|
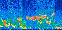
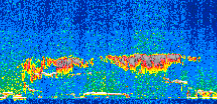
Displayed on this page are scaled, color-modulated, altitude-time images of CALIPSO attenuated backscatter (/km/sr) including:
- 532 nm total (parallel + perpendicular) attenuated backscatter
- 532 nm perpendicular attenuated backscatter
- 1064 nm total attenuated backscatter
The orbit track locations for the entire Level 1 .hdf file are in black and the orbit track locations corresponding to this page are color coded.
For the full scale images:
- the color bars for attenuated backscatter show the colors assigned to ranges of attenuated backscatter, /km/sr
- the horizontal axes are annotated with latitude (deg) and longitude (deg)
- the vertical axes are annotated to indicate altitude in kilometers
- the date and time of the measurements are listed as UTC time
- the names of the CALIPSO data products for the Lidar Level 1 attenuated backscatter granules are included
The scaled images on this page are organized by CALIPSO data product day and night orbit granules.
The maps with a shaded background indicate nightime measurements.
There are a maximum of 4 scaled images per granule.
The orbit tracks plotted on the maps show the measurement locations for each granule.
For each granule, the scaled images are ordered from left to right and their locations along the orbit tracks are color coded as: image one, image two, image three, image four.
Begin |
End | Number Profiles |
|---|---|---|
| 2013/12/04 00:14:10.2810 UTC | 2013/12/04 01:06:47.6404 UTC | 63660 |
|
|
|
|
|
Begin |
End | Number Profiles |
|---|---|---|
| 2013/12/04 01:06:47.6900 UTC | 2013/12/04 01:53:03.3564 UTC | 55965 |
|
|
|
|
|
Begin |
End | Number Profiles |
|---|---|---|
| 2013/12/04 01:53:03.4060 UTC | 2013/12/04 02:45:40.0243 UTC | 63645 |
|
|
|
|
|
Begin |
End | Number Profiles |
|---|---|---|
| 2013/12/04 02:45:40.0739 UTC | 2013/12/04 03:31:56.4854 UTC | 55980 |
|
|
|
|
|
Begin |
End | Number Profiles |
|---|---|---|
| 2013/12/04 03:31:56.5350 UTC | 2013/12/04 04:24:33.1544 UTC | 63645 |
|
|
|
|
|
Begin |
End | Number Profiles |
|---|---|---|
| 2013/12/04 04:24:33.2040 UTC | 2013/12/04 05:10:49.6183 UTC | 55980 |
|
|
|
|
|
Begin |
End | Number Profiles |
|---|---|---|
| 2013/12/04 05:10:49.6679 UTC | 2013/12/04 06:03:26.2894 UTC | 63645 |
|
|
|
|
|
Begin |
End | Number Profiles |
|---|---|---|
| 2013/12/04 06:03:26.3390 UTC | 2013/12/04 06:49:42.0184 UTC | 55965 |
|
|
|
|
|
Begin |
End | Number Profiles |
|---|---|---|
| 2013/12/04 06:49:42.0680 UTC | 2013/12/04 07:42:19.4354 UTC | 63660 |
|
|
|
|
|
Begin |
End | Number Profiles |
|---|---|---|
| 2013/12/04 07:42:19.4850 UTC | 2013/12/04 08:28:35.1704 UTC | 55965 |
|
|
|
|
|
Begin |
End | Number Profiles |
|---|---|---|
| 2013/12/04 08:28:35.2200 UTC | 2013/12/04 09:21:13.3314 UTC | 63675 |
|
|
|
|
|
Begin |
End | Number Profiles |
|---|---|---|
| 2013/12/04 09:21:13.3810 UTC | 2013/12/04 10:07:28.3214 UTC | 55950 |
|
|
|
|
|
Begin |
End | Number Profiles |
|---|---|---|
| 2013/12/04 10:07:28.3710 UTC | 2013/12/04 11:00:06.4814 UTC | 63675 |
|
|
|
|
|
Begin |
End | Number Profiles |
|---|---|---|
| 2013/12/04 11:00:06.5310 UTC | 2013/12/04 11:46:21.4774 UTC | 55950 |
|
|
|
|
|
Begin |
End | Number Profiles |
|---|---|---|
| 2013/12/04 11:46:21.5270 UTC | 2013/12/04 12:38:59.6414 UTC | 63675 |
|
|
|
|
|
Begin |
End | Number Profiles |
|---|---|---|
| 2013/12/04 12:38:59.6910 UTC | 2013/12/04 13:25:14.6434 UTC | 55950 |
|
|
|
|
|
Begin |
End | Number Profiles |
|---|---|---|
| 2013/12/04 13:25:14.6930 UTC | 2013/12/04 14:17:52.0664 UTC | 63660 |
|
|
|
|
|
Begin |
End | Number Profiles |
|---|---|---|
| 2013/12/04 14:17:52.1160 UTC | 2013/12/04 15:04:07.0773 UTC | 55950 |
|
|
|
|
|
Begin |
End | Number Profiles |
|---|---|---|
| 2013/12/04 15:04:07.1269 UTC | 2013/12/04 15:56:45.2443 UTC | 63675 |
|
|
|
|
|
Begin |
End | Number Profiles |
|---|---|---|
| 2013/12/04 15:56:45.2939 UTC | 2013/12/04 16:43:00.2484 UTC | 55950 |
|
|
|
|
|
Begin |
End | Number Profiles |
|---|---|---|
| 2013/12/04 16:43:00.2980 UTC | 2013/12/04 17:35:38.4154 UTC | 63675 |
|
|
|
|
|
Begin |
End | Number Profiles |
|---|---|---|
| 2013/12/04 17:35:38.4650 UTC | 2013/12/04 18:21:53.4204 UTC | 55950 |
|
|
|
|
|
Begin |
End | Number Profiles |
|---|---|---|
| 2013/12/04 18:21:53.4700 UTC | 2013/12/04 19:14:30.0994 UTC | 63645 |
|
|
|
|
|
Begin |
End | Number Profiles |
|---|---|---|
| 2013/12/04 19:14:30.1490 UTC | 2013/12/04 20:00:46.5894 UTC | 55980 |
|
|
|
|
|
Begin |
End | Number Profiles |
|---|---|---|
| 2013/12/04 20:00:46.6390 UTC | 2013/12/04 20:53:24.0104 UTC | 63660 |
|
|
|
|
|
Begin |
End | Number Profiles |
|---|---|---|
| 2013/12/04 20:53:24.0600 UTC | 2013/12/04 21:39:39.0184 UTC | 55950 |
|
|
|
|
|
Begin |
End | Number Profiles |
|---|---|---|
| 2013/12/04 21:39:39.0680 UTC | 2013/12/04 22:32:17.1833 UTC | 63675 |
|
|
|
|
|
Begin |
End | Number Profiles |
|---|---|---|
| 2013/12/04 22:32:17.2329 UTC | 2013/12/04 23:18:32.1904 UTC | 55950 |
|
|
|
|
|
Begin |
End | Number Profiles |
|---|---|---|
| 2013/12/04 23:18:32.2400 UTC | 2013/12/05 00:11:10.3564 UTC | 63675 |
|
|
|
|
|
























































































































