|
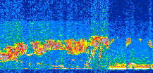
Displayed on this page are scaled, color-modulated, altitude-time images of CALIPSO attenuated backscatter (/km/sr) including:
- 532 nm total (parallel + perpendicular) attenuated backscatter
- 532 nm perpendicular attenuated backscatter
- 1064 nm total attenuated backscatter
The orbit track locations for the entire Level 1 .hdf file are in black and the orbit track locations corresponding to this page are color coded.
For the full scale images:
- the color bars for attenuated backscatter show the colors assigned to ranges of attenuated backscatter, /km/sr
- the horizontal axes are annotated with latitude (deg) and longitude (deg)
- the vertical axes are annotated to indicate altitude in kilometers
- the date and time of the measurements are listed as UTC time
- the names of the CALIPSO data products for the Lidar Level 1 attenuated backscatter granules are included
The scaled images on this page are organized by CALIPSO data product day and night orbit granules.
The maps with a shaded background indicate nightime measurements.
There are a maximum of 4 scaled images per granule.
The orbit tracks plotted on the maps show the measurement locations for each granule.
For each granule, the scaled images are ordered from left to right and their locations along the orbit tracks are color coded as: image one, image two, image three, image four.
Begin |
End | Number Profiles |
|---|---|---|
| 2014/02/11 00:35:39.0709 UTC | 2014/02/11 01:28:07.4783 UTC | 63480 |
|
|
|
|
|
Begin |
End | Number Profiles |
|---|---|---|
| 2014/02/11 01:28:07.5279 UTC | 2014/02/11 02:14:32.1564 UTC | 56145 |
|
|
|
|
|
Begin |
End | Number Profiles |
|---|---|---|
| 2014/02/11 02:14:32.2060 UTC | 2014/02/11 03:07:00.6174 UTC | 63480 |
|
|
|
|
|
Begin |
End | Number Profiles |
|---|---|---|
| 2014/02/11 03:07:00.6670 UTC | 2014/02/11 03:53:26.0474 UTC | 56160 |
|
|
|
|
|
Begin |
End | Number Profiles |
|---|---|---|
| 2014/02/11 03:53:26.0970 UTC | 2014/02/11 04:45:53.0244 UTC | 63450 |
|
|
|
|
|
Begin |
End | Number Profiles |
|---|---|---|
| 2014/02/11 04:45:53.0740 UTC | 2014/02/11 05:32:19.1994 UTC | 56175 |
|
|
|
|
|
Begin |
End | Number Profiles |
|---|---|---|
| 2014/02/11 05:32:19.2490 UTC | 2014/02/11 06:24:47.6624 UTC | 63480 |
|
|
|
|
|
Begin |
End | Number Profiles |
|---|---|---|
| 2014/02/11 06:24:47.7119 UTC | 2014/02/11 07:11:12.3524 UTC | 56145 |
|
|
|
|
|
Begin |
End | Number Profiles |
|---|---|---|
| 2014/02/11 07:11:12.4020 UTC | 2014/02/11 08:03:40.0734 UTC | 63465 |
|
|
|
|
|
Begin |
End | Number Profiles |
|---|---|---|
| 2014/02/11 08:03:40.1230 UTC | 2014/02/11 08:50:06.2514 UTC | 56175 |
|
|
|
|
|
Begin |
End | Number Profiles |
|---|---|---|
| 2014/02/11 08:50:06.3010 UTC | 2014/02/11 09:42:33.2293 UTC | 63450 |
|
|
|
|
|
Begin |
End | Number Profiles |
|---|---|---|
| 2014/02/11 09:42:33.2789 UTC | 2014/02/11 10:28:59.4063 UTC | 56175 |
|
|
|
|
|
Begin |
End | Number Profiles |
|---|---|---|
| 2014/02/11 10:28:59.4559 UTC | 2014/02/11 11:21:27.1264 UTC | 63465 |
|
|
|
|
|
Begin |
End | Number Profiles |
|---|---|---|
| 2014/02/11 11:21:27.1760 UTC | 2014/02/11 12:07:52.5614 UTC | 56160 |
|
|
|
|
|
Begin |
End | Number Profiles |
|---|---|---|
| 2014/02/11 12:07:52.6110 UTC | 2014/02/11 13:00:20.2824 UTC | 63465 |
|
|
|
|
|
Begin |
End | Number Profiles |
|---|---|---|
| 2014/02/11 13:00:20.3320 UTC | 2014/02/11 13:46:46.4623 UTC | 56175 |
|
|
|
|
|
Begin |
End | Number Profiles |
|---|---|---|
| 2014/02/11 13:46:46.5119 UTC | 2014/02/11 14:39:13.4424 UTC | 63450 |
|
|
|
|
|
Begin |
End | Number Profiles |
|---|---|---|
| 2014/02/11 14:39:13.4920 UTC | 2014/02/11 15:25:39.6234 UTC | 56175 |
|
|
|
|
|
Begin |
End | Number Profiles |
|---|---|---|
| 2014/02/11 15:25:39.6730 UTC | 2014/02/11 16:18:07.3464 UTC | 63465 |
|
|
|
|
|
Begin |
End | Number Profiles |
|---|---|---|
| 2014/02/11 16:18:07.3960 UTC | 2014/02/11 17:04:32.0334 UTC | 56145 |
|
|
|
|
|
Begin |
End | Number Profiles |
|---|---|---|
| 2014/02/11 17:04:32.0830 UTC | 2014/02/11 17:57:00.4944 UTC | 63480 |
|
|
|
|
|
Begin |
End | Number Profiles |
|---|---|---|
| 2014/02/11 17:57:00.5440 UTC | 2014/02/11 18:43:25.1784 UTC | 56145 |
|
|
|
|
|
Begin |
End | Number Profiles |
|---|---|---|
| 2014/02/11 18:43:25.2280 UTC | 2014/02/11 19:35:53.6393 UTC | 63480 |
|
|
|
|
|
Begin |
End | Number Profiles |
|---|---|---|
| 2014/02/11 19:35:53.6889 UTC | 2014/02/11 20:22:19.0664 UTC | 56160 |
|
|
|
|
|
Begin |
End | Number Profiles |
|---|---|---|
| 2014/02/11 20:22:19.1160 UTC | 2014/02/11 21:14:46.0373 UTC | 63450 |
|
|
|
|
|
Begin |
End | Number Profiles |
|---|---|---|
| 2014/02/11 21:14:46.0869 UTC | 2014/02/11 22:01:12.2054 UTC | 56175 |
|
|
|
|
|
Begin |
End | Number Profiles |
|---|---|---|
| 2014/02/11 22:01:12.2550 UTC | 2014/02/11 22:53:40.6633 UTC | 63480 |
|
|
|
|
|
Begin |
End | Number Profiles |
|---|---|---|
| 2014/02/11 22:53:40.7129 UTC | 2014/02/11 23:40:05.3424 UTC | 56145 |
|
|
|
|
|
Begin |
End | Number Profiles |
|---|---|---|
| 2014/02/11 23:40:05.3920 UTC | 2014/02/12 00:32:33.0564 UTC | 63465 |
|
|
|
|
|
























































































































