|
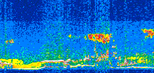
Displayed on this page are scaled, color-modulated, altitude-time images of CALIPSO attenuated backscatter (/km/sr) including:
- 532 nm total (parallel + perpendicular) attenuated backscatter
- 532 nm perpendicular attenuated backscatter
- 1064 nm total attenuated backscatter
The orbit track locations for the entire Level 1 .hdf file are in black and the orbit track locations corresponding to this page are color coded.
For the full scale images:
- the color bars for attenuated backscatter show the colors assigned to ranges of attenuated backscatter, /km/sr
- the horizontal axes are annotated with latitude (deg) and longitude (deg)
- the vertical axes are annotated to indicate altitude in kilometers
- the date and time of the measurements are listed as UTC time
- the names of the CALIPSO data products for the Lidar Level 1 attenuated backscatter granules are included
The scaled images on this page are organized by CALIPSO data product day and night orbit granules.
The maps with a shaded background indicate nightime measurements.
There are a maximum of 4 scaled images per granule.
The orbit tracks plotted on the maps show the measurement locations for each granule.
For each granule, the scaled images are ordered from left to right and their locations along the orbit tracks are color coded as: image one, image two, image three, image four.
Begin |
End | Number Profiles |
|---|---|---|
| 2013/08/22 00:27:43.2160 UTC | 2013/08/22 01:14:12.2294 UTC | 56235 |
|
|
|
|
|
Begin |
End | Number Profiles |
|---|---|---|
| 2013/08/22 01:14:12.2790 UTC | 2013/08/22 02:06:35.4274 UTC | 63375 |
|
|
|
|
|
Begin |
End | Number Profiles |
|---|---|---|
| 2013/08/22 02:06:35.4770 UTC | 2013/08/22 02:53:04.4884 UTC | 56235 |
|
|
|
|
|
Begin |
End | Number Profiles |
|---|---|---|
| 2013/08/22 02:53:04.5380 UTC | 2013/08/22 03:33:24.5494 UTC | 48795 |
|
|
|
|
|
Begin |
End | Number Profiles |
|---|---|---|
| 2013/08/22 04:30:07.4369 UTC | 2013/08/22 04:31:57.4894 UTC | 2220 |
|
|
|
|
|
|
Begin |
End | Number Profiles |
|---|---|---|
| 2013/08/22 04:31:57.5390 UTC | 2013/08/22 05:24:21.4294 UTC | 63390 |
|
|
|
|
|
Begin |
End | Number Profiles |
|---|---|---|
| 2013/08/22 05:24:21.4790 UTC | 2013/08/22 06:10:49.0004 UTC | 56205 |
|
|
|
|
|
Begin |
End | Number Profiles |
|---|---|---|
| 2013/08/22 06:10:49.0500 UTC | 2013/08/22 07:03:13.6864 UTC | 63405 |
|
|
|
|
|
Begin |
End | Number Profiles |
|---|---|---|
| 2013/08/22 07:03:13.7359 UTC | 2013/08/22 07:49:42.0033 UTC | 56220 |
|
|
|
|
|
Begin |
End | Number Profiles |
|---|---|---|
| 2013/08/22 07:49:42.0530 UTC | 2013/08/22 08:42:06.6883 UTC | 63405 |
|
|
|
|
|
Begin |
End | Number Profiles |
|---|---|---|
| 2013/08/22 08:42:06.7380 UTC | 2013/08/22 09:28:35.0064 UTC | 56220 |
|
|
|
|
|
Begin |
End | Number Profiles |
|---|---|---|
| 2013/08/22 09:28:35.0560 UTC | 2013/08/22 10:20:59.6914 UTC | 63405 |
|
|
|
|
|
Begin |
End | Number Profiles |
|---|---|---|
| 2013/08/22 10:20:59.7410 UTC | 2013/08/22 11:07:28.0064 UTC | 56220 |
|
|
|
|
|
Begin |
End | Number Profiles |
|---|---|---|
| 2013/08/22 11:07:28.0559 UTC | 2013/08/22 11:59:52.6914 UTC | 63405 |
|
|
|
|
|
Begin |
End | Number Profiles |
|---|---|---|
| 2013/08/22 11:59:52.7409 UTC | 2013/08/22 12:46:20.2634 UTC | 56205 |
|
|
|
|
|
Begin |
End | Number Profiles |
|---|---|---|
| 2013/08/22 12:46:20.3130 UTC | 2013/08/22 13:38:44.2064 UTC | 63390 |
|
|
|
|
|
Begin |
End | Number Profiles |
|---|---|---|
| 2013/08/22 13:38:44.2560 UTC | 2013/08/22 14:25:13.2644 UTC | 56235 |
|
|
|
|
|
Begin |
End | Number Profiles |
|---|---|---|
| 2013/08/22 14:25:13.3140 UTC | 2013/08/22 15:17:37.2074 UTC | 63390 |
|
|
|
|
|
Begin |
End | Number Profiles |
|---|---|---|
| 2013/08/22 15:17:37.2570 UTC | 2013/08/22 16:04:06.2644 UTC | 56235 |
|
|
|
|
|
Begin |
End | Number Profiles |
|---|---|---|
| 2013/08/22 16:04:06.3140 UTC | 2013/08/22 16:56:30.2044 UTC | 63390 |
|
|
|
|
|
Begin |
End | Number Profiles |
|---|---|---|
| 2013/08/22 16:56:30.2540 UTC | 2013/08/22 17:42:58.5164 UTC | 56220 |
|
|
|
|
|
Begin |
End | Number Profiles |
|---|---|---|
| 2013/08/22 17:42:58.5660 UTC | 2013/08/22 18:35:22.4554 UTC | 63390 |
|
|
|
|
|
Begin |
End | Number Profiles |
|---|---|---|
| 2013/08/22 18:35:22.5049 UTC | 2013/08/22 19:21:51.5074 UTC | 56235 |
|
|
|
|
|
Begin |
End | Number Profiles |
|---|---|---|
| 2013/08/22 19:21:51.5570 UTC | 2013/08/22 20:14:15.4454 UTC | 63390 |
|
|
|
|
|
Begin |
End | Number Profiles |
|---|---|---|
| 2013/08/22 20:14:15.4950 UTC | 2013/08/22 21:00:44.4964 UTC | 56235 |
|
|
|
|
|
Begin |
End | Number Profiles |
|---|---|---|
| 2013/08/22 21:00:44.5460 UTC | 2013/08/22 21:53:08.4344 UTC | 47790 |
|
|
|
|
|
Begin |
End | Number Profiles |
|---|---|---|
| 2013/08/22 21:53:08.4840 UTC | 2013/08/22 22:39:37.4914 UTC | 56235 |
|
|
|
|
|
Begin |
End | Number Profiles |
|---|---|---|
| 2013/08/22 22:39:37.5410 UTC | 2013/08/22 23:32:00.6874 UTC | 63375 |
|
|
|
|
|
Begin |
End | Number Profiles |
|---|---|---|
| 2013/08/22 23:32:00.7370 UTC | 2013/08/23 00:18:29.0034 UTC | 56220 |
|
|
|
|
|




















































































































