|
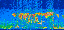
Displayed on this page are scaled, color-modulated, altitude-time images of CALIPSO attenuated backscatter (/km/sr) including:
- 532 nm total (parallel + perpendicular) attenuated backscatter
- 532 nm perpendicular attenuated backscatter
- 1064 nm total attenuated backscatter
The orbit track locations for the entire Level 1 .hdf file are in black and the orbit track locations corresponding to this page are color coded.
For the full scale images:
- the color bars for attenuated backscatter show the colors assigned to ranges of attenuated backscatter, /km/sr
- the horizontal axes are annotated with latitude (deg) and longitude (deg)
- the vertical axes are annotated to indicate altitude in kilometers
- the date and time of the measurements are listed as UTC time
- the names of the CALIPSO data products for the Lidar Level 1 attenuated backscatter granules are included
The scaled images on this page are organized by CALIPSO data product day and night orbit granules.
The maps with a shaded background indicate nightime measurements.
There are a maximum of 4 scaled images per granule.
The orbit tracks plotted on the maps show the measurement locations for each granule.
For each granule, the scaled images are ordered from left to right and their locations along the orbit tracks are color coded as: image one, image two, image three, image four.
Begin |
End | Number Profiles |
|---|---|---|
| 2013/07/28 00:35:32.1180 UTC | 2013/07/28 01:22:04.1064 UTC | 56295 |
|
|
|
|
|
Begin |
End | Number Profiles |
|---|---|---|
| 2013/07/28 01:22:04.1560 UTC | 2013/07/28 02:14:24.3093 UTC | 63315 |
|
|
|
|
|
Begin |
End | Number Profiles |
|---|---|---|
| 2013/07/28 02:14:24.3589 UTC | 2013/07/28 03:00:57.0904 UTC | 56310 |
|
|
|
|
|
Begin |
End | Number Profiles |
|---|---|---|
| 2013/07/28 03:00:57.1400 UTC | 2013/07/28 03:53:17.2924 UTC | 63315 |
|
|
|
|
|
Begin |
End | Number Profiles |
|---|---|---|
| 2013/07/28 03:53:17.3420 UTC | 2013/07/28 04:39:50.0724 UTC | 56310 |
|
|
|
|
|
Begin |
End | Number Profiles |
|---|---|---|
| 2013/07/28 04:39:50.1220 UTC | 2013/07/28 05:32:09.5314 UTC | 63300 |
|
|
|
|
|
Begin |
End | Number Profiles |
|---|---|---|
| 2013/07/28 05:32:09.5810 UTC | 2013/07/28 06:18:42.3174 UTC | 56310 |
|
|
|
|
|
Begin |
End | Number Profiles |
|---|---|---|
| 2013/07/28 06:18:42.3670 UTC | 2013/07/28 07:11:02.5214 UTC | 63315 |
|
|
|
|
|
Begin |
End | Number Profiles |
|---|---|---|
| 2013/07/28 07:11:02.5710 UTC | 2013/07/28 07:57:35.3084 UTC | 56310 |
|
|
|
|
|
Begin |
End | Number Profiles |
|---|---|---|
| 2013/07/28 07:57:35.3580 UTC | 2013/07/28 08:49:55.5144 UTC | 63315 |
|
|
|
|
|
Begin |
End | Number Profiles |
|---|---|---|
| 2013/07/28 08:49:55.5639 UTC | 2013/07/28 09:36:28.3034 UTC | 56310 |
|
|
|
|
|
Begin |
End | Number Profiles |
|---|---|---|
| 2013/07/28 09:36:28.3530 UTC | 2013/07/28 10:28:48.5074 UTC | 63315 |
|
|
|
|
|
Begin |
End | Number Profiles |
|---|---|---|
| 2013/07/28 10:28:48.5570 UTC | 2013/07/28 11:15:20.5524 UTC | 56295 |
|
|
|
|
|
Begin |
End | Number Profiles |
|---|---|---|
| 2013/07/28 11:15:20.6020 UTC | 2013/07/28 12:07:40.0144 UTC | 63300 |
|
|
|
|
|
Begin |
End | Number Profiles |
|---|---|---|
| 2013/07/28 12:07:40.0640 UTC | 2013/07/28 12:54:13.5474 UTC | 56325 |
|
|
|
|
|
Begin |
End | Number Profiles |
|---|---|---|
| 2013/07/28 12:54:13.5970 UTC | 2013/07/28 13:46:33.0094 UTC | 63300 |
|
|
|
|
|
Begin |
End | Number Profiles |
|---|---|---|
| 2013/07/28 13:46:33.0590 UTC | 2013/07/28 14:33:06.5414 UTC | 56325 |
|
|
|
|
|
Begin |
End | Number Profiles |
|---|---|---|
| 2013/07/28 14:33:06.5910 UTC | 2013/07/28 15:25:26.0024 UTC | 63300 |
|
|
|
|
|
Begin |
End | Number Profiles |
|---|---|---|
| 2013/07/28 15:25:26.0520 UTC | 2013/07/28 16:11:58.0384 UTC | 56295 |
|
|
|
|
|
Begin |
End | Number Profiles |
|---|---|---|
| 2013/07/28 16:11:58.0880 UTC | 2013/07/28 17:04:18.2394 UTC | 63315 |
|
|
|
|
|
Begin |
End | Number Profiles |
|---|---|---|
| 2013/07/28 17:04:18.2890 UTC | 2013/07/28 17:50:51.0154 UTC | 56310 |
|
|
|
|
|
Begin |
End | Number Profiles |
|---|---|---|
| 2013/07/28 17:50:51.0650 UTC | 2013/07/28 18:43:11.2154 UTC | 63315 |
|
|
|
|
|
Begin |
End | Number Profiles |
|---|---|---|
| 2013/07/28 18:43:11.2650 UTC | 2013/07/28 19:29:43.2454 UTC | 56295 |
|
|
|
|
|
Begin |
End | Number Profiles |
|---|---|---|
| 2013/07/28 19:29:43.2950 UTC | 2013/07/28 20:22:03.4454 UTC | 63315 |
|
|
|
|
|
Begin |
End | Number Profiles |
|---|---|---|
| 2013/07/28 20:22:03.4950 UTC | 2013/07/28 21:08:36.2194 UTC | 56310 |
|
|
|
|
|
Begin |
End | Number Profiles |
|---|---|---|
| 2013/07/28 21:08:36.2690 UTC | 2013/07/28 22:00:56.4194 UTC | 63315 |
|
|
|
|
|
Begin |
End | Number Profiles |
|---|---|---|
| 2013/07/28 22:00:56.4690 UTC | 2013/07/28 22:47:29.1944 UTC | 56310 |
|
|
|
|
|
Begin |
End | Number Profiles |
|---|---|---|
| 2013/07/28 22:47:29.2440 UTC | 2013/07/28 23:39:49.3964 UTC | 63315 |
|
|
|
|
|
Begin |
End | Number Profiles |
|---|---|---|
| 2013/07/28 23:39:49.4460 UTC | 2013/07/29 00:26:22.1764 UTC | 56310 |
|
|
|
|
|
























































































































