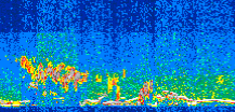
|
Displayed on this page are scaled, color-modulated, altitude-time images of CALIPSO attenuated backscatter (/km/sr) including:
- 532 nm total (parallel + perpendicular) attenuated backscatter
- 532 nm perpendicular attenuated backscatter
- 1064 nm total attenuated backscatter
The orbit track locations for the entire Level 1 .hdf file are in black and the orbit track locations corresponding to this page are color coded.
For the full scale images:
- the color bars for attenuated backscatter show the colors assigned to ranges of attenuated backscatter, /km/sr
- the horizontal axes are annotated with latitude (deg) and longitude (deg)
- the vertical axes are annotated to indicate altitude in kilometers
- the date and time of the measurements are listed as UTC time
- the names of the CALIPSO data products for the Lidar Level 1 attenuated backscatter granules are included
The scaled images on this page are organized by CALIPSO data product day and night orbit granules.
The maps with a shaded background indicate nightime measurements.
There are a maximum of 4 scaled images per granule.
The orbit tracks plotted on the maps show the measurement locations for each granule.
For each granule, the scaled images are ordered from left to right and their locations along the orbit tracks are color coded as: image one, image two, image three, image four.
Begin |
End | Number Profiles |
|---|---|---|
| 2014/05/27 00:40:12.5489 UTC | 2014/05/27 01:32:34.2104 UTC | 63345 |
|
|
|
|
|
Begin |
End | Number Profiles |
|---|---|---|
| 2014/05/27 01:32:34.2600 UTC | 2014/05/27 02:19:05.5393 UTC | 56280 |
|
|
|
|
|
Begin |
End | Number Profiles |
|---|---|---|
| 2014/05/27 02:19:05.5889 UTC | 2014/05/27 03:11:27.2503 UTC | 63345 |
|
|
|
|
|
Begin |
End | Number Profiles |
|---|---|---|
| 2014/05/27 03:11:27.3000 UTC | 2014/05/27 03:57:58.5774 UTC | 56280 |
|
|
|
|
|
Begin |
End | Number Profiles |
|---|---|---|
| 2014/05/27 03:57:58.6270 UTC | 2014/05/27 04:50:20.2884 UTC | 63345 |
|
|
|
|
|
Begin |
End | Number Profiles |
|---|---|---|
| 2014/05/27 04:50:20.3380 UTC | 2014/05/27 05:36:51.6123 UTC | 56280 |
|
|
|
|
|
Begin |
End | Number Profiles |
|---|---|---|
| 2014/05/27 05:36:51.6619 UTC | 2014/05/27 06:29:13.3243 UTC | 63345 |
|
|
|
|
|
Begin |
End | Number Profiles |
|---|---|---|
| 2014/05/27 06:29:13.3739 UTC | 2014/05/27 07:15:44.6484 UTC | 56280 |
|
|
|
|
|
Begin |
End | Number Profiles |
|---|---|---|
| 2014/05/27 07:15:44.6980 UTC | 2014/05/27 08:08:06.3583 UTC | 63345 |
|
|
|
|
|
Begin |
End | Number Profiles |
|---|---|---|
| 2014/05/27 08:08:06.4079 UTC | 2014/05/27 08:54:38.4244 UTC | 56295 |
|
|
|
|
|
Begin |
End | Number Profiles |
|---|---|---|
| 2014/05/27 08:54:38.4740 UTC | 2014/05/27 09:46:59.3904 UTC | 63330 |
|
|
|
|
|
Begin |
End | Number Profiles |
|---|---|---|
| 2014/05/27 09:46:59.4400 UTC | 2014/05/27 10:33:31.4584 UTC | 56295 |
|
|
|
|
|
Begin |
End | Number Profiles |
|---|---|---|
| 2014/05/27 10:33:31.5080 UTC | 2014/05/27 11:25:52.4244 UTC | 63330 |
|
|
|
|
|
Begin |
End | Number Profiles |
|---|---|---|
| 2014/05/27 11:25:52.4740 UTC | 2014/05/27 12:12:24.4914 UTC | 56295 |
|
|
|
|
|
Begin |
End | Number Profiles |
|---|---|---|
| 2014/05/27 12:12:24.5410 UTC | 2014/05/27 13:04:46.2024 UTC | 63345 |
|
|
|
|
|
Begin |
End | Number Profiles |
|---|---|---|
| 2014/05/27 13:04:46.2520 UTC | 2014/05/27 13:51:17.5274 UTC | 56280 |
|
|
|
|
|
Begin |
End | Number Profiles |
|---|---|---|
| 2014/05/27 13:51:17.5770 UTC | 2014/05/27 14:43:39.2374 UTC | 63345 |
|
|
|
|
|
Begin |
End | Number Profiles |
|---|---|---|
| 2014/05/27 14:43:39.2870 UTC | 2014/05/27 15:30:10.5624 UTC | 56280 |
|
|
|
|
|
Begin |
End | Number Profiles |
|---|---|---|
| 2014/05/27 15:30:10.6120 UTC | 2014/05/27 16:22:32.2723 UTC | 63345 |
|
|
|
|
|
Begin |
End | Number Profiles |
|---|---|---|
| 2014/05/27 16:22:32.3219 UTC | 2014/05/27 17:09:03.5943 UTC | 56280 |
|
|
|
|
|
Begin |
End | Number Profiles |
|---|---|---|
| 2014/05/27 17:09:03.6439 UTC | 2014/05/27 18:01:25.3034 UTC | 63345 |
|
|
|
|
|
Begin |
End | Number Profiles |
|---|---|---|
| 2014/05/27 18:01:25.3530 UTC | 2014/05/27 18:47:56.6254 UTC | 56280 |
|
|
|
|
|
Begin |
End | Number Profiles |
|---|---|---|
| 2014/05/27 18:47:56.6750 UTC | 2014/05/27 19:40:18.3344 UTC | 63345 |
|
|
|
|
|
Begin |
End | Number Profiles |
|---|---|---|
| 2014/05/27 19:40:18.3840 UTC | 2014/05/27 20:26:49.6553 UTC | 56280 |
|
|
|
|
|
Begin |
End | Number Profiles |
|---|---|---|
| 2014/05/27 20:26:49.7049 UTC | 2014/05/27 21:19:11.3633 UTC | 63345 |
|
|
|
|
|
Begin |
End | Number Profiles |
|---|---|---|
| 2014/05/27 21:19:11.4129 UTC | 2014/05/27 22:05:43.4274 UTC | 56295 |
|
|
|
|
|
Begin |
End | Number Profiles |
|---|---|---|
| 2014/05/27 22:05:43.4770 UTC | 2014/05/27 22:58:04.3913 UTC | 63330 |
|
|
|
|
|
Begin |
End | Number Profiles |
|---|---|---|
| 2014/05/27 22:58:04.4409 UTC | 2014/05/27 23:44:36.4564 UTC | 56295 |
|
|
|
|
|
Begin |
End | Number Profiles |
|---|---|---|
| 2014/05/27 23:44:36.5060 UTC | 2014/05/28 00:36:57.4204 UTC | 63330 |
|
|
|
|
|
























































































































