|---|---|
| 2013/07/26 00:48:04.6139 UTC | 2013/07/26 01:34:37.3454 UTC | 56310 |
|
|
|
|
|
Begin |
End | Number Profiles |
|---|---|---|
| 2013/07/26 01:34:37.3950 UTC | 2013/07/26 02:26:57.5464 UTC | 63315 |
|
|
|
|
|
Begin |
End | Number Profiles |
|---|---|---|
| 2013/07/26 02:26:57.5960 UTC | 2013/07/26 03:13:30.3244 UTC | 56310 |
|
|
|
|
|
Begin |
End | Number Profiles |
|---|---|---|
| 2013/07/26 03:13:30.3740 UTC | 2013/07/26 04:05:49.0394 UTC | 63285 |
|
|
|
|
|
Begin |
End | Number Profiles |
|---|---|---|
| 2013/07/26 04:05:49.0890 UTC | 2013/07/26 04:52:22.5634 UTC | 56325 |
|
|
|
|
|
Begin |
End | Number Profiles |
|---|---|---|
| 2013/07/26 04:52:22.6119 UTC | 2013/07/26 05:44:42.0213 UTC | 63300 |
|
|
|
|
|
Begin |
End | Number Profiles |
|---|---|---|
| 2013/07/26 05:44:42.0710 UTC | 2013/07/26 06:31:15.5464 UTC | 56325 |
|
|
|
|
|
Begin |
End | Number Profiles |
|---|---|---|
| 2013/07/26 06:31:15.5950 UTC | 2013/07/26 07:23:35.0044 UTC | 63300 |
|
|
|
|
|
Begin |
End | Number Profiles |
|---|---|---|
| 2013/07/26 07:23:35.0540 UTC | 2013/07/26 08:10:08.5294 UTC | 56325 |
|
|
|
|
|
Begin |
End | Number Profiles |
|---|---|---|
| 2013/07/26 08:10:08.5780 UTC | 2013/07/26 09:02:27.2434 UTC | 63285 |
|
|
|
|
|
Begin |
End | Number Profiles |
|---|---|---|
| 2013/07/26 09:02:27.2930 UTC | 2013/07/26 09:49:00.0244 UTC | 56310 |
|
|
|
|
|
Begin |
End | Number Profiles |
|---|---|---|
| 2013/07/26 09:49:00.0740 UTC | 2013/07/26 10:41:20.2264 UTC | 63315 |
|
|
|
|
|
Begin |
End | Number Profiles |
|---|---|---|
| 2013/07/26 10:41:20.2760 UTC | 2013/07/26 11:27:53.0084 UTC | 56310 |
|
|
|
|
|
Begin |
End | Number Profiles |
|---|---|---|
| 2013/07/26 11:27:53.0580 UTC | 2013/07/26 12:20:13.2114 UTC | 63315 |
|
|
|
|
|
Begin |
End | Number Profiles |
|---|---|---|
| 2013/07/26 12:20:13.2610 UTC | 2013/07/26 13:06:45.9914 UTC | 56310 |
|
|
|
|
|
Begin |
End | Number Profiles |
|---|---|---|
| 2013/07/26 13:06:46.0410 UTC | 2013/07/26 13:59:05.4494 UTC | 63300 |
|
|
|
|
|
Begin |
End | Number Profiles |
|---|---|---|
| 2013/07/26 13:59:05.4990 UTC | 2013/07/26 14:45:38.2294 UTC | 56310 |
|
|
|
|
|
Begin |
End | Number Profiles |
|---|---|---|
| 2013/07/26 14:45:38.2790 UTC | 2013/07/26 15:37:58.4324 UTC | 63315 |
|
|
|
|
|
Begin |
End | Number Profiles |
|---|---|---|
| 2013/07/26 15:37:58.4820 UTC | 2013/07/26 16:24:31.2133 UTC | 56310 |
|
|
|
|
|
Begin |
End | Number Profiles |
|---|---|---|
| 2013/07/26 16:24:31.2629 UTC | 2013/07/26 17:16:51.4133 UTC | 63315 |
|
|
|
|
|
Begin |
End | Number Profiles |
|---|---|---|
| 2013/07/26 17:16:51.4630 UTC | 2013/07/26 18:03:24.1914 UTC | 56310 |
|
|
|
|
|
Begin |
End | Number Profiles |
|---|---|---|
| 2013/07/26 18:03:24.2410 UTC | 2013/07/26 18:55:43.6463 UTC | 63300 |
|
|
|
|
|
Begin |
End | Number Profiles |
|---|---|---|
| 2013/07/26 18:55:43.6960 UTC | 2013/07/26 19:42:16.4214 UTC | 56310 |
|
|
|
|
|
Begin |
End | Number Profiles |
|---|---|---|
| 2013/07/26 19:42:16.4710 UTC | 2013/07/26 20:34:36.6194 UTC | 63315 |
|
|
|
|
|
Begin |
End | Number Profiles |
|---|---|---|
| 2013/07/26 20:34:36.6690 UTC | 2013/07/26 21:21:09.3944 UTC | 56310 |
|
|
|
|
|
Begin |
End | Number Profiles |
|---|---|---|
| 2013/07/26 21:21:09.4440 UTC | 2013/07/26 22:13:29.5914 UTC | 63315 |
|
|
|
|
|
Begin |
End | Number Profiles |
|---|---|---|
| 2013/07/26 22:13:29.6410 UTC | 2013/07/26 23:00:02.3654 UTC | 56310 |
|
|
|
|
|
Begin |
End | Number Profiles |
|---|---|---|
| 2013/07/26 23:00:02.4150 UTC | 2013/07/26 23:52:21.0764 UTC | 63285 |
|
|
|
|
|
Begin |
End | Number Profiles |
|---|---|---|
| 2013/07/26 23:52:21.1260 UTC | 2013/07/27 00:38:54.5993 UTC | 56325 |
|
|
|
|
|
























































































































