|
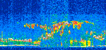
Displayed on this page are scaled, color-modulated, altitude-time images of CALIPSO attenuated backscatter (/km/sr) including:
- 532 nm total (parallel + perpendicular) attenuated backscatter
- 532 nm perpendicular attenuated backscatter
- 1064 nm total attenuated backscatter
The orbit track locations for the entire Level 1 .hdf file are in black and the orbit track locations corresponding to this page are color coded.
For the full scale images:
- the color bars for attenuated backscatter show the colors assigned to ranges of attenuated backscatter, /km/sr
- the horizontal axes are annotated with latitude (deg) and longitude (deg)
- the vertical axes are annotated to indicate altitude in kilometers
- the date and time of the measurements are listed as UTC time
- the names of the CALIPSO data products for the Lidar Level 1 attenuated backscatter granules are included
The scaled images on this page are organized by CALIPSO data product day and night orbit granules.
The maps with a shaded background indicate nightime measurements.
There are a maximum of 4 scaled images per granule.
The orbit tracks plotted on the maps show the measurement locations for each granule.
For each granule, the scaled images are ordered from left to right and their locations along the orbit tracks are color coded as: image one, image two, image three, image four.
Begin |
End | Number Profiles |
|---|---|---|
| 2014/05/11 00:39:28.4150 UTC | 2014/05/11 01:31:51.5724 UTC | 63375 |
|
|
|
|
|
Begin |
End | Number Profiles |
|---|---|---|
| 2014/05/11 01:31:51.6220 UTC | 2014/05/11 02:18:21.4094 UTC | 56250 |
|
|
|
|
|
Begin |
End | Number Profiles |
|---|---|---|
| 2014/05/11 02:18:21.4590 UTC | 2014/05/11 03:10:45.3604 UTC | 63390 |
|
|
|
|
|
Begin |
End | Number Profiles |
|---|---|---|
| 2014/05/11 03:10:45.4100 UTC | 2014/05/11 03:57:14.4503 UTC | 56235 |
|
|
|
|
|
Begin |
End | Number Profiles |
|---|---|---|
| 2014/05/11 03:57:14.4999 UTC | 2014/05/11 04:49:38.4014 UTC | 63390 |
|
|
|
|
|
Begin |
End | Number Profiles |
|---|---|---|
| 2014/05/11 04:49:38.4510 UTC | 2014/05/11 05:36:08.2364 UTC | 56250 |
|
|
|
|
|
Begin |
End | Number Profiles |
|---|---|---|
| 2014/05/11 05:36:08.2859 UTC | 2014/05/11 06:28:31.4414 UTC | 63375 |
|
|
|
|
|
Begin |
End | Number Profiles |
|---|---|---|
| 2014/05/11 06:28:31.4910 UTC | 2014/05/11 07:15:01.2744 UTC | 56250 |
|
|
|
|
|
Begin |
End | Number Profiles |
|---|---|---|
| 2014/05/11 07:15:01.3240 UTC | 2014/05/11 08:07:25.2224 UTC | 63390 |
|
|
|
|
|
Begin |
End | Number Profiles |
|---|---|---|
| 2014/05/11 08:07:25.2720 UTC | 2014/05/11 08:53:54.3114 UTC | 56235 |
|
|
|
|
|
Begin |
End | Number Profiles |
|---|---|---|
| 2014/05/11 08:53:54.3610 UTC | 2014/05/11 09:46:18.2604 UTC | 63390 |
|
|
|
|
|
Begin |
End | Number Profiles |
|---|---|---|
| 2014/05/11 09:46:18.3100 UTC | 2014/05/11 10:32:48.0923 UTC | 56250 |
|
|
|
|
|
Begin |
End | Number Profiles |
|---|---|---|
| 2014/05/11 10:32:48.1419 UTC | 2014/05/11 11:25:11.2983 UTC | 63375 |
|
|
|
|
|
Begin |
End | Number Profiles |
|---|---|---|
| 2014/05/11 11:25:11.3479 UTC | 2014/05/11 12:11:41.1304 UTC | 56250 |
|
|
|
|
|
Begin |
End | Number Profiles |
|---|---|---|
| 2014/05/11 12:11:41.1800 UTC | 2014/05/11 13:04:05.0824 UTC | 63390 |
|
|
|
|
|
Begin |
End | Number Profiles |
|---|---|---|
| 2014/05/11 13:04:05.1320 UTC | 2014/05/11 13:50:35.6584 UTC | 56265 |
|
|
|
|
|
Begin |
End | Number Profiles |
|---|---|---|
| 2014/05/11 13:50:35.7080 UTC | 2014/05/11 14:42:58.1214 UTC | 63360 |
|
|
|
|
|
Begin |
End | Number Profiles |
|---|---|---|
| 2014/05/11 14:42:58.1710 UTC | 2014/05/11 15:29:27.9554 UTC | 56250 |
|
|
|
|
|
Begin |
End | Number Profiles |
|---|---|---|
| 2014/05/11 15:29:28.0050 UTC | 2014/05/11 16:21:51.1624 UTC | 63375 |
|
|
|
|
|
Begin |
End | Number Profiles |
|---|---|---|
| 2014/05/11 16:21:51.2120 UTC | 2014/05/11 17:08:20.9943 UTC | 56250 |
|
|
|
|
|
Begin |
End | Number Profiles |
|---|---|---|
| 2014/05/11 17:08:21.0439 UTC | 2014/05/11 18:00:45.6883 UTC | 63405 |
|
|
|
|
|
Begin |
End | Number Profiles |
|---|---|---|
| 2014/05/11 18:00:45.7379 UTC | 2014/05/11 18:47:14.0313 UTC | 56220 |
|
|
|
|
|
Begin |
End | Number Profiles |
|---|---|---|
| 2014/05/11 18:47:14.0809 UTC | 2014/05/11 19:39:37.9804 UTC | 63390 |
|
|
|
|
|
Begin |
End | Number Profiles |
|---|---|---|
| 2014/05/11 19:39:38.0299 UTC | 2014/05/11 20:26:08.5574 UTC | 56265 |
|
|
|
|
|
Begin |
End | Number Profiles |
|---|---|---|
| 2014/05/11 20:26:08.6059 UTC | 2014/05/11 21:18:31.0184 UTC | 63360 |
|
|
|
|
|
Begin |
End | Number Profiles |
|---|---|---|
| 2014/05/11 21:18:31.0680 UTC | 2014/05/11 22:05:01.5944 UTC | 56265 |
|
|
|
|
|
Begin |
End | Number Profiles |
|---|---|---|
| 2014/05/11 22:05:01.6429 UTC | 2014/05/11 22:57:25.5443 UTC | 63390 |
|
|
|
|
|
Begin |
End | Number Profiles |
|---|---|---|
| 2014/05/11 22:57:25.5940 UTC | 2014/05/11 23:43:55.3764 UTC | 56250 |
|
|
|
|
|
Begin |
End | Number Profiles |
|---|---|---|
| 2014/05/11 23:43:55.4260 UTC | 2014/05/12 00:36:18.5834 UTC | 63375 |
|
|
|
|
|
























































































































