|
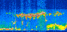
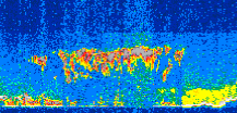
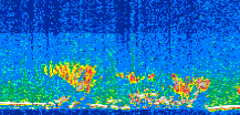
Displayed on this page are scaled, color-modulated, altitude-time images of CALIPSO attenuated backscatter (/km/sr) including:
- 532 nm total (parallel + perpendicular) attenuated backscatter
- 532 nm perpendicular attenuated backscatter
- 1064 nm total attenuated backscatter
The orbit track locations for the entire Level 1 .hdf file are in black and the orbit track locations corresponding to this page are color coded.
For the full scale images:
- the color bars for attenuated backscatter show the colors assigned to ranges of attenuated backscatter, /km/sr
- the horizontal axes are annotated with latitude (deg) and longitude (deg)
- the vertical axes are annotated to indicate altitude in kilometers
- the date and time of the measurements are listed as UTC time
- the names of the CALIPSO data products for the Lidar Level 1 attenuated backscatter granules are included
The scaled images on this page are organized by CALIPSO data product day and night orbit granules.
The maps with a shaded background indicate nightime measurements.
There are a maximum of 4 scaled images per granule.
The orbit tracks plotted on the maps show the measurement locations for each granule.
For each granule, the scaled images are ordered from left to right and their locations along the orbit tracks are color coded as: image one, image two, image three, image four.
Begin |
End | Number Profiles |
|---|---|---|
| 2014/06/08 00:18:23.0969 UTC | 2014/06/08 01:04:56.6063 UTC | 56325 |
|
|
|
|
|
Begin |
End | Number Profiles |
|---|---|---|
| 2014/06/08 01:04:56.6559 UTC | 2014/06/08 01:57:16.0784 UTC | 63300 |
|
|
|
|
|
Begin |
End | Number Profiles |
|---|---|---|
| 2014/06/08 01:57:16.1279 UTC | 2014/06/08 02:43:49.6354 UTC | 56325 |
|
|
|
|
|
Begin |
End | Number Profiles |
|---|---|---|
| 2014/06/08 02:43:49.6850 UTC | 2014/06/08 03:36:09.1083 UTC | 63300 |
|
|
|
|
|
Begin |
End | Number Profiles |
|---|---|---|
| 2014/06/08 03:36:09.1579 UTC | 2014/06/08 04:22:42.6643 UTC | 56325 |
|
|
|
|
|
Begin |
End | Number Profiles |
|---|---|---|
| 2014/06/08 04:22:42.7139 UTC | 2014/06/08 05:15:02.1364 UTC | 63300 |
|
|
|
|
|
Begin |
End | Number Profiles |
|---|---|---|
| 2014/06/08 05:15:02.1860 UTC | 2014/06/08 06:01:35.6913 UTC | 56325 |
|
|
|
|
|
Begin |
End | Number Profiles |
|---|---|---|
| 2014/06/08 06:01:35.7409 UTC | 2014/06/08 06:53:55.1614 UTC | 63300 |
|
|
|
|
|
Begin |
End | Number Profiles |
|---|---|---|
| 2014/06/08 06:53:55.2110 UTC | 2014/06/08 07:40:27.9744 UTC | 56310 |
|
|
|
|
|
Begin |
End | Number Profiles |
|---|---|---|
| 2014/06/08 07:40:28.0240 UTC | 2014/06/08 08:32:48.1903 UTC | 63315 |
|
|
|
|
|
Begin |
End | Number Profiles |
|---|---|---|
| 2014/06/08 08:32:48.2399 UTC | 2014/06/08 09:19:21.0033 UTC | 56310 |
|
|
|
|
|
Begin |
End | Number Profiles |
|---|---|---|
| 2014/06/08 09:19:21.0529 UTC | 2014/06/08 10:11:41.2183 UTC | 63315 |
|
|
|
|
|
Begin |
End | Number Profiles |
|---|---|---|
| 2014/06/08 10:11:41.2679 UTC | 2014/06/08 10:58:14.0324 UTC | 56310 |
|
|
|
|
|
Begin |
End | Number Profiles |
|---|---|---|
| 2014/06/08 10:58:14.0820 UTC | 2014/06/08 11:50:34.2494 UTC | 63315 |
|
|
|
|
|
Begin |
End | Number Profiles |
|---|---|---|
| 2014/06/08 11:50:34.2990 UTC | 2014/06/08 12:37:07.0634 UTC | 56310 |
|
|
|
|
|
Begin |
End | Number Profiles |
|---|---|---|
| 2014/06/08 12:37:07.1130 UTC | 2014/06/08 13:29:27.2814 UTC | 63315 |
|
|
|
|
|
Begin |
End | Number Profiles |
|---|---|---|
| 2014/06/08 13:29:27.3310 UTC | 2014/06/08 14:16:00.0964 UTC | 56310 |
|
|
|
|
|
Begin |
End | Number Profiles |
|---|---|---|
| 2014/06/08 14:16:00.1460 UTC | 2014/06/08 15:08:20.3123 UTC | 63315 |
|
|
|
|
|
Begin |
End | Number Profiles |
|---|---|---|
| 2014/06/08 15:08:20.3619 UTC | 2014/06/08 15:54:53.1223 UTC | 56310 |
|
|
|
|
|
Begin |
End | Number Profiles |
|---|---|---|
| 2014/06/08 15:54:53.1719 UTC | 2014/06/08 16:47:13.3354 UTC | 63315 |
|
|
|
|
|
Begin |
End | Number Profiles |
|---|---|---|
| 2014/06/08 16:47:13.3850 UTC | 2014/06/08 17:33:46.1424 UTC | 56310 |
|
|
|
|
|
Begin |
End | Number Profiles |
|---|---|---|
| 2014/06/08 17:33:46.1920 UTC | 2014/06/08 18:26:06.3534 UTC | 63315 |
|
|
|
|
|
Begin |
End | Number Profiles |
|---|---|---|
| 2014/06/08 18:26:06.4030 UTC | 2014/06/08 19:12:38.4134 UTC | 56295 |
|
|
|
|
|
Begin |
End | Number Profiles |
|---|---|---|
| 2014/06/08 19:12:38.4629 UTC | 2014/06/08 20:04:59.3684 UTC | 63330 |
|
|
|
|
|
Begin |
End | Number Profiles |
|---|---|---|
| 2014/06/08 20:04:59.4180 UTC | 2014/06/08 20:51:32.1744 UTC | 56310 |
|
|
|
|
|
Begin |
End | Number Profiles |
|---|---|---|
| 2014/06/08 20:51:32.2240 UTC | 2014/06/08 21:43:52.3864 UTC | 63315 |
|
|
|
|
|
Begin |
End | Number Profiles |
|---|---|---|
| 2014/06/08 21:43:52.4360 UTC | 2014/06/08 22:30:25.1924 UTC | 56310 |
|
|
|
|
|
Begin |
End | Number Profiles |
|---|---|---|
| 2014/06/08 22:30:25.2420 UTC | 2014/06/08 23:22:45.4044 UTC | 63315 |
|
|
|
|
|
Begin |
End | Number Profiles |
|---|---|---|
| 2014/06/08 23:22:45.4540 UTC | 2014/06/09 00:09:18.2123 UTC | 56310 |
|
|
|
|
|
























































































































